Bán đất An Dương – 51,2 – ngõ 3,5m – Giá cực rẻ chỉ 730 tr

Thông tin chi tiết

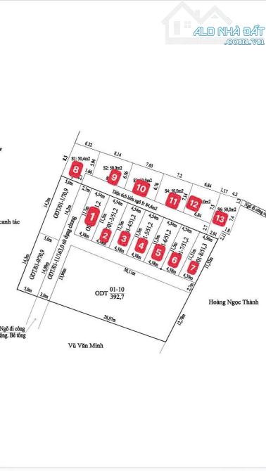
Bán đất An Dương – 51,2 – ngõ 3,5m – Giá cực rẻ chỉ 730 tr Siêu phẩm thực tế 2 mặt ngõ Gần chợ đặng cương,gần trung tâm phường an dương,hp Diện tích 51,2m2, mặt tiền 4,5m Ngõ trước nhà 3,5m, gần đường lớn Mảnh đất thuộc Phường An Hải-nhu kiều, Quốc Tuấn, quận An Dương cũ Sổ đỏ riêng biệt Vị trí ngay cạnh đường lớn, gần trường mẫu giáo và Tiểu học nhu kiều Giá 730 tr

Giá: 730 triệu Diện tích: 51
Địa chỉ tài sản:
Đường Đặng Cương, Phường An Hải, Hải Phòng

Đường Đặng Cương, Phường An Hải, Quận An Dương, Hải Phòng

(địa chỉ cũ)

Các thông tin khác

Mã tin17287513HướngTây BắcPhòng ăn---
Loại tinCần bánĐường trước nhà3,5mNhà bếp---
Loại BDSĐất thổ cư, đất ởPháp lýSổ hồng/ Sổ đỏSân thượng---
Chiều ngang4,5mSố lầu---Chổ để xe hơi---
Chiều dài12,8mSố phòng ngủ---Chính chủ---
Hình ảnh

Hình ảnh

Bán đất An Dương – 51,2 – ngõ 3,5m – Giá cực rẻ chỉ 730 tr
  • Bán đất An Dương – 51,2 – ngõ 3,5m – Giá cực rẻ chỉ 730 tr - 0
  • Bán đất An Dương – 51,2 – ngõ 3,5m – Giá cực rẻ chỉ 730 tr - 1
  • Bán đất An Dương – 51,2 – ngõ 3,5m – Giá cực rẻ chỉ 730 tr - 2
  • Bán đất An Dương – 51,2 – ngõ 3,5m – Giá cực rẻ chỉ 730 tr - 3
  • Bán đất An Dương – 51,2 – ngõ 3,5m – Giá cực rẻ chỉ 730 tr - 4
Có thể bạn muốn xem:

Phản ánh tin rao vi phạm

Thông tin phản ánh của Quý khách giúp chúng tôi sàn lọc thông tin tốt hơn và loại trừ các nhà môi giới không trung thực. Xin trân trọng cám ơn.


Tôi không muốn xem tin của người đăng này trong vòng: Tất cả các tin của thành viên này sẽ ẩn đi với bạn trong khoảng thời gian bạn đã chọn.
Mã an toàn:

Bất động sản nổi bật

Cần bán Đất thổ cư, đất ở tại Quận An Dương

Ms Linh- chỉ hơn 800tr sở hữu ngay lô đất tại Cống Mỹ, Nam Sơn, An Dương- 48m2

🌿 BÁN ĐẤT GIÁ TỐT – CỐNG MỸ, NAM SƠN, AN DƯƠNG, HẢI PHÒNG 🌿 Cơ hội sở hữu đất đẹp, vị trí tiềm năng – giá chỉ từ 870 triệu! 📍 Vị trí: Khu dân cư Cống Mỹ, Nam Sơn – gần trung tâm, giao thông thuận tiện, dân cư đông đ...... << Xem chi tiết >>

3m
Giá: 870 triệu Diện tích: 48 Hướng: Đông Nam

Đường Cống Đông, Phường An Dương, Hải Phòng

Đường Cống Đông, Phường Nam Sơn, Quận An Dương, Hải Phòng (cũ)

55M2 NGANG 4,1M ĐẤT TẠI QUỐC TUẤN, AN DƯƠNG, HẢI PHÒNG - CHỈ VÀI CHỤC MÉT RA TRỤC CHÍNH.

🍀 Vị trí ôtô vào đất xây dựng cao tầng. ♦️ Diện tích: 55m2 ngang 4,1m. ♦️ Hướng: Tây tứ trạch. ♦️ Pháp lý: Bìa đỏ rõ ràng. ♦️ Giá: 750 triệu (thoả thuận nhẹ nhàng). Ace có nhu cầu liên hệ e ạ. ☎️Hotline/Zalo: 🧑‍...... << Xem chi tiết >>

3m
Giá: 750 triệu Diện tích: 55 KT: 4,1x13,5m

, Phường An Hải, Hải Phòng

, Phường An Hải, Quận An Dương, Hải Phòng (cũ)

55 m² ngang 4,5 M tại Tràng Duệ Lê Lợi 2 mặt ngõ trước sau giá chỉ hơn 800   mua đầu tư lâ

55 m² ngang 4,5 M tại Tràng Duệ Lê Lợi 2 mặt ngõ trước sau giá chỉ hơn 800 mua đầu tư lâu dài hay xây ở tuyệt vời ngay khu công nghiệp Tràng Duệ khu công nghiệp thẩm quyến khu công nghiệp An Dương LH em Minh chuyê...... << Xem chi tiết >>

3m
Giá: 860 triệu Diện tích: 55

Đường Tràng Duệ, Phường An Dương, Hải Phòng

Đường Tràng Duệ, Phường Lê Lợi, Quận An Dương, Hải Phòng (cũ)

💰 Giá đầu tư – Đất 48m² Cống Mỹ, Nam Sơn chỉ hơn 800 triệu

📍 Vị trí: Cống Mỹ, Nam Sơn, An Dương, Hải Phòng ✅ Diện tích: 48m² – Mặt tiền 4.05m ✅ Hướng Tây Bắc – Đường 3m 🌟 Lô đất vuông vắn, dân cư đông, gần trường chợ 📞 Liên hệ em Thành – hỗ trợ mua bán, sang tên nhà đấ...... << Xem chi tiết >>

3m
Giá: 850 triệu Diện tích: 48 Hướng: Tây Bắc

Đường Cống Đông, Phường An Dương, Hải Phòng

Đường Cống Đông, Phường Nam Sơn, Quận An Dương, Hải Phòng (cũ)

🔥 BÁN ĐẤT GIÁ RẺ – NGÕ 11 CỐNG MỸ, NAM SƠN, AN DƯƠNG 🔥  📐 Diện tích: 53,4m²

🔥 BÁN ĐẤT GIÁ RẺ – NGÕ 11 CỐNG MỸ, NAM SƠN, AN DƯƠNG 🔥 📐 Diện tích: 53,4m² 📏 Mặt tiền: 4,6m 💰 Giá: 820 triệu 🧭 Hướng: Đông Bắc 🚗 Đường 3m, ô tô ra vào thoải mái 👉 Vị trí đẹp, bán kính 500m có ...... << Xem chi tiết >>

3m
Giá: 820 triệu Diện tích: 53 Hướng: Đông Bắc

Đường Cống Đông, Phường An Dương, Hải Phòng

Đường Cống Đông, Phường Nam Sơn, Quận An Dương, Hải Phòng (cũ)