Thông tin chi tiết
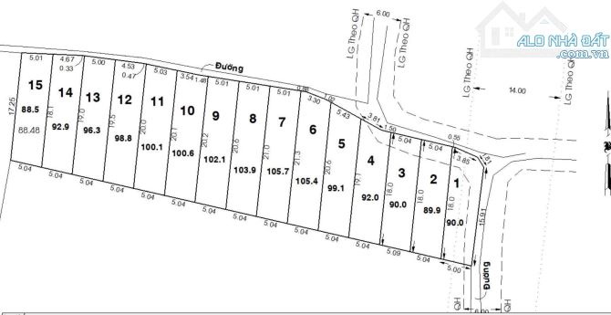
HÀNG DÀNH CHO NHÀ ĐẦU TƯ PHÂN LÔ Bán 1455m2 đất vườn Ấp 1 Xã Bình Chánh.Huyện Bình Chánh Đất đã xây rào xung quanh. Đường trước đất bêtông 4m. Xe hơi vào thoải mái. Ngay khu dân cư đông dân.Đất cách đường Nhựa 50m Giá: 7.2ti thương lượng ạ NGOÀI RA E CÒN NHIỀU BDS BÌNH CHÁNH



