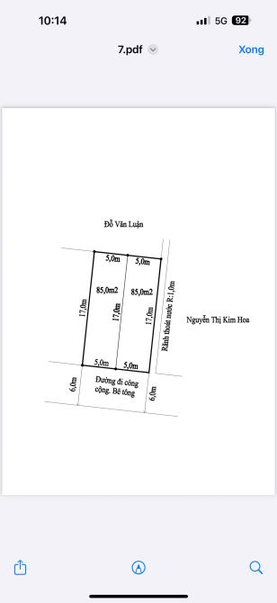
2 Lô đất 85 m2 (ngang 5 m)/ lô, 20 m là ra mặt đường Hoàng Thế Trung, An Dương, Hải Phòng

Thông tin chi tiết

Lô đất có vị trí rất đẹp ngay đầu Hoàng Thế Trung - Máng Nước, đường thông 6-7 m chỉ cách mặt đường chính 20 m. Rất thích hợp xây nhà ở hoặc làm văn phòng công ty, tiện ích full đi bộ ra chợ Vĩnh Khê, trường học các cấp ngay gần nhà… - dt : 85 m2 ( ngang 5 m) x 2 lô liền nhau( có bán lẻ từng lô 1) - giá : 3,6 tỷ / lô ( có thoả thuận) - E Hải chuyên đất nền An Dương hiện tại còn rất nhiều sản phẩm khác , rất mong được phục vụ quý khách

Giá: 3,6 tỷ Diện tích: 85
Địa chỉ tài sản:
Đường Hoàng Thế Trung, Phường An Hải, Hải Phòng

Đường Hoàng Thế Trung, Phường An Hải, Quận An Dương, Hải Phòng

(địa chỉ cũ)

Các thông tin khác

Mã tin17255873Hướng_Phòng ăn---
Loại tinCần bánĐường trước nhà7mNhà bếp---
Loại BDSĐất thổ cư, đất ởPháp lýSổ hồng/ Sổ đỏSân thượng---
Chiều ngang5mSố lầu---Chổ để xe hơi---
Chiều dài17mSố phòng ngủ---Chính chủ---
Hình ảnh

Hình ảnh

2 Lô đất 85 m2 (ngang 5 m)/ lô, 20 m là ra mặt đường Hoàng Thế Trung, An Dương, Hải Phòng
Lưu ý: Người giới thiệu muốn có phí hoa hồng khi giới thiệu tài sản này (mức phí do bạn và người giới thiệu thỏa thuận).
Có thể bạn muốn xem:

Phản ánh tin rao vi phạm

Thông tin phản ánh của Quý khách giúp chúng tôi sàn lọc thông tin tốt hơn và loại trừ các nhà môi giới không trung thực. Xin trân trọng cám ơn.


Tôi không muốn xem tin của người đăng này trong vòng: Tất cả các tin của thành viên này sẽ ẩn đi với bạn trong khoảng thời gian bạn đã chọn.
Mã an toàn:

Bất động sản nổi bật

Cần bán Đất thổ cư, đất ở tại Quận An Dương

Đất Trang Quan An Đồng, cần bán đường rộng 7,5m giá 28tr/m2

📣📣Bán 132m2(ngang 6,5m) tại Trang Quan, An Đồng, An Dương HP, đường rộng + vỉa hè rộng = 7,5m, vị trí ngay gần khu NOXH PG Aura đất tiềm năng sinh lời cao 🔶️Hướng tây tứ trạch 🔷️Giá bán: 28 triệu/m2 ☎️☎️Liên hệ :...... << Xem chi tiết >>

7m
Giá: 28 triệu / m²   Diện tích: 132 KT: 6,5x20mHướng: Tây

Đường Trang Quan, Phường An Hải, Hải Phòng

Đường Trang Quan, Phường An Đồng, Quận An Dương, Hải Phòng (cũ)

Bán 90,7m2 đường trục nhựa liên thông ngay chợ Lương Quán, Nam Sơn.

🔥 90,7m2 đường trục nhựa liên thông 5,5m ngay chợ Lương Quán, Nam Sơn. Có quy hoạch mở rộng thành đường 16m, chỉ vài bước chân là chợ Lương Quán. Vị trí: kinh doanh buôn bán tốt, đất vuông vắn rộng 4,6m Giá: 3,15 tỷ ...... << Xem chi tiết >>

5,5mChỗ để xe
Giá: 3,15 tỷ Diện tích: 91 Hướng: Tây Nam

Đường Lương Quán, Phường An Dương, Hải Phòng

Đường Lương Quán, Phường Nam Sơn, Quận An Dương, Hải Phòng (cũ)

Lô góc siêu đẹp chung cư cách hạ nam Sơn An Dương

🍀Lô góc siêu đẹp chung cư Cách Hạ Nam Sơn An Dương , Hải Phòng ✅Diện tích: 106m2. Ngang 6m 🚗Đường 10m 🌞Hướng đông nam 👉Lô góc siêu đẹp cách đường 351 chỉ 70m 👉Gần dự án nhà ở Nam Sơn 👉Xây nhà ở mẫu biệt...... << Xem chi tiết >>

10m
Giá: 3,18 tỷ Diện tích: 106 Hướng: Đông Nam

Đường Cách Hạ, Phường An Dương, Hải Phòng

Đường Cách Hạ, Phường An Dương, Quận An Dương, Hải Phòng (cũ)

Bán 95m2 đường trục chính Mỹ Tranh, Nam Sơn.

95m2 đường trục Mỹ Tranh, Nam Sơn. Vị trí: kinh doanh buôn bán, thích hợp mở quán bia, hiệu thuốc, hàng ăn, Đại lý tạp hoá. Thông số: 95m2 ngang 5m nở hậu Đường trục trải nhựa rộng 9m, bìa đỏ chính chủ Dân cư ở kín, ...... << Xem chi tiết >>

9mChỗ để xe
Giá: 3,2 tỷ Diện tích: 95

Đường Mỹ Tranh, Phường An Dương, Hải Phòng

Đường Mỹ Tranh, Phường Nam Sơn, Quận An Dương, Hải Phòng (cũ)

Cần bán lô đất TĐC hộ phụ xi măng

Cần bán lô đất TĐC hộ phụ xi măng Diện tích 54m hướng tây , Vị trí đắc địa – Khu dân cư cao cấp – Đường 21m siêu rộng! • Diện tích: 54m² (ngang 4,5m) • Hướng: Tây • Đường trước đất: 21m – đường cực rộng, ô tô ...... << Xem chi tiết >>

12m
Giá: 3,2 tỷ Diện tích: 54 KT: 4,5x12mHướng: Tây

Đường Bạch Mai, Phường An Hải, Hải Phòng

Đường Bạch Mai, Phường Đồng Thái, Quận An Dương, Hải Phòng (cũ)