🔥 SIÊU PHẨM GÓC 2 MẶT TIỀN KHÚC HẠO – PHAN BÁ VÀNH, SƠN TRÀ – ĐÀ NẴNG 🔥

Thông tin chi tiết

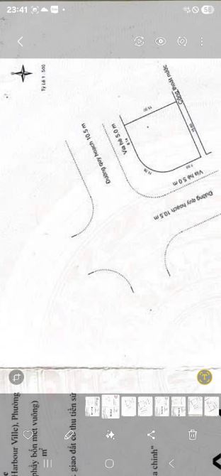
🔥 SIÊU PHẨM GÓC 2 MẶT TIỀN KHÚC HẠO – PHAN BÁ VÀNH, SƠN TRÀ – ĐÀ NẴNG 🔥 📍 Vị trí vàng: Thuộc khu Harbour Ville, phường Nại Hiên Đông – trung tâm quận Sơn Trà ✅ Giao thông thuận tiện, kết nối nhanh ra cầu Thuận Phước, biển và trung tâm TP Thông tin lô đất: • Diện tích: 222.4m² • Góc 2 mặt tiền Khúc Hạo & Phan Bá Vành • Đường quy hoạch rộng 10,5m + vỉa hè 5m • Hạ tầng hoàn thiện, khu vực dân trí cao, thích hợp xây biệt thự, khách sạn mini hoặc căn hộ dịch vụ 💰 Giá chỉ: 17 tỷ (thương lượng chính chủ) 📞 Liên hệ ngay: Duy Thành

Giá: 17 tỷ Diện tích: 222
Địa chỉ tài sản:
Đường Khúc Hạo, Phường Sơn Trà, Đà Nẵng

Đường Khúc Hạo, Phường Nại Hiên Đông, Quận Sơn Trà, Đà Nẵng

(địa chỉ cũ)

Các thông tin khác

Mã tin17066720HướngĐông NamPhòng ăn---
Loại tinCần bánĐường trước nhà10mNhà bếp---
Loại BDSĐất thổ cư, đất ởPháp lýSổ hồng/ Sổ đỏSân thượng---
Chiều ngang14,8mSố lầu---Chổ để xe hơi---
Chiều dài15mSố phòng ngủ---Chính chủ---
Hình ảnh

Hình ảnh

🔥 SIÊU PHẨM GÓC 2 MẶT TIỀN KHÚC HẠO – PHAN BÁ VÀNH, SƠN TRÀ – ĐÀ NẴNG 🔥
Có thể bạn muốn xem:

Phản ánh tin rao vi phạm

Thông tin phản ánh của Quý khách giúp chúng tôi sàn lọc thông tin tốt hơn và loại trừ các nhà môi giới không trung thực. Xin trân trọng cám ơn.


Tôi không muốn xem tin của người đăng này trong vòng: Tất cả các tin của thành viên này sẽ ẩn đi với bạn trong khoảng thời gian bạn đã chọn.
Mã an toàn:

Bất động sản nổi bật

Cần bán Đất thổ cư, đất ở tại Quận Sơn Trà

⭐️⭐️⭐️Bán đất 131m2  Mt Bùi Hữu Nghĩa, Phước Mỹ, Sơn Trà

Bán đất 131m2 Mt Bùi Hữu Nghĩa, Phước Mỹ, Sơn Trà -Diện tích: 131,2m2 (8,2x16m), đường 3,75m vỉa hè 2m, sắp lên thành đường 5.5m -Vị trí đẹp, gần Dương Tự Minh, Võ Văn Kiệt, gần biển Mỹ Khê, Chợ Phước Mỹ… -Gần công ...... << Xem chi tiết >>

4mChỗ để xe
Giá: 16,5 tỷ Diện tích: 132 KT: 8,2x16m

Đường Bùi Hữu Nghĩa, Phường An Hải, Đà Nẵng

Đường Bùi Hữu Nghĩa, Phường Phước Mỹ, Quận Sơn Trà, Đà Nẵng (cũ)

💥LÔ ĐẤT HỒ NGHINH-KHU VỰC KINH DOANH SẦM UẤT,ĐẮC ĐỊA-DT LỚN 136M-ĐÀ NẴNG💥

💥LÔ ĐẤT HỒ NGHINH-KHU VỰC KINH DOANH SẦM UẤT,ĐẮC ĐỊA-DT LỚN 136M-ĐÀ NẴNG💥 📐 Diện tích: 136m² – sổ vuông vức, pháp lý sạch đẹp. 📍 Vị trí kim cương: Ngay trung tâm sầm uất, gần biển, gần các khu trung tâm phố...... << Xem chi tiết >>

5m1 tầng1 phòng ngủChỗ để xe
Giá: 14,2 tỷ Diện tích: 136

Đường Hồ Nghinh, Phường An Hải, Đà Nẵng

Đường Hồ Nghinh, Phường Phước Mỹ, Quận Sơn Trà, Đà Nẵng (cũ)

MẶT TIỀN PHẠM CỰ LƯỢNG - TRUNG TÂM DU LỊCH - GẦN CẦU RỒNG - LÔ ĐẤT NỞ HẬU TÀI LỘC

👉Diện tích 150m2 ngang 4.6m nở hậu 6.2m 👉Xung quanh rất nhiều tiện ích, phù hợp để ở, xây phòng trọ cho thuê, nhà nghỉ, căn hộ… 👉Gần đường Võ Văn Kiệt - Biển Mỹ Khê - Cầu Rồng - Trường học cấp 1,2,3 và chợ An Hải Đô...... << Xem chi tiết >>

7,5m
Giá: 18 tỷ Diện tích: 150 KT: 4,6x30m

Đường Phạm Cự Lượng, Phường An Hải, Đà Nẵng

Đường Phạm Cự Lượng, Phường An Hải Nam, Quận Sơn Trà, Đà Nẵng (cũ)

Bán đất đẹp 2 mặt tiền đường 15m Trần Nhân Tông kinh doanh tốt quận Sơn Trà.

Bán đất đẹp 2 mặt tiền đường 15m Trần Nhân Tông kinh doanh tốt quận Sơn Trà. - Diện tích đất: 6.5x18m= 111.6m2 (đã trừ bo góc), hướng TB và TN - phía trước đường lớn 15m, lề 5m, bên hông đường 5.5m, lề 3m. - Góc 2 mặ...... << Xem chi tiết >>

15m
Giá: 14,5 tỷ Diện tích: 111

Đường Trần Nhân Tông, Phường An Hải, Đà Nẵng

Đường Trần Nhân Tông, Phường An Hải Bắc, Quận Sơn Trà, Đà Nẵng (cũ)

Bán đất vị trí đẹp mặt tiền đường 10m Nguyễn Sáng, Sơn Trà gần biển Mân Thái.

Bán đất vị trí đẹp mặt tiền đường 10m Nguyễn Sáng, Sơn Trà gần biển Mân Thái. - DT đất: 115m2 ngang 5m - Hướng: TB - Vị trí mặt tiền đường Nguyễn Sáng, gần lô góc rất thoáng, trục đường lớn 15m, vỉa hè 5m, phù hợp kin...... << Xem chi tiết >>

10m
Giá: 15,5 tỷ Diện tích: 115 Hướng: Tây Bắc

Đường Nguyễn Sáng, Phường Sơn Trà, Đà Nẵng

Đường Nguyễn Sáng, Phường Mân Thái, Quận Sơn Trà, Đà Nẵng (cũ)