[ DIỆN TÍCH LỚN, 8X20, CĂN GÓC 2 MẶT TIỀN Kinh Doanh] BÁN nhà D2 NGUYỄN GIA TRÍ, p25, BT

Thông tin chi tiết

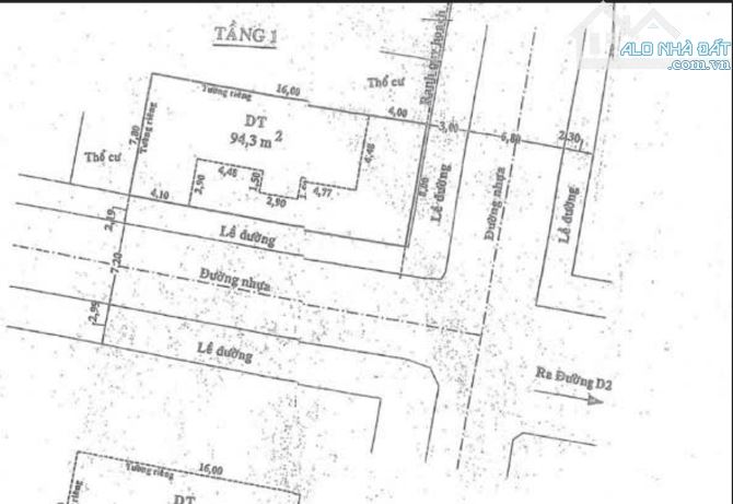
Cần bán căn nhà góc 2 mặt tiền D2 (Nguyễn Gia Trí), Phường 25, Bình Thạnh Diện tích lớn: 8x20m, thoải mái để kinh doanh hoặc đầu tư. Vị trí đắc địa: Khu vực sầm uất, kinh doanh tấp nập, thông từ đường D2 sang D5. Đường lớn: Lộ giới 12m, xe tải ra vào thoải mái, có lề đường rộng 2 bên. Pháp lý rõ ràng: Sổ hồng chính chủ, hỗ trợ vay ngân hàng nếu cần. Tiềm năng vượt trội: Khu vực hiếm nhà bán, phù hợp làm văn phòng, showroom hoặc kinh doanh đa ngành nghề. Liên hệ ngay Tuấn Tú - để xem nhà và thương lượng giá tốt nhất!

Giá: 39,9 tỷ Diện tích: 160
Địa chỉ tài sản:
Đường Nguyễn Gia Trí, Phường Thạnh Mỹ Tây, Hồ Chí Minh

Đường Nguyễn Gia Trí, Phường 25, Quận Bình Thạnh, Hồ Chí Minh

(địa chỉ cũ)

Các thông tin khác

Mã tin16178333Hướng_Phòng ăn---
Loại tinCần bánĐường trước nhà20mNhà bếp---
Loại BDSNhà mặt tiềnPháp lý---Sân thượng---
Chiều ngang8mSố lầu3Chổ để xe hơi---
Chiều dài20mSố phòng ngủ2Chính chủ---
Hình ảnh

Hình ảnh

[ DIỆN TÍCH LỚN, 8X20, CĂN GÓC 2 MẶT TIỀN Kinh Doanh] BÁN nhà D2 NGUYỄN GIA TRÍ, p25, BT
  • [ DIỆN TÍCH LỚN, 8X20, CĂN GÓC 2 MẶT TIỀN Kinh Doanh] BÁN nhà D2 NGUYỄN GIA TRÍ, p25, BT - 0
  • [ DIỆN TÍCH LỚN, 8X20, CĂN GÓC 2 MẶT TIỀN Kinh Doanh] BÁN nhà D2 NGUYỄN GIA TRÍ, p25, BT - 1
  • [ DIỆN TÍCH LỚN, 8X20, CĂN GÓC 2 MẶT TIỀN Kinh Doanh] BÁN nhà D2 NGUYỄN GIA TRÍ, p25, BT - 2
Có thể bạn muốn xem: Bán nhà Phường 25

Phản ánh tin rao vi phạm

Thông tin phản ánh của Quý khách giúp chúng tôi sàn lọc thông tin tốt hơn và loại trừ các nhà môi giới không trung thực. Xin trân trọng cám ơn.


Tôi không muốn xem tin của người đăng này trong vòng: Tất cả các tin của thành viên này sẽ ẩn đi với bạn trong khoảng thời gian bạn đã chọn.
Mã an toàn:

Bất động sản nổi bật

Cần bán Nhà mặt tiền tại Quận Bình Thạnh

Bán Nhà Góc 4MT Nguyễn An Ninh P14 BT, DT 10x22 CN 205m2, GPXD Hầm 7T, Giá Chỉ 45 Tỷ

"- Bán Nhà Góc 4MT Nguyễn An Ninh, P.14, Bình Thạnh – Vị Trí Siêu Đẹp, Hiếm Có, GPXD Hầm 7 Tầng. Vị trí góc 4 mặt tiền cực kỳ thoáng, đắc địa khu trung tâm Bình Thạnh. Thích hợp xây tòa nhà văn phòng, bệnh viện tư, khá...... << Xem chi tiết >>

20m2 tầng4 phòng ngủ
Giá: 45 tỷ Diện tích: 205 KT: 10x22m

Đường Nguyễn An Ninh, Phường Bình Thạnh, Hồ Chí Minh

Đường Nguyễn An Ninh, Phường 14, Quận Bình Thạnh, Hồ Chí Minh (cũ)

Bán nhà GÓC 2MT BẠCH ĐẰNG P15 Q.Bình Thạnh, DT 8mx22m, 2 tầng, giá 45ty

Bán nhà GÓC 2MT BẠCH ĐẰNG P15 Q.Bình Thạnh, DT 8mx22m, 2 tầng, giá 45ty DT 8mx22m Kết cấu: 2 tầng Vị trí siêu đẹp, đoạn giữa ngay khúc kinh doanh sầm uất nhất,phù hợp xây mới, đường xây cao hầm 9tang,đường 2 chièu, tr...... << Xem chi tiết >>

15m2 tầng4 phòng ngủ
Giá: 45 tỷ Diện tích: 176

Đường Bạch Đằng, Phường Gia Định, Hồ Chí Minh

Đường Bạch Đằng, Phường 15, Quận Bình Thạnh, Hồ Chí Minh (cũ)

Bán Nhà CHDV 2MT Nguyễn Ngọc Phương P19 BT, DT 8x16 CN 106m2, KC 5T TM, Giá 41.8 tỷ

Nhà 2 mặt tiền trước sau cực thoáng, vỉa hè rộng 5m, khu dân cư sầm uất, kinh doanh đa ngành nghề. Phù hợp tích sản dòng tiền, vừa ở vừa cho thuê hoặc khai thác CHDV – nhà hàng. Gần Cầu Bông, Trường THCS Đống Đa, Bện...... << Xem chi tiết >>

20m5 tầng10 phòng ngủ
Giá: 41,8 tỷ Diện tích: 106 KT: 8x16m

Đường Nguyễn Ngọc Phương, Phường Thạnh Mỹ Tây, Hồ Chí Minh

Đường Nguyễn Ngọc Phương, Phường 19, Quận Bình Thạnh, Hồ Chí Minh (cũ)

Bán nhà MT Trường Sa trực diện bờ sông P19 Q. Bình Thạnh, DT 7mx20m, 5 tầng, giá 40 tỷ

Bán nhà mặt tiền Trường Sa Trực diện bờ sông P19 Q. Bình ThạnH, DT 7mx20m, 5tầng, giá 40tỷ. DT 7mx20m. Kết cấu: 5 tầng. Đối diện sở thú, hướng tuyệt đẹp, gió mát lồng lộng, khu sang trọng và đẳng cấp, khu dân cư cao c...... << Xem chi tiết >>

15m5 tầng10 phòng ngủ
Giá: 40 tỷ Diện tích: 140

Đường Trường Sa, Phường Thạnh Mỹ Tây, Hồ Chí Minh

Đường Trường Sa, Phường 19, Quận Bình Thạnh, Hồ Chí Minh (cũ)

Bán nhà mặt tiền Bình Thạnh - 100m2 - 7 tầng - 12 phòng - DT 1.5tỷ/năm - 35.5 tỷ

+ Kết cấu: 1 trệt 5 lầu sân thượng BTCT, có giếng trời, bãi đậu xe + Hiện trạng: tầng trệt có 1 phòng lớn, đang kinh doanh Spa, các tầng trên mỗi tầng 2 phòng, tổng 12 phòng + Pháp lý: sổ Hồng chính chủ, hoàn công...... << Xem chi tiết >>

16m7 tầng12 phòng ngủChỗ để xe
Giá: 35,5 tỷ Diện tích: 100 KT: 4,3x23m

Đường Bùi Hữu Nghĩa, Phường Gia Định, Hồ Chí Minh

Đường Bùi Hữu Nghĩa, Phường 2, Quận Bình Thạnh, Hồ Chí Minh (cũ)