10.000 M² MẶT TIỀN 32 M QUỐC LỘ 61C PHONG ĐIỀN THÀNH PHỐ CẦN THƠ

Thông tin chi tiết

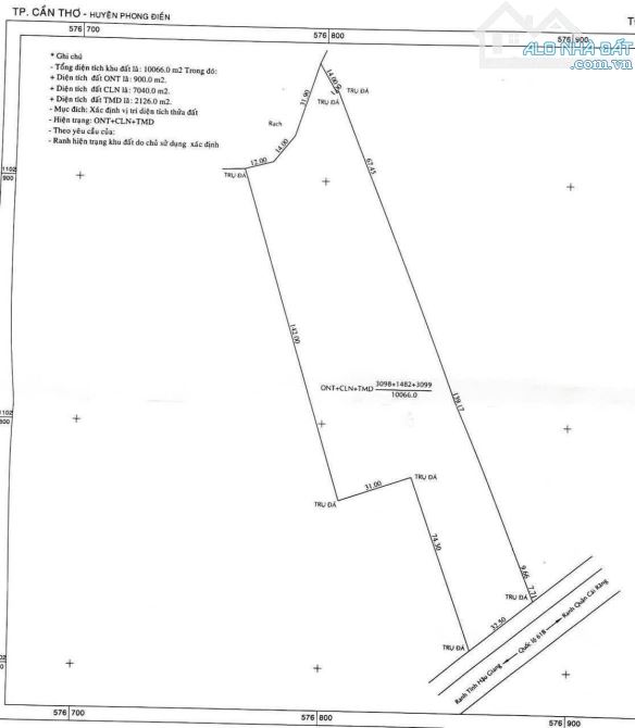
Cần bán đất mặt tiền quốc lộ 61c . Tổng diện tích 10.000m2 có 900m2 ONT 2126m2 TMD. Còn lại CLN. Mặt tiền 32.5m . Hướng đông nam. Rất thích hợp làm kho bãi. Gần đường dẫn cầu vàm sáng. Cách cầu ba láng cái răng 4km. KHU VỰC DÂN CƯ ĐÔNG ĐÚC GẦN TRUNG TÂM THÀNH PHỐ THUẬN TIỆN MỞ KHO XƯỞNG ĐẦU TƯ LÂU DÀI

Giá: 40 tỷ Diện tích: 100.000
Địa chỉ tài sản:
Quốc lộ 61C, Xã Nhơn Ái, Cần Thơ

Quốc lộ 61C, Xã Nhơn Nghĩa, Huyện Phong Điền, Cần Thơ

(địa chỉ cũ)

Các thông tin khác

Mã tin17385225HướngĐông NamPhòng ăn---
Loại tinCần bánĐường trước nhà20mNhà bếp---
Loại BDSĐất thổ cư, đất ởPháp lýSổ hồng/ Sổ đỏSân thượng---
Chiều ngang32mSố lầu---Chổ để xe hơi---
Chiều dài200mSố phòng ngủ---Chính chủ---
Hình ảnh

Hình ảnh

10.000 M² MẶT TIỀN 32 M QUỐC LỘ 61C PHONG ĐIỀN THÀNH PHỐ CẦN THƠ
  • 10.000 M² MẶT TIỀN 32 M QUỐC LỘ 61C PHONG ĐIỀN THÀNH PHỐ CẦN THƠ - 0
  • 10.000 M² MẶT TIỀN 32 M QUỐC LỘ 61C PHONG ĐIỀN THÀNH PHỐ CẦN THƠ - 1
  • 10.000 M² MẶT TIỀN 32 M QUỐC LỘ 61C PHONG ĐIỀN THÀNH PHỐ CẦN THƠ - 2
Có thể bạn muốn xem:

Phản ánh tin rao vi phạm

Thông tin phản ánh của Quý khách giúp chúng tôi sàn lọc thông tin tốt hơn và loại trừ các nhà môi giới không trung thực. Xin trân trọng cám ơn.


