768m2 đất góc 2 mặt tiền đường nhựa xã Tân Thạnh Tây giá 11,5 tỷ

Thông tin chi tiết

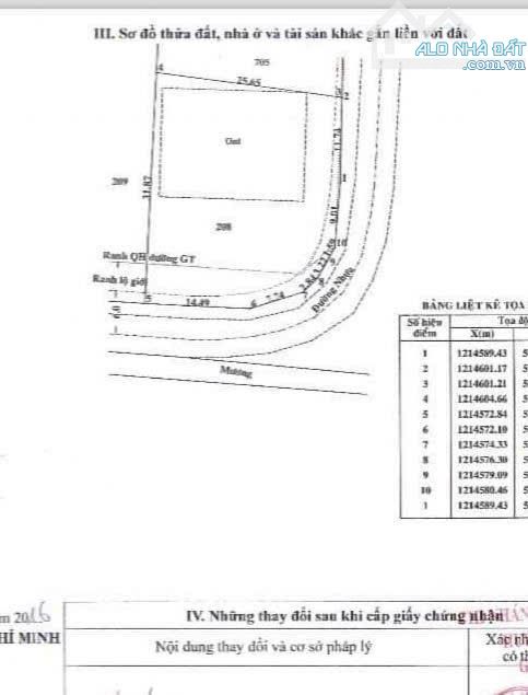
Chủ gửi đất góc 2 mặt tiền Vị trí: Mặt tiền đường cách Tỉnh Lộ 8 chỉ 200m . Ngay trung tâm Tân Quy. Cách chợ trường học chỉ vài bước chân Xã Phú Hòa Đông ( xã Tân Thạnh Tây cũ ), TP Hồ Chí Minh. Diện tích: 30x26 = 768m² ( 300m² thổ cư ). Quy hoạch: Khu dân cư hiện hữu, địa thế phù hợp tách thửa. Hướng: Đông & Nam, lộ giới đường 12m ( chưa mở rộng ). Đường thông tứ hướng Giá 11,5 tỷ còn thương lượng. LH ........................ zalo

Giá: 11,5 tỷ Diện tích: 768
Địa chỉ tài sản:
, Xã Phú Hòa Đông, Hồ Chí Minh

, Xã Tân Thạnh Tây, Huyện Củ Chi, Hồ Chí Minh

(địa chỉ cũ)

Các thông tin khác

Mã tin17350344Hướng_Phòng ăn---
Loại tinCần bánĐường trước nhà8mNhà bếp---
Loại BDSĐất thổ cư, đất ởPháp lýSổ hồng/ Sổ đỏSân thượng---
Chiều ngang30mSố lầu---Chổ để xe hơi---
Chiều dài26mSố phòng ngủ---Chính chủ---
Hình ảnh

Hình ảnh

768m2 đất góc 2 mặt tiền đường nhựa xã Tân Thạnh Tây giá 11,5 tỷ
  • 768m2 đất góc 2 mặt tiền đường nhựa xã Tân Thạnh Tây giá 11,5 tỷ - 0
  • 768m2 đất góc 2 mặt tiền đường nhựa xã Tân Thạnh Tây giá 11,5 tỷ - 1
  • 768m2 đất góc 2 mặt tiền đường nhựa xã Tân Thạnh Tây giá 11,5 tỷ - 2
Có thể bạn muốn xem:

Phản ánh tin rao vi phạm

Thông tin phản ánh của Quý khách giúp chúng tôi sàn lọc thông tin tốt hơn và loại trừ các nhà môi giới không trung thực. Xin trân trọng cám ơn.


Tôi không muốn xem tin của người đăng này trong vòng: Tất cả các tin của thành viên này sẽ ẩn đi với bạn trong khoảng thời gian bạn đã chọn.
Mã an toàn:

Bất động sản nổi bật

Cần bán Đất thổ cư, đất ở tại Huyện Củ Chi

ĐẤT VIP 475M2 MẶT TIỀN HÀ DUY PHIÊN, NGAY UBND XÃ BÌNH MỸ, CC

Bán đất mặt tiền Hà Duy Phiên (Tỉnh Lộ 9) Bình Mỹ, Củ Chi – Giá rẻ chỉ 10.9 tỷ Diện tích: 10x65m (CN 10x50 = 475m²), có 134m² thổ cư. Đất đã san lấp cao ráo, bằng phẳng, pháp lý chuẩn, sổ hồng riêng. Vị trí đẹp:...... << Xem chi tiết >>

15mChỗ để xe
Giá: 10,9 tỷ Diện tích: 650 KT: 10x65m

Đường Hà Duy Phiên, Xã Bình Mỹ, Hồ Chí Minh

Đường Hà Duy Phiên, Xã Bình Mỹ, Huyện Củ Chi, Hồ Chí Minh (cũ)

Bán đất mặt tiền Quốc Lộ 22: 1212,4m2 ( 11x87 nở hậu 18 ) - Phước Hiệp - Củ Chi.Giá 12 tỷ

Bán đất mặt tiền Quốc Lộ 22 – Xã Phước Hiệp, Củ Chi – Giá 12 tỷ 💠 Thông tin chi tiết: Diện tích: 1.212,4m² Ngang 11m, dài 87m Nở hậu đẹp 18m, phong thủy tốt Thổ cư: 244,9m², phần còn lại đất trồng cây lâu...... << Xem chi tiết >>

6m
Giá: 12 tỷ Diện tích: 1212 KT: 11x87m

Đường Quốc lộ 22, Xã Tân An Hội, Hồ Chí Minh

Đường Quốc lộ 22, Xã Phước Hiệp, Huyện Củ Chi, Hồ Chí Minh (cũ)

ĐẤT (10x65) MT HÀ DUY PHIÊN (TỈNH LỘ 9) – BÌNH MỸ, CỦ CHI CHỈ 10.9 TỶ

BÁN GẤP ĐẤT (10x65) MẶT TIỀN HÀ DUY PHIÊN (TỈNH LỘ 9) – BÌNH MỸ, CỦ CHI – GIÁ CHỈ 10.9 TỶ DT: 10m x 65m – CN: (10m x 50m) = 475m² Có 134m² thổ cư, pháp lý chuẩn, SHR sang tên ngay. Đất đã san lấp cao ráo, bằng p...... << Xem chi tiết >>

15mChỗ để xe
Giá: 10,9 tỷ Diện tích: 650 KT: 10x65m

Đường Hà Duy Phiên, Xã Bình Mỹ, Hồ Chí Minh

Đường Hà Duy Phiên, Xã Bình Mỹ, Huyện Củ Chi, Hồ Chí Minh (cũ)

Bán đất mặt tiền Võ Thị Bàng , Phú Mỹ Hưng, Củ Chi 41x46 tổng 1945m 300m thổ cư

Mt Võ Thị Bàng , xã Phú Mỹ Hưng , Củ Chi - Diện tích 1945m2 thổ cư 300m2 - Mặt tiền 41m x 46m - Quy hoạch đất ở Vị trí dân cư đông , cách TL15 800m thông đường Trung Lập Đất cao ráo rào kẽm , ranh giới rõ ràng -...... << Xem chi tiết >>

20m
Giá: 10 tỷ Diện tích: 1945 KT: 41x46m

Đường Võ Thị Bàng, Xã An Nhơn Tây, Hồ Chí Minh

Đường Võ Thị Bàng, Xã Phú Mỹ Hưng, Huyện Củ Chi, Hồ Chí Minh (cũ)

CỦ CHI bán lô đất rộng 562m2 (11,7 x 48) sẵn thổ cư đường nhựa 8m gần QL22 giá 9,8tỷ.

🏠 MẶT TIỀN ĐƯỜNG NHỰA 8M DIỆN TÍCH RỘNG 562M2 THÍCH HỢP XÂY BIỆT THỰ NGHĨ DƯỠNG GẦN QL 22 ✅ Đất mặt tiền đường nhựa thích hợp xây Biệt thự nghĩ dưỡng.Hiện tại đất đã bao tường cao xung quanh, hàng xóm láng giềng thân ...... << Xem chi tiết >>

8m
Giá: 9,8 tỷ Diện tích: 562 KT: 11,7x48m

Đường Quốc lộ 22, Xã Củ Chi, Hồ Chí Minh

Đường Quốc lộ 22, Xã Tân Thông Hội, Huyện Củ Chi, Hồ Chí Minh (cũ)