🏡ĐẤT FULL THỔ CƯ đường TCH10 Phường TÂN CHÁNH HIỆP Q12 DT 80m2 (4x22m)HẺM 5m Thông,giá 4,

Thông tin chi tiết

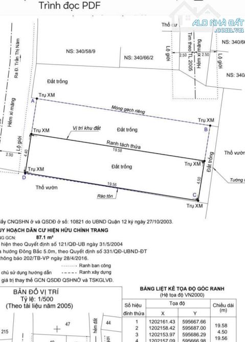
🏡ĐẤT FULL THỔ CƯ đường TCH10 Phường TÂN CHÁNH HIỆP Q12 DT 80m2 (4mx22m) , HẺM 5m Thông,giá 4,6 tỷ Hệ số xây dựng cao 👉Lô 1: 4m x 22m = 88m có 80m thổ cư - Giá 4,6 tỷ TL nhẹ ✅Đất trống; Xây dựng tự do,Có Sổ Hồng Riêng, Không lỗi phong thủy . ✅Vị trí Hẻm 5m đường TCH10 thông Cách mặt tiền Trần Thị Năm 100m , thông đường LÂM THỊ HỐ ,Huỳnh Thị Hai ,TÂN CHÁNH HIỆP 5 TCH5, TÂN CHÁNH HIỆP 26 TCH26, Nguyễn Ảnh Thủ, gần UBND phường Tân Chánh Hiệp, Trường Quốc Tế Việt Âu, Trường THCS Trần Quang Khải, tiện ích xung quanh đầy đủ. 👉Liên hệ ngay làm việc trực tiếp với chính chủ. Cam kết thông tin chuẩn.

Giá: 4,6 tỷ Diện tích: 88
Địa chỉ tài sản:
Đường Tân Chánh Hiệp 10, Phường Trung Mỹ Tây, Hồ Chí Minh

Đường Tân Chánh Hiệp 10, Phường Tân Chánh Hiệp, Quận 12, Hồ Chí Minh

(địa chỉ cũ)

Các thông tin khác

Mã tin17152201Hướng_Phòng ăn---
Loại tinCần bánĐường trước nhà5mNhà bếp---
Loại BDSĐất thổ cư, đất ởPháp lýSổ hồng/ Sổ đỏSân thượng---
Chiều ngang4mSố lầu---Chổ để xe hơi---
Chiều dài22mSố phòng ngủ---Chính chủ---
Hình ảnh

Hình ảnh

🏡ĐẤT FULL THỔ CƯ đường TCH10 Phường TÂN CHÁNH HIỆP Q12 DT 80m2 (4x22m)HẺM 5m Thông,giá 4,
  • 🏡ĐẤT FULL THỔ CƯ đường TCH10 Phường TÂN CHÁNH HIỆP Q12 DT 80m2 (4x22m)HẺM 5m Thông,giá 4, - 0
  • 🏡ĐẤT FULL THỔ CƯ đường TCH10 Phường TÂN CHÁNH HIỆP Q12 DT 80m2 (4x22m)HẺM 5m Thông,giá 4, - 1
  • 🏡ĐẤT FULL THỔ CƯ đường TCH10 Phường TÂN CHÁNH HIỆP Q12 DT 80m2 (4x22m)HẺM 5m Thông,giá 4, - 2
Có thể bạn muốn xem:

Phản ánh tin rao vi phạm

Thông tin phản ánh của Quý khách giúp chúng tôi sàn lọc thông tin tốt hơn và loại trừ các nhà môi giới không trung thực. Xin trân trọng cám ơn.


Tôi không muốn xem tin của người đăng này trong vòng: Tất cả các tin của thành viên này sẽ ẩn đi với bạn trong khoảng thời gian bạn đã chọn.
Mã an toàn:

Bất động sản nổi bật

Cần bán Đất thổ cư, đất ở tại Quận 12

💥BÁN GẤP- ĐẤT ĐẸP, HẺM XE HƠI, LÊ THỊ RIÊNG – QUẬN 12-  100M² VUÔNG VẤC – GIÁ CHỈ 5.4 TỶ‼

💥BÁN GẤP- ĐẤT ĐẸP, HẺM XE HƠI, LÊ THỊ RIÊNG – QUẬN 12- 100M² VUÔNG VẤC – GIÁ CHỈ 5.4 TỶ‼️ 🏡 Cơ hội hiếm có – Mảnh đất vàng trung tâm Quận 12! 📍 Vị trí: Hẻm xe hơi đường Lê Thị Riêng, P. Thới An, Quận 12… 📐 Diện t...... << Xem chi tiết >>

5m
Giá: 5,4 tỷ Diện tích: 100 KT: 4x25m

Đường Lê Thị Riêng, Phường Thới An, Hồ Chí Minh

Đường Lê Thị Riêng, Phường Thới An, Quận 12, Hồ Chí Minh (cũ)

💰Rẻ vô địch! 130m2 đất thổ cư khu phân lô hẻm 7m Thạnh Xuân 33 phường Thới An Q12 hơn 4 ỷ

💰Rẻ vô địch! 130m2 đất thổ cư khu phân lô hẻm 7m Thạnh Xuân 33 phường Thới An Q12 chỉ hơn 4 tỷ ◾️Diện tích ngang 4,5m dài 28m ◾️Hiện trạng đất trống cả khu còn sót 1 lô ◾️Chủ nhiệt bán hỗ trợ khách vay bank ◾️Phá...... << Xem chi tiết >>

7m
Giá: 4,4 tỷ Diện tích: 130 KT: 4,5x28mHướng: Đông Nam

Đường Thạnh Xuân 33, Phường Thới An, Hồ Chí Minh

Đường Thạnh Xuân 33, Phường Thới An, Quận 12, Hồ Chí Minh (cũ)

ĐẤT MẶT TIỀN HẺM THÔNG KINH DOANH – THỚI AN, QUẬN 12 -4x18M- 4,1 TY TL

🌟 ĐẤT MẶT TIỀN HẺM THÔNG KINH DOANH – THỚI AN, QUẬN 12 -4x18M- 4,1 TY TL Cơ hội sở hữu vị trí vàng – Đầu tư sinh lời – Kinh doanh sầm uất! 📍 Vị trí: Nằm tại khu dân cư đông đúc phường Thới An, Quận 12, hẻm xe tải th...... << Xem chi tiết >>

8m
Giá: 4,1 tỷ Diện tích: 72 KT: 4x18m

Đường Thới An 5, Phường Thới An, Hồ Chí Minh

Đường Thới An 5, Phường Thới An, Quận 12, Hồ Chí Minh (cũ)

BÁN ĐẤT THỔ CƯ  80 M2– HẺM XE HƠI 6M – GẦN HÀ HUY GIÁP, NGÃ  TƯ GA Q12- 3.8 Tỷ (còn TL)

🏡 BÁN ĐẤT THỔ CƯ 80 M2– HẺM XE HƠI 6M – GẦN HÀ HUY GIÁP, Q12- 3.8 Tỷ (còn TL) 📏 Diện tích: ngang 4m x dài 20m, CN đủ, không lộ giới) 🚗 Hẻm trước nhà 6m 🌳 Khu dân cư văn minh, yên tĩnh, tiện xây mới 📜 Sổ hồng r...... << Xem chi tiết >>

6m1 tầng
Giá: 3,8 tỷ Diện tích: 80 KT: 4x20m

Đường Thạnh Lộc 37, Phường An Phú Đông, Hồ Chí Minh

Đường Thạnh Lộc 37, Phường Thạnh Lộc, Quận 12, Hồ Chí Minh (cũ)

🆘Lô đất thổ cư 110m2 giá rẻ quận 12-HXH Thạnh Xuân 25- chỉ 4,3tỷ  ◾️Diện tích ngang 4m dà

🆘Lô đất thổ cư 110m2 giá rẻ quận 12-HXH Thạnh Xuân 25- chỉ 4,3tỷ ◾️Diện tích ngang 4m dài 28m full thổ cư ◾️Hẻm trước đất 6m sát MT Thạnh Xuân 25 ◾️Khu phân lô đã xây kín nhà, an ninh yên tĩnh ◾️Còn đúng 1 lô chủ ...... << Xem chi tiết >>

6m
Giá: 4,3 tỷ Diện tích: 110 KT: 4x28m

Đường Thạnh Xuân 25, Phường Thới An, Hồ Chí Minh

Đường Thạnh Xuân 25, Phường Thới An, Quận 12, Hồ Chí Minh (cũ)