🏡 BÁN NỀN GÓC 2 MẶT TIỀN ĐƯỜNG SỐ 2 & 8 VĂN HÓA TÂY ĐÔ ĐỐI DIỆN BỜ KÈ

Thông tin chi tiết

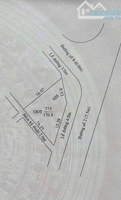
CG 🏡 BÁN NỀN GÓC 2 MẶT TIỀN ĐƯỜNG SỐ 2 & 8 VĂN HÓA TÂY ĐÔ ĐỐI DIỆN BỜ KÈ • Diện tích: 8,93m x 15m = 170,8m2 ( Nở hậu 16,3m ) • Pháp lý: Sổ hồng thổ cư • Hướng: Đông Bắc - Đông Nam • Lộ giới: 15,5m 💰 Giá bán: 6 tỷ ☎️ Liên hệ gặp Thái để xem nền

Giá: 6 tỷ Diện tích: 170
Địa chỉ tài sản:
Đường số 2, Phường Cái Răng, Cần Thơ

Đường số 2, Phường Hưng Thạnh, Quận Cái Răng, Cần Thơ

(địa chỉ cũ)

Các thông tin khác

Mã tin16805019HướngĐông BắcPhòng ăn---
Loại tinCần bánĐường trước nhà15mNhà bếp---
Loại BDSĐất thổ cư, đất ởPháp lýSổ hồng/ Sổ đỏSân thượng---
Chiều ngang8,93mSố lầu---Chổ để xe hơi---
Chiều dài15mSố phòng ngủ---Chính chủ---
Hình ảnh

Hình ảnh

🏡 BÁN NỀN GÓC 2 MẶT TIỀN ĐƯỜNG SỐ 2 & 8 VĂN HÓA TÂY ĐÔ ĐỐI DIỆN BỜ KÈ
  • 🏡 BÁN NỀN GÓC 2 MẶT TIỀN ĐƯỜNG SỐ 2 & 8 VĂN HÓA TÂY ĐÔ ĐỐI DIỆN BỜ KÈ - 0
  • 🏡 BÁN NỀN GÓC 2 MẶT TIỀN ĐƯỜNG SỐ 2 & 8 VĂN HÓA TÂY ĐÔ ĐỐI DIỆN BỜ KÈ - 1
Có thể bạn muốn xem:

Phản ánh tin rao vi phạm

Thông tin phản ánh của Quý khách giúp chúng tôi sàn lọc thông tin tốt hơn và loại trừ các nhà môi giới không trung thực. Xin trân trọng cám ơn.


Tôi không muốn xem tin của người đăng này trong vòng: Tất cả các tin của thành viên này sẽ ẩn đi với bạn trong khoảng thời gian bạn đã chọn.
Mã an toàn:

Bất động sản nổi bật

Cần bán Đất thổ cư, đất ở tại Quận Cái Răng

Bán nền tặng nhà cấp 4 đang cho thuê 6tr/th đường số 1 khu Hồng Loan 5C

💥Chủ gửi 🔹Bán nền tặng nhà cấp 4 đang cho thuê 6tr/th trục chính đầu đường số 1 khu Hồng Loan 5C _____ - Dt 5x18 ( đã có sổ hồng tên Công Ty) - Hướng Đông Bắc - Lề 6m - Lộ 18m - Cách đầu cổng vài bước chân - Có...... << Xem chi tiết >>

30m
Giá: 5,2 tỷ Diện tích: 90 KT: 5x18mHướng: Đông Bắc

Đường số 1, Phường Cái Răng, Cần Thơ

Đường số 1, Phường Hưng Thạnh, Quận Cái Răng, Cần Thơ (cũ)

🍓Nền đẹp giá tốt ĐS 28 KDC 586, Phường Cái Răng, Cần Thơ

Chủ gửi: 🍓Nền đẹp giá tốt ĐS 28 KDC 586, Phường Cái Răng, Cần Thơ ✅Nền cách chợ Phú Thứ 1-2phút đi bộ ------ Diện Tích: 10 x 25 =250m2 Giá : 6 tỷ 700 triệu Hướng Đông Bắc Lộ giới 17.5m Pháp lý Sổ hồng, thổ cư ...... << Xem chi tiết >>

17m
Giá: 6,7 tỷ Diện tích: 250 KT: 10x25mHướng: Đông Bắc

Đường số 28, Phường Hưng Phú, Cần Thơ

Đường số 28, Phường Hưng Phú, Quận Cái Răng, Cần Thơ (cũ)

Bán cặp nền Khu Hồng Loan Cái Răng

🏠Bán Cặp Nền Đẹp Đường D7 Khu Hồng Loan, Cách Trục Chính D1 20m 💰Giá: 6Tỷ690tr / 1 Cặp (Sổ Sẵn) (TL) - Diện tích: 10m x 16m = 160m2_HKT 2m (phía sau) - Pháp lý: Sổ hồng thổ cư. - Hướng: Đông Nam - Lộ giới: 20...... << Xem chi tiết >>

20m
Giá: 6,69 tỷ Diện tích: 160 KT: 10x16mHướng: Đông Nam

Đường D7, Phường Cái Răng, Cần Thơ

Đường D7, Phường Hưng Thạnh, Quận Cái Răng, Cần Thơ (cũ)

Bán nhà đang xây sắp hoàn thiện đường d4 KDC HỒNG LOAN CẦN THƠ GIÁ 5.89 tỷ

💥SIÊU PHẨM D4 KDC HỒNG LOAN ĐANG HOÀN THIỆN 1 TUẦN NỮA BÀN GIAO (LOADING 95%) 📍Nhà toạ lạc tại đường 180D4 KDC Hồng Loan, Hưng Thạnh, Q. Cái Răng, Tp Cần Thơ. ⚙️ Kết cấu: 1T2L, 4 phòng ngủ (có phòng ngủ tầng ...... << Xem chi tiết >>

20m2 tầng4 phòng ngủ
Giá: 5,89 tỷ Diện tích: 85

Đường D4, Phường Cái Răng, Cần Thơ

Đường D4, Phường Hưng Thạnh, Quận Cái Răng, Cần Thơ (cũ)

Bán nền đường số 11 thuộc khu dân cư Long Thịnh, phường Phú Thứ, quận Cái Răng, TPCT.

💥 CẶP GÓC SIÊU ĐẸP 184,6m2 ĐỐI DIỆN TOYOTA CẦN THƠ- KẾ BÊN CHỢ 586, NGÂN HÀNG, BỆNH VIỆN- XÂY BIỆT THỰ THÌ QUÁ TUYỆT VỜI •Vị trí: Đường số 11 thuộc khu dân cư Long Thịnh, phường Phú Thứ, quận Cái Răng, TPCT. •Hàng xó...... << Xem chi tiết >>

13m
Giá: 6,5 tỷ Diện tích: 184 KT: 10x19,25mHướng: Tây Bắc

Đường số 11, Phường Hưng Phú, Cần Thơ

Đường số 11, Phường Phú Thứ, Quận Cái Răng, Cần Thơ (cũ)