🔥SIÊU PHẨM DUY NHẤT TRÊN TRỤC TRƯƠNG VĂN LỰC – HÙNG VƯƠNG- HỒNG BÀNG – GIÁ 5,15 TỶ

Thông tin chi tiết

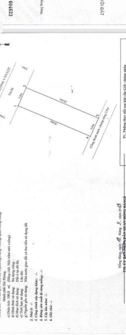
📍 Vị trí đắc địa: • Trục Trương Văn Lực – đối diện KPL Đống Chuối, trung tâm Hùng Vương, Hồng Bàng, Hải Phòng. • Mặt đường 19m siêu rộng, kinh doanh – buôn bán cực sầm uất. 📐 Thông số chuẩn: • Diện tích: 100m² - Ngang 5m • Hướng: Đông Bắc • Giá: 5,15 tỷ 🏠 Hiện trạng: • Có sẵn nhà 1 tầng → Khách mua có thể khai thác ngay. ✅ Sổ đỏ chính chủ, giao dịch nhanh gọn ☎️nhắn zalo em Chuyên viên BĐS - CDT Group.

Giá: 5,15 tỷ Diện tích: 100
Địa chỉ tài sản:
Đường Trương Văn Lực, Phường Hồng Bàng, Hải Phòng

Đường Trương Văn Lực, Phường Hùng Vương, Quận Hồng Bàng, Hải Phòng

(địa chỉ cũ)

Các thông tin khác

Mã tin17181693HướngTây NamPhòng ăn---
Loại tinCần bánĐường trước nhà19mNhà bếp---
Loại BDSĐất thổ cư, đất ởPháp lýSổ hồng/ Sổ đỏSân thượng---
Chiều ngang5mSố lầu---Chổ để xe hơi---
Chiều dài20mSố phòng ngủ---Chính chủ---
Hình ảnh

Hình ảnh

🔥SIÊU PHẨM DUY NHẤT TRÊN TRỤC TRƯƠNG VĂN LỰC – HÙNG VƯƠNG- HỒNG BÀNG – GIÁ 5,15 TỶ
  • 🔥SIÊU PHẨM DUY NHẤT TRÊN TRỤC TRƯƠNG VĂN LỰC – HÙNG VƯƠNG- HỒNG BÀNG – GIÁ 5,15 TỶ - 0
  • 🔥SIÊU PHẨM DUY NHẤT TRÊN TRỤC TRƯƠNG VĂN LỰC – HÙNG VƯƠNG- HỒNG BÀNG – GIÁ 5,15 TỶ - 1
Có thể bạn muốn xem:

Phản ánh tin rao vi phạm

Thông tin phản ánh của Quý khách giúp chúng tôi sàn lọc thông tin tốt hơn và loại trừ các nhà môi giới không trung thực. Xin trân trọng cám ơn.


Tôi không muốn xem tin của người đăng này trong vòng: Tất cả các tin của thành viên này sẽ ẩn đi với bạn trong khoảng thời gian bạn đã chọn.
Mã an toàn:

Bất động sản nổi bật

Cần bán Đất thổ cư, đất ở tại Quận Hồng Bàng

Bán lô góc TĐC Hồ Đá, Sở Dầu, Hồng Bàng, Hải Phòng. 66tr/m2

🔥 TĐC VINHOMES ĐANG NÓNG — HỒ ĐÁ KHỞI ĐỘNG CHẬM NHƯNG GIÁ TĂNG MỖI NGÀY! ✨ Lô góc 2 mặt tiền hiếm tại TĐC Hồ Đá, Sở Dầu, Hồng Bàng, Hải Phòng. 📌 Thông tin chi tiết: • Diện tích: 66,8m² • Ngang: 5,9m • Hướng: Đô...... << Xem chi tiết >>

10m
Giá: 4,4 tỷ Diện tích: 66 Hướng: Đông Nam

Đường Hồ Đá, Phường Hồng Bàng, Hải Phòng

Đường Hồ Đá, Phường Sở Dầu, Quận Hồng Bàng, Hải Phòng (cũ)

💥💥💥Bán đất tặng nhà Hùng Duệ Vương, Hồng Bàng, Hải Phòng, ôtô đỗ cửa

💥💥💥Bán đất tặng nhà Hùng Duệ Vương, Hồng Bàng, Hải Phòng, ôtô đỗ cửa 🔹 Diện tích: 76,3 m. Mặt tiền: ngang ~6,9 m 🔹 Hướng: Bắc. Đường rộng: 4,75 m • Hiện có 2 nhà liền kề trên đất — rất thuận lợi để vừa ở vừa...... << Xem chi tiết >>

5m
Giá: 4,5 tỷ Diện tích: 76 Hướng: Bắc

Đường Hùng Duệ Vương, Phường Hồng Bàng, Hải Phòng

Đường Hùng Duệ Vương, Phường Thượng Lý, Quận Hồng Bàng, Hải Phòng (cũ)

🌟 BÁN LÔ ĐẤT XÂY BIỆT THỰ CỰC ĐẸP – AN CHÂN, HỒNG BÀNG, HẢI PHÒNG 🌟

🌟 BÁN LÔ ĐẤT XÂY BIỆT THỰ CỰC ĐẸP – AN CHÂN, HỒNG BÀNG, HẢI PHÒNG 🌟 📐 Diện tích: 119m² 🏘 Mặt tiền: 6m, đất vuông vắn, không lỗi phong thủy 🚗 Đường trước nhà: hơn 4m, ô tô vào tận nơi, ngõ sạch sẽ 🏡 Khu dân cư a...... << Xem chi tiết >>

4m
Giá: 5 tỷ Diện tích: 119

Đường An Chân, Phường Hồng Bàng, Hải Phòng

Đường An Chân, Phường Sở Dầu, Quận Hồng Bàng, Hải Phòng (cũ)

🌟 BÁN LÔ ĐẤT MẶT ĐƯỜNG CAM LỘ – HỒNG BÀNG, HẢI PHÒNG

🌟 BÁN LÔ ĐẤT MẶT ĐƯỜNG CAM LỘ – HỒNG BÀNG, HẢI PHÒNG 🌟 - Diện tích: 96m² - Mặt tiền: 5,3m vuông vắn - Đường trước nhà: 11m, còn tiếp tục mở rộng, giao thông thuận tiện - Cách trung tâm hành chính mới Thuỷ Ngu...... << Xem chi tiết >>

11m
Giá: 4,22 tỷ Diện tích: 95

Đường Cam Lộ, Phường Hồng Bàng, Hải Phòng

Đường Cam Lộ, Phường Hùng Vương, Quận Hồng Bàng, Hải Phòng (cũ)

Bán 100m đất mặt đường chỉ hơn 4 tỉ một tí

🔥 BÁN ĐẤT MẶT ĐƯỜNG CAM LỘ – HÙNG VƯƠNG, HỒNG BÀNG – GIÁ SIÊU RẺ 🔥 📐 Diện tích: 95,8m² 🏠 Mặt tiền: 5,31m vuông vắn 🚗 Đường trước nhà: Mặt đường Cam Lộ, kinh doanh sầm uất 💰 Giá chỉ: 4,22 tỷ 👉 Tính ra chỉ hơn ...... << Xem chi tiết >>

7m
Giá: 4,22 tỷ Diện tích: 96 KT: 5,4x19mHướng: Tây Bắc

Đường Cam Lộ, Phường Hồng Bàng, Hải Phòng

Đường Cam Lộ, Phường Hùng Vương, Quận Hồng Bàng, Hải Phòng (cũ)