Tôi không muốn xem tin của người đăng này trong vòng: Tất cả các tin của thành viên này sẽ ẩn đi với bạn trong khoảng thời gian bạn đã chọn.
Mã an toàn:

Cần bán Đất thổ cư, đất ở tại Huyện Phong Điền

Bán nền góc đẹp mặt tiền Nguyễn Văn Cừ nối dài ngay trung tâm xã Mỹ Khánh tdt 617m2 thổ cư

🏡 BÁN NỀN GÓC 2 MẶT TIỀN – ĐƯỜNG NGUYỄN VĂN CỪ NỐI DÀI, X. MỸ KHÁNH, H. PHONG ĐIỀN, TP. CẦN THƠ + Diện tích: 19m x 33m = 617,5m² + Pháp lý: sổ hồng , 100% thổ cư + Hướng: Tây Nam – Đông Nam + Lộ giới: 35m & 19m (2 ...... << Xem chi tiết >>

35m
Giá: 55 triệu / m²   Diện tích: 617 KT: 19x33mHướng: Đông Nam

Đường Nguyễn Văn Cừ, Phường An Bình, Cần Thơ

Đường Nguyễn Văn Cừ, Xã Mỹ Khánh, Huyện Phong Điền, Cần Thơ (cũ)

10.000 M² MẶT TIỀN 32 M QUỐC LỘ 61C PHONG ĐIỀN THÀNH PHỐ CẦN THƠ

Cần bán đất mặt tiền quốc lộ 61c . Tổng diện tích 10.000m2 có 900m2 ONT 2126m2 TMD. Còn lại CLN. Mặt tiền 32.5m . Hướng đông nam. Rất thích hợp làm kho bãi. Gần đường dẫn cầu vàm sáng. Cách cầu ba láng cái răng 4km...... << Xem chi tiết >>

20m
Giá: 40 tỷ Diện tích: 100000 KT: 32x200mHướng: Đông Nam

Quốc lộ 61C, Xã Nhơn Ái, Cần Thơ

Quốc lộ 61C, Xã Nhơn Nghĩa, Huyện Phong Điền, Cần Thơ (cũ)

Bán 617m2 gốc 2 mặt tiền đường Nguyễn Văn Cừ ( đối diện công viên)

Giá 33.4 TỶ (55tr/m2 ) ✅BÁN NỀN GÓC 02 MẶT TIỀN ĐƯỜNG LẦN LƯỢT LÀ MẶT TIỀN ĐƯỜNG NGUYỄN VĂN CỪ VÀ ĐƯỜNG SỐ 24 KHU HỒNG PHÁT ✅Vị trí đẹp- Đối diện công viên - chợ mỹ khánh - Ngang 14.9m, Vạt Góc 5.66m X Dài 33m Dt: 61...... << Xem chi tiết >>

22m
Giá: 33,4 tỷ Diện tích: 617

Đường Nguyễn Văn Cừ, Phường An Bình, Cần Thơ

Đường Nguyễn Văn Cừ, Xã Mỹ Khánh, Huyện Phong Điền, Cần Thơ (cũ)

Nền 2 mặt tiền cực hiếm – Nguyễn Văn Cừ ND Mỹ Khánh ,gần chợ & ĐH Nam Cần Thơ 617.5m2

BÁN NỀN GÓC 2 MẶT TIỀN – NGUYỄN VĂN CỪ NỐI DÀI, MỸ KHÁNH, PHONG ĐIỀN – CẦN THƠ 📐 Diện tích: 19m x 33m = 617.5m² 📄 Pháp lý: Sổ hồng riêng, thổ cư 100% (ONT) 🌅 Hướng: Tây Nam – Đông Nam 🚗 Lộ giới: 35m và 19m – đư...... << Xem chi tiết >>

35m
Giá: 33,9 tỷ Diện tích: 617 KT: 19x33mHướng: Đông Nam

Đường Nguyễn Văn Cừ, Phường An Bình, Cần Thơ

Đường Nguyễn Văn Cừ, Xã Mỹ Khánh, Huyện Phong Điền, Cần Thơ (cũ)

BÁN NỀN 617 M2 GÓC 02 MẶT TIỀN ĐƯỜNG LẦN LƯỢT LÀ MẶT TIỀN ĐƯỜNG NGUYỄN VĂN CỪ VÀ ĐƯỜNG SỐ

✅(33.4 TỶ) # 55trm2 ✅BÁN NỀN 617 M2 GÓC 02 MẶT TIỀN ĐƯỜNG LẦN LƯỢT LÀ MẶT TIỀN ĐƯỜNG NGUYỄN VĂN CỪ VÀ ĐƯỜNG SỐ 24 KHU HỒNG PHÁT ✅Vị trí đẹp- Đối diện công viên - chợ mỹ khánh - Ngang 14.9m, Vạt Góc 5.66m X Dài 33m Dt...... << Xem chi tiết >>

46m
Giá: 33,4 tỷ Diện tích: 617 KT: 15x33mHướng: Đông Nam

Đường Nguyễn Văn Cừ, Phường An Bình, Cần Thơ

Đường Nguyễn Văn Cừ, Xã Mỹ Khánh, Huyện Phong Điền, Cần Thơ (cũ)