5×21 thổ hòa phú 549 triệu Cách tân an 100 bước chân rẻ

Thông tin chi tiết

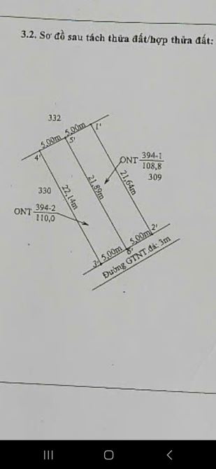
🔥 🔥 🔥 Chính chủ gửi bán 2 lô F0 hòa phú sát ranh tp tân an cách tân an đúng 100m. 🎄 🎄 🎄 Đất nền tương đối cao ráo. Xung quanh dân cư đông đúc 🎯 🎯 🎯 Đường đan xe 7 chổ. Vị trí đất thuận tiện di chuyển các phường. 💧 💧 💧 S= 5×21m 🌽 🌽 🌽 Giá : 549 Triệu ( TL). Alo : phát ( xem đất)

Giá: 549 triệu Diện tích: 105
Địa chỉ tài sản:
, Xã Vĩnh Công, Tây Ninh

, Xã Hòa Phú, Huyện Châu Thành, Long An

(địa chỉ cũ)

Các thông tin khác

Mã tin16216847Hướng_Phòng ăn---
Loại tinCần bánĐường trước nhà4mNhà bếp---
Loại BDSĐất thổ cư, đất ởPháp lý---Sân thượng---
Chiều ngang5mSố lầu---Chổ để xe hơi---
Chiều dài21mSố phòng ngủ---Chính chủ---
Hình ảnh

Hình ảnh

5×21 thổ hòa phú 549 triệu Cách tân an 100 bước chân rẻ
  • 5×21 thổ hòa phú 549 triệu Cách tân an 100 bước chân rẻ - 0
  • 5×21 thổ hòa phú 549 triệu Cách tân an 100 bước chân rẻ - 1
  • 5×21 thổ hòa phú 549 triệu Cách tân an 100 bước chân rẻ - 2
  • 5×21 thổ hòa phú 549 triệu Cách tân an 100 bước chân rẻ - 3
  • 5×21 thổ hòa phú 549 triệu Cách tân an 100 bước chân rẻ - 4
  • 5×21 thổ hòa phú 549 triệu Cách tân an 100 bước chân rẻ - 5
  • 5×21 thổ hòa phú 549 triệu Cách tân an 100 bước chân rẻ - 6
  • 5×21 thổ hòa phú 549 triệu Cách tân an 100 bước chân rẻ - 7
  • 5×21 thổ hòa phú 549 triệu Cách tân an 100 bước chân rẻ - 8
Có thể bạn muốn xem:

Phản ánh tin rao vi phạm

Thông tin phản ánh của Quý khách giúp chúng tôi sàn lọc thông tin tốt hơn và loại trừ các nhà môi giới không trung thực. Xin trân trọng cám ơn.


Tôi không muốn xem tin của người đăng này trong vòng: Tất cả các tin của thành viên này sẽ ẩn đi với bạn trong khoảng thời gian bạn đã chọn.
Mã an toàn:

Cần bán Đất thổ cư, đất ở tại Huyện Châu Thành

6×30 thổ Vĩnh Công châu thành Long An 539 triệu Đường ôtô giá rẻ

❤️💚5 lô F0 : Vinh công châu thanh 6 x 30 , đường ô tô , phía sau giáp rạch . Cách nhựa Lương Văn Hậu 150m , giáp ranh Tân An . Giá 539tr/lô . Xung quanh nhà cửa đông thích hợp đầu tư sinh lời Alo ; phát ( xem đ...... << Xem chi tiết >>

4m
Giá: 539 triệu Diện tích: 180 KT: 6x30m

, Xã Vĩnh Công, Tây Ninh

, Xã Vĩnh Công, Huyện Châu Thành, Long An (cũ)

✅ Bán 2 lô F0 đất thổ cách 827B 70m Thuộc Phú Xuân 2 , Phú Ngãi Trị ,Châu Thành _ DT: 5x30

✅ Bán 2 lô F0 đất thổ cách 827B 70m Thuộc Phú Xuân 2 , Phú Ngãi Trị , Châu Thành , Long An . 💥 Địa chỉ mới : Phú Xuân 2 , Xã Tầm Vu , Tỉnh Tây Ninh. ☘️ Diện Tích : 5 x 30 ( 150m2 ). ❌ Giá : 650 triệu / lô. 👉 ...... << Xem chi tiết >>

4m
Giá: 650 triệu Diện tích: 150 KT: 5x30mHướng: Tây Nam

Đường Tỉnh lộ 827B, Xã Tầm Vu, Tây Ninh

Đường Tỉnh lộ 827B, Xã Phú Ngãi Trị, Huyện Châu Thành, Long An (cũ)

10x27m2 thổ giá 539tr đường xe hơi, sổ sẵn thuộc TPL-CT

cần bán cục thổ thuộc Thanh Phú Long-CT-LA diện tích 10x27 (270m2) giá mềm 539tr hết đất, nếu thiện chi bớt chút đỉnh HÌNH THẬT, GIÁ ĐÚNG sổ thể hiện đường đá xanh 6m đường xe hơi tới trước đất cách chợ TPL tầm 5ph...... << Xem chi tiết >>

6m
Giá: 539 triệu Diện tích: 270 KT: 10x27m

, Xã Thuận Mỹ, Tây Ninh

, Xã Thanh Phú Long, Huyện Châu Thành, Long An (cũ)

✅ Bán đất thổ mặt tiền nhựa thuộc Ấp 6 , Hiệp Thạnh , Châu Thành  _ Diện Tích : 5 x 26m2

✅ Bán đất thổ mặt tiền nhựa thuộc Ấp 6 , Hiệp Thạnh , Châu Thành , Long An. ☘️ Diện Tích : 5 x 26m2. ❌ Giá : 500 triệu. 👉 Trục đường nhựa thông Tỉnh Lộ 827A , 827D và đường Nguyễn Thông. 👉 Khu dân cư đông đúc ,...... << Xem chi tiết >>

4m
Giá: 500 triệu Diện tích: 130 KT: 5x26mHướng: Tây Bắc

Đường Tỉnh lộ 827A, Xã Tầm Vu, Tây Ninh

Đường Tỉnh lộ 827A, Xã Hiệp Thạnh, Huyện Châu Thành, Long An (cũ)

✅ Bán đất thổ mặt tiền nhựa thuộc Ấp 6 , Hiệp Thạnh , Châu Thành _ Diện Tích : 5 x 26m2

✅ Bán đất thổ mặt tiền nhựa thuộc Ấp 6 , Hiệp Thạnh , Châu Thành , Long An. ☘️ Diện Tích : 5 x 26m2. ❌ Giá : 500 triệu. 👉 Trục đường nhựa thông Tỉnh Lộ 827A , 827D và đường Nguyễn Thông. 👉 Khu dân cư đông đúc ,...... << Xem chi tiết >>

4m
Giá: 500 triệu Diện tích: 130 KT: 5x26mHướng: Tây Bắc

Đường Tỉnh lộ 827A, Xã Tầm Vu, Tây Ninh

Đường Tỉnh lộ 827A, Xã Hiệp Thạnh, Huyện Châu Thành, Long An (cũ)