Bán đất 130,3m2 KQH Ngọc Anh - 180 Phạm Văn Đồng, TP. Huế

Thông tin chi tiết

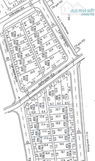
♻️Bán đất 130,3m2 KQH Ngọc Anh - 180 Phạm Văn Đồng, TP. Huế (*) Vị trí: KQH Ngọc Anh - kiệt 180 Phạm Văn Đồng, TP. Huế, dân trí cao, an ninh tốt, gần trường học, chợ, siêu thị, các trung tâm hành chính, trung tâm thành phố giao thương thuận tiện. 🏷 Diện tích: 130,3m2 - ngang 7m 🏷 Hướng: Đông 🏷 Đường: 9m 🏷 Pháp lý: sổ đỏ 💰 Giá bán: 27 triệu/m2 📲☎️Liên hệ: ... để hỗ trợ xem đấtc

Giá: 27 triệu / m²   Diện tích: 130
Địa chỉ tài sản:
Đường Ngọc Anh, Phường Mỹ Thượng, Huế

Đường Ngọc Anh, Phường Phú Thượng, Thành phố Huế, Huế

(địa chỉ cũ)

Các thông tin khác

Mã tin16551685HướngĐôngPhòng ăn---
Loại tinCần bánĐường trước nhà9mNhà bếp---
Loại BDSĐất nền, liền kề, đất dự ánPháp lý---Sân thượng---
Chiều ngang7mSố lầu---Chổ để xe hơi---
Chiều dài---Số phòng ngủ---Chính chủ---
Thuộc dự ánKhu dân cư Ngọc Anh (xem chi tiết dự án)
Hình ảnh

Hình ảnh

Bán đất 130,3m2 KQH Ngọc Anh - 180 Phạm Văn Đồng, TP. Huế
  • Bán đất 130,3m2 KQH Ngọc Anh - 180 Phạm Văn Đồng, TP. Huế - 0
  • Bán đất 130,3m2 KQH Ngọc Anh - 180 Phạm Văn Đồng, TP. Huế - 1
  • Bán đất 130,3m2 KQH Ngọc Anh - 180 Phạm Văn Đồng, TP. Huế - 2
Có thể bạn muốn xem: Bán đất Ngọc Anh

Phản ánh tin rao vi phạm

Thông tin phản ánh của Quý khách giúp chúng tôi sàn lọc thông tin tốt hơn và loại trừ các nhà môi giới không trung thực. Xin trân trọng cám ơn.


Tôi không muốn xem tin của người đăng này trong vòng: Tất cả các tin của thành viên này sẽ ẩn đi với bạn trong khoảng thời gian bạn đã chọn.
Mã an toàn:

Bất động sản nổi bật

Cần bán Đất nền, liền kề, đất dự án tại Thành phố Huế

MẶT TIỀN NỘI THÀNH NGANG 6.8m GIÁ 4.15 TỶ- LH HẢI YẾN

MẶT TIỀN NỘI THÀNH CHỈ 4.150.000 TỶ Đất 150,8m2 ngang 6,8m dài 22m. Hướng tây nam Pháp lý sổ đầy đủ Vị trí trung tâm nội thành, tặng kèm nhà trên đất Phù hợp làm homestay, mua ở, đầu tư... ☎️☎️LH Hải Yến...... << Xem chi tiết >>

12m
Giá: 4,15 tỷ Diện tích: 150 KT: 6,8x23m

Đường Lê Hữu Trác, Phường Phú Xuân, Huế

Đường Lê Hữu Trác, Phường Tây Lộc, Thành phố Huế, Huế (cũ)

🔥🔥ĐẤT KQH NGUYỄN KHOA CHIÊM - Cạnh Làng Đại Học Huế - Giá 3 tỷ 4xx🔥🔥

🔥🔥ĐẤT KQH NGUYỄN KHOA CHIÊM - Cạnh Làng Đại Học Huế - Giá 3 tỷ 4xx🔥🔥 - Vị trí: gần làng Đại học Huế, khu vực đông dân, tiện ích đầy đủ,... Cao ráo ko ngập lụt - Diện tích 114m2 ngang 6m - Đường nhựa 11,5m - Hướng...... << Xem chi tiết >>

11m
Giá: 3,42 tỷ Diện tích: 114 KT: 6x19mHướng: Bắc

Đường Nguyễn Khoa Chiêm, Phường An Cựu, Huế

Đường Nguyễn Khoa Chiêm, Phường An Tây, Thành phố Huế, Huế (cũ)

Bán đất kqh Kim Long gần đường và cầu Nguyễn Hoàng

Bán Lô Đất Cách cầu Nguyễn Hoàng 500m - KQH Kim Long, Đường 11,5M - Tp Huế - DT: 96m2 ngang 6m - Đường 11,5m- Hướng Tây Bắc - Vị trí: Gần cầu Nguyễn Hoàng. Đối lưng Trường Nguyễn Hoàng. Khu vực dân cư đẳng cấp, trình ...... << Xem chi tiết >>

12m
Giá: 2,95 tỷ Diện tích: 96 KT: 6x16m

Đường Nguyễn Hoàng, Phường Kim Long, Huế

Đường Nguyễn Hoàng, Phường Kim Long, Thành phố Huế, Huế (cũ)

Lô góc view công viên KV6 đường Bãi Sậy rộng 16,5m

🔥 🔥 Bán Lô Góc 2 Mặt Tiền Đường Bãi Sậy, Hương Sơ - Đối Diện Công Viên lớn, vị trí xây biệt thự hay kinh doanh vip 💎 Giá : 3 tỷ 650 triệu 👉🏻Vị trí: 2 mặt tiền đường Bãi Sậy, Hương Sơ - Phía trước view công viê...... << Xem chi tiết >>

16m
Giá: 3,65 tỷ Diện tích: 160 KT: 8,4x20mHướng: Đông Bắc

Đường Bãi Sậy 1, Phường Hương An, Huế

Đường Bãi Sậy 1, Phường Hương Sơ, Thành phố Huế, Huế (cũ)

Lô Góc 02 Măt tiền View Villas KQH Ngọc Anh - thuộc Trục chính đẳng cấp - Phú Thượng, Huế

Lô Góc 02 Măt tiền View Villas KQH Ngọc Anh - thuộc Trục chính đẳng cấp - Phú Thượng, Huế ❌ 📍 Thông tin sản phẩm: - DT: 142,4m2 (ngang 10.5m). - Đường: 9m và 5,5m. - Hướng: Bắc - Đông. - Vị Trí : cách đường Phạm ...... << Xem chi tiết >>

9m
Giá: 4,1 tỷ Diện tích: 142 KT: 10,5x16,5mHướng: Đông Bắc

Đường Ngọc Anh, Phường Mỹ Thượng, Huế

Đường Ngọc Anh, Phường Phú Thượng, Thành phố Huế, Huế (cũ)