BÁN CẶP NỀN RẠCH CÁI TẮC GẦN BỆNH VIỆN NHI ĐỒNG

Thông tin chi tiết

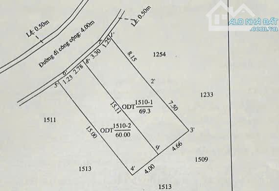
🌾🌾 BÁN CẶP NỀN RẠCH CÁI TẮC LONG TUYỀN BÌNH THỦY GIÁ 2 TỶ 4 - Diện tích : 8.6 x 15 = 126m2 - Hướng : Tây bắc - Lộ giới : 4m xe oto tới nền. - Gần Các Trường Đại Học FPT Bv Nhi Đồng vv Thích hợp xây trọ, biệt thự vườn mini. Giá 2 Tỷ 4 / nền có bán lẻ.

Giá: 2,4 tỷ Diện tích: 126
Địa chỉ tài sản:
Đường Nguyễn Văn Cừ, Phường Long Tuyền, Cần Thơ

Đường Nguyễn Văn Cừ, Phường Long Tuyền, Quận Bình Thủy, Cần Thơ

(địa chỉ cũ)

Các thông tin khác

Mã tin16924114HướngTây BắcPhòng ăn---
Loại tinCần bánĐường trước nhà4mNhà bếp---
Loại BDSĐất thổ cư, đất ởPháp lýSổ hồng/ Sổ đỏSân thượng---
Chiều ngang8,6mSố lầu---Chổ để xe hơi---
Chiều dài15mSố phòng ngủ---Chính chủ---
Hình ảnh

Hình ảnh

BÁN CẶP NỀN RẠCH CÁI TẮC GẦN BỆNH VIỆN NHI ĐỒNG
  • BÁN CẶP NỀN RẠCH CÁI TẮC GẦN BỆNH VIỆN NHI ĐỒNG - 0
  • BÁN CẶP NỀN RẠCH CÁI TẮC GẦN BỆNH VIỆN NHI ĐỒNG - 1
Có thể bạn muốn xem:

Phản ánh tin rao vi phạm

Thông tin phản ánh của Quý khách giúp chúng tôi sàn lọc thông tin tốt hơn và loại trừ các nhà môi giới không trung thực. Xin trân trọng cám ơn.


Tôi không muốn xem tin của người đăng này trong vòng: Tất cả các tin của thành viên này sẽ ẩn đi với bạn trong khoảng thời gian bạn đã chọn.
Mã an toàn:

Cần bán Đất thổ cư, đất ở tại Quận Bình Thủy

BÁN (270m2) ĐẤT - THỔ CƯ, xây Biệt thự nhà vườn NGON HẾT SẨY

Vị trí: MẶT TIỀN Rạch KHOÁN CHÂU (LONG HOÀ - BÌNH THUỶ - THÀNH PHỐ CẦN THƠ) - Diện tích: 10m x 27m = 270m2 - Pháp lý: thổ cư 236m2, còn lại CLN - Hướng: Tây Nam - Lộ giới 5m, xe ôtô tới nền ++ Giá bán : 2 tỷ 500 t...... << Xem chi tiết >>

4m
Giá: 2,5 tỷ Diện tích: 270 KT: 10x27mHướng: Tây Nam

Đường Bùi Hữu Nghĩa, Phường Long Tuyền, Cần Thơ

Đường Bùi Hữu Nghĩa, Phường Long Hòa, Quận Bình Thủy, Cần Thơ (cũ)

BÁN NỀN NGHĨ DƯỠNG RẠCH KHOÁN CHÂU, LONG TUYỀN, CẦN THƠ 270m2 GIÁ 2,5 TỶ

BÁN 270M2 ĐẤT MẶT TIỀN RẠCH KHOÁN CHÂU - PHƯỜNG LONG TUYỀN - THÀNH PHỐ CẦN THƠ | TẶNG KÈM 50M2 ĐẤT MÉ SÔNG GIÁ 🌾 2 TỶ 500 - Diện tích: 10m x 27m = 270m2 - Pháp lý thổ cư 236m2, còn lại CL...... << Xem chi tiết >>

5m
Giá: 2,5 tỷ Diện tích: 270 KT: 10x27mHướng: Tây Nam

Đường Bùi Hữu Nghĩa, Phường Long Tuyền, Cần Thơ

Đường Bùi Hữu Nghĩa, Phường Long Tuyền, Quận Bình Thủy, Cần Thơ (cũ)

NỀN TRỤC CHÍNH – KDC MẶT TRỜI ĐỎ, P. LONG TUYỀN, TP. CẦN THƠ. ĐỐI DIỆN BV NHI ĐỒNG. GẦN LÀ

NỀN TRỤC CHÍNH – KDC MẶT TRỜI ĐỎ, P. LONG TUYỀN, TP. CẦN THƠ. ĐỐI DIỆN BV NHI ĐỒNG. GẦN LÀNG ĐẠI HỌC CT - Giá bán : 2 tỷ 500 triệu (thương lượng) - Diện tích : 5m x 16m = 80m² - Pháp lý : Sổ hồng thổ cư, có giấy p...... << Xem chi tiết >>

6,5m
Giá: 2,5 tỷ Diện tích: 80 KT: 5x16mHướng: Tây Nam

Đường Nguyễn Văn Cừ, Phường Long Tuyền, Cần Thơ

Đường Nguyễn Văn Cừ, Phường Long Tuyền, Quận Bình Thủy, Cần Thơ (cũ)

BÁN ĐẤT MẶT TIỀN ĐƯỜNG LÀNG HOA BÀ BỘ, LONG HÒA, BÌNH THỦY

BÁN ĐẤT MẶT TIỀN ĐƯỜNG LÀNG HOA BÀ BỘ, LONG HÒA, BÌNH THỦY • Diện tích giấy: 5x19= 92m2. Thực tế: 5 x 25m • Pháp lý: sổ hồng thổ cư 100% • Lộ + Lề 10m, xe hơi quay đầu thoải mái. • Hướng Đông Nam 💰Giá: 2 tỷ 690 t...... << Xem chi tiết >>

10m
Giá: 2,69 tỷ Diện tích: 125 KT: 5x19m

, Phường Long Tuyền, Cần Thơ

, Phường Long Hòa, Quận Bình Thủy, Cần Thơ (cũ)

Bán nền đầu KDC An Thới cách Đg CMT8 20M 4.3m x 20m thổ cư cấp gpxd

💥 CHÚC MỪNG KHÁCH HÀNG SỞ HỮU SỚM NỀN VỊ TRÍ ĐẦU KHU SIÊU ĐẸP. 💥 MỪNG NGÀY TUYẾN CMT8 KHỞI CÔNG GIÁ NỀN TĂNG LÊN 2 TỶ 850/Nền. 💥 NỀN ĐẦU KHU DÂN CƯ AN THỚI FICO Đ.CMT8 GẦN CHỢ AN THỚI VÀ BÌNH THUỶ 💰 GI...... << Xem chi tiết >>

6m
Giá: 2,45 tỷ Diện tích: 86 KT: 4,3x20mHướng: Đông Nam

Đường Cách Mạng Tháng 8, Phường Cái Khế, Cần Thơ

Đường Cách Mạng Tháng 8, Phường Bùi Hữu Nghĩa, Quận Bình Thủy, Cần Thơ (cũ)