Bán đất phía đông chùa Bình An 43m2 và 78m2

Thông tin chi tiết

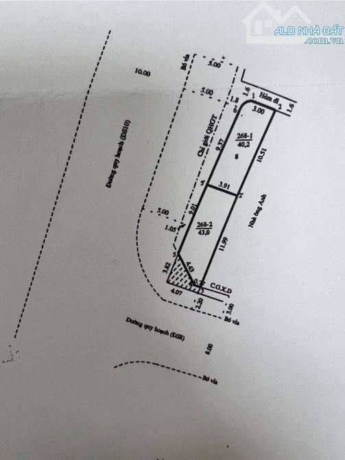
👉👉 Lô 1: Chào bán lô đất khu đông Chùa Bình An, chợ dinh. 🫴Diện tích 78mv, ngang 5m 🫴 Đối diện công viên, lô sạch đẹp; hướng tây nam 🫴 Lộ giới 15.5m; vĩa hè 5m 🫴giá 2.590 triệu 🌹🌹 Lô 2: VỊ TRÍ GIỮA KHU VÕ THỊ SÁU VÀ CHỢ DINH LỘ GIỚI 20m Bó vỉa 5m , LỘ GIỚI 16m bó vỉa 3m GÓC 2 MẶT ĐƯỜNG ĐS10 và ĐS8 DIỆN TÍCH 43m2 ngang gần 4m - GIÁ 2 Tỉ 490 💚💚 THÍCH HỢP MỞ QUÁN CÀ PHÊ HOẶC CỬA TIỆM , SHOP TẠP HOÁ, VÌ VỈA HÈ QUÁ THOÁNG RỘNG Xin chân thành cảm ơn !!

Giá: 2,49 tỷ Diện tích: 43
Địa chỉ tài sản:
Đường D10, Phường Quy Nhơn Đông, Gia Lai

Đường D10, Phường Nhơn Bình, Thành phố Quy Nhơn, Bình Định

(địa chỉ cũ)

Các thông tin khác

Mã tin16242474HướngTây NamPhòng ăn---
Loại tinCần bánĐường trước nhà16mNhà bếp---
Loại BDSĐất nền, liền kề, đất dự ánPháp lýSổ hồng/ Sổ đỏSân thượng---
Chiều ngang4mSố lầu---Chổ để xe hơi---
Chiều dài11mSố phòng ngủ---Chính chủ---
Hình ảnh

Hình ảnh

Bán đất phía đông chùa Bình An 43m2 và 78m2
  • Bán đất phía đông chùa Bình An 43m2 và 78m2 - 0
  • Bán đất phía đông chùa Bình An 43m2 và 78m2 - 1
Có thể bạn muốn xem:

Phản ánh tin rao vi phạm

Thông tin phản ánh của Quý khách giúp chúng tôi sàn lọc thông tin tốt hơn và loại trừ các nhà môi giới không trung thực. Xin trân trọng cám ơn.


Tôi không muốn xem tin của người đăng này trong vòng: Tất cả các tin của thành viên này sẽ ẩn đi với bạn trong khoảng thời gian bạn đã chọn.
Mã an toàn:

Cần bán Đất nền, liền kề, đất dự án tại Thành phố Quy Nhơn

Bán đất khu Đại Phú Gia Quy Nhơn. Diện tích đa dạng, giá tốt nhất. Chỉ từ 2,35 tỉ cho 1 lô

🌟 KÍNH CHÀO QUÝ NHÀ ĐẦU TƯ! 🌟 ✅ Cam kết cung cấp thông tin chính xác – minh bạch – đầy đủ ✅ Luôn có mặt tại dự án để hỗ trợ trọn gói – tận tâm cho quý khách hàng ✅ Đồng hành cùng nhà đầu tư từ A đến Z 🌇 MỞ BÁN...... << Xem chi tiết >>

20m4 phòng ngủ
Giá: 2,35 tỷ Diện tích: 63

Quốc Lộ 19