Bán đất 143m2 mặt tiền đường Trần Thị Tâm, KQH Bàu Vá, phường Thủy Xuân, TP Huế

Thông tin chi tiết

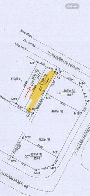
Bán đất 143m2 mặt tiền đường Trần Thị Tâm, KQH Bàu Vá, phường Thủy Xuân, TP Huế, gần Khách sạn Athena, chỉ 4,93 Tỷ - Vị trí: thuộc KQH Bàu Vá, cạnh 2 công viên, khu toàn nhà lầu, biệt thự. - Diện tích: 143m2, (5,5 x 26), Lô kẹp mương 3 mặt thoáng - Hướng: Đông Bắc - Đường rộng: 13,5m - Giá bán: 4,93 Tỷ (34,5 Triệu/m2) Liên hệ sđt/zalo: gặp Đình Ngân để đi xem đất

Giá: 34,5 triệu / m²   Diện tích: 143
Địa chỉ tài sản:
Đường Trần Thị Tâm, Phường Thủy Xuân, Huế

Đường Trần Thị Tâm, Phường Thủy Xuân, Thành phố Huế, Huế

(địa chỉ cũ)

Các thông tin khác

Mã tin17197684HướngĐông BắcPhòng ăn---
Loại tinCần bánĐường trước nhà14mNhà bếp---
Loại BDSĐất thổ cư, đất ởPháp lýSổ hồng/ Sổ đỏSân thượng---
Chiều ngang5,5mSố lầu---Chổ để xe hơi---
Chiều dài26mSố phòng ngủ---Chính chủ---
Hình ảnh

Hình ảnh

Bán đất 143m2 mặt tiền đường Trần Thị Tâm, KQH Bàu Vá, phường Thủy Xuân, TP Huế
  • Bán đất 143m2 mặt tiền đường Trần Thị Tâm, KQH Bàu Vá, phường Thủy Xuân, TP Huế - 0
  • Bán đất 143m2 mặt tiền đường Trần Thị Tâm, KQH Bàu Vá, phường Thủy Xuân, TP Huế - 1
  • Bán đất 143m2 mặt tiền đường Trần Thị Tâm, KQH Bàu Vá, phường Thủy Xuân, TP Huế - 2
  • Bán đất 143m2 mặt tiền đường Trần Thị Tâm, KQH Bàu Vá, phường Thủy Xuân, TP Huế - 3
  • Bán đất 143m2 mặt tiền đường Trần Thị Tâm, KQH Bàu Vá, phường Thủy Xuân, TP Huế - 4
  • Bán đất 143m2 mặt tiền đường Trần Thị Tâm, KQH Bàu Vá, phường Thủy Xuân, TP Huế - 5
  • Bán đất 143m2 mặt tiền đường Trần Thị Tâm, KQH Bàu Vá, phường Thủy Xuân, TP Huế - 6
  • Bán đất 143m2 mặt tiền đường Trần Thị Tâm, KQH Bàu Vá, phường Thủy Xuân, TP Huế - 7
  • Bán đất 143m2 mặt tiền đường Trần Thị Tâm, KQH Bàu Vá, phường Thủy Xuân, TP Huế - 8
Có thể bạn muốn xem:

Phản ánh tin rao vi phạm

Thông tin phản ánh của Quý khách giúp chúng tôi sàn lọc thông tin tốt hơn và loại trừ các nhà môi giới không trung thực. Xin trân trọng cám ơn.


Tôi không muốn xem tin của người đăng này trong vòng: Tất cả các tin của thành viên này sẽ ẩn đi với bạn trong khoảng thời gian bạn đã chọn.
Mã an toàn:

Bất động sản nổi bật

Cần bán Đất thổ cư, đất ở tại Thành phố Huế

Hai lô đất mặt tiền Nguyễn Bính, vị trí đẹp để làm Homestay

Bán 2 lô đất mặt tiền Nguyễn Bính, TP Huế, vị trí đắc địa để làm Homestay. - Diện tích: 107 - 109 m2 (full thổ cư). - Hướng đông. - Đường hiện trạng 6m. - Sổ hồng riêng có thể sang tên ngay - Giá bán: 4,5 tỷ...... << Xem chi tiết >>

6m
Giá: 4,5 tỷ Diện tích: 107 Hướng: Đông

Đường Nguyễn Bính, Phường Vỹ Dạ, Huế

Đường Nguyễn Bính, Phường Xuân Phú, Thành phố Huế, Huế (cũ)

MẶT TIỀN ĐỒNG KHỞI 92,2m2 MỚI TRÚNG ĐẤU GIÁ - VIEW CÔNG VIÊN ĐỐI DIỆN NHÀ HÀNG MÂY

MẶT TIỀN ĐỒNG KHỞI 92,2m2 MỚI TRÚNG ĐẤU GIÁ - VIEW CÔNG VIÊN ĐỐI DIỆN NHÀ HÀNG MÂY ĐẲNG CẤP - TP HUẾ - Đường 26m+13m (view Công Viên trồng Hoa trang trí điểm Xanh) - DT: 92,2m2 4,5x20,5m - Hướng Tây Nam - Giá Bán: 5...... << Xem chi tiết >>

39m
Giá: 5,4 tỷ Diện tích: 92 KT: 4,5x20,5m

Đường Đồng Khởi, Phường Thủy Xuân, Huế

Đường Đồng Khởi, Phường Thủy Xuân, Thành phố Huế, Huế (cũ)

ĐẤT 397m2 MẶT TIỀN ĐƯỜNG HUYỀN TRÂN CÔNG CHÚA - THÍCH HỢP KINH DOANH

✨ BÁN ĐẤT MẶT TIỀN ĐƯỜNG HUYỀN TRÂN CÔNG CHÚA – GIÁ CHỈ 12 tr/m ✨ 📍 Vị trí: Mặt tiền đường Huyền Trân Công Chúa, TP. Huế • Trục đường rộng, dân cư đông đúc, giao thông thuận tiện vào trung tâm. • Khu vực phát triển...... << Xem chi tiết >>

12m
Giá: 12 triệu / m²   Diện tích: 397

Đường Huyền Trân Công Chúa, Phường Thủy Xuân, Huế

Đường Huyền Trân Công Chúa, Phường Thủy Xuân, Thành phố Huế, Huế (cũ)

Đất ở Thành phố , khu quy hoạch cao cấp

ĐỨA EM CẦN BÁN: KQH CẦU LIM - SỔ VUÔNG NHƯ BÁNH CHƯNG - ĐƯỜNG 12M - Ở , KINH DOANH ĐỀU TUYỆT VỜI - TIỆN ÍCH TRONG KQH ĐẦY ĐỦ - CẦU LIM ĐANG THI CÔNG - GIAO THÔNG QUÁ THUẬN TIỆN. Diện tích 244 m2, mặt tiền 10 m, đường...... << Xem chi tiết >>

12m
Giá: 5,05 tỷ Diện tích: 244

Đường Minh Mạng, Phường Thủy Xuân, Huế

Đường Minh Mạng, Phường Thủy Xuân, Thành phố Huế, Huế (cũ)

Bán lô đất 297m2 Mặt tiền đường CHI LĂNG - Gần cầu CHỢ DINH, Chợ ĐẦU MỐI HUẾ - Chỉ 4,x tỷ

Bán lô đất 297m2 Mặt tiền đường CHI LĂNG - Gần cầu CHỢ DINH, Chợ ĐẦU MỐI HUẾ - Chỉ 4,x tỷ (Thương Lượng Chính chủ) - Nằm mặt tiền đường Chi Lăng, khu vực đông dân cư, gần Chợ, Trường học,... - Diện tích 297m2, rộng g...... << Xem chi tiết >>

13m
Giá: 4,3 tỷ Diện tích: 297 KT: 8,6x25mHướng: Tây Nam

Đường Chi Lăng, Phường Phú Xuân, Huế

Đường Chi Lăng, Phường Gia Hội, Thành phố Huế, Huế (cũ)