Bán 230m2 Lô Góc Ốt kinh doanh mặt đường Hà Huy Tập - TP. Vinh

Thông tin chi tiết

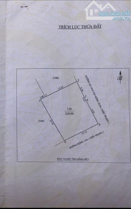
Bán 230m2 Lô Góc Ốt Kinh doanh mặt đường Hà Huy Tập - TP. Vinh Vị trí : Gần Lý Tự Trọng và Phạm Đình Toái Khu vực : Trung Tâm Thành Phố , dân cư đông đúc , sầm uất Lô Góc : Bìa Hồng chính chủ - Xây Tự Do - Diện tích 230m2 - Rộng 16,7m - Hướng Đông Bắc Và Đông Nam - Giá 23 tỷ Đường rộng 30m nhựa vỉa hè và đường 5m Lưu Ý : Môi giới Xin Vui Lòng Ko Liên Hệ ạ ! LH : Văn Hoa Mận ( Zalo số ViNa 091… Quý khách nhé )

Giá: 23 tỷ Diện tích: 230
Địa chỉ tài sản:
Đường Hà Huy Tập, Phường Vinh Phú, Nghệ An

Đường Hà Huy Tập, Phường Hà Huy Tập, Thành phố Vinh, Nghệ An

(địa chỉ cũ)

Các thông tin khác

Mã tin17385934HướngĐông BắcPhòng ăn---
Loại tinCần bánĐường trước nhà30mNhà bếp---
Loại BDSShop, kiot, quánPháp lýSổ hồng/ Sổ đỏSân thượng---
Chiều ngang16,7mSố lầu1Chổ để xe hơi---
Chiều dài14mSố phòng ngủ4Chính chủ---
Hình ảnh

Hình ảnh

Bán 230m2 Lô Góc Ốt kinh doanh mặt đường Hà Huy Tập - TP. Vinh
Có thể bạn muốn xem:

Phản ánh tin rao vi phạm

Thông tin phản ánh của Quý khách giúp chúng tôi sàn lọc thông tin tốt hơn và loại trừ các nhà môi giới không trung thực. Xin trân trọng cám ơn.


Tôi không muốn xem tin của người đăng này trong vòng: Tất cả các tin của thành viên này sẽ ẩn đi với bạn trong khoảng thời gian bạn đã chọn.
Mã an toàn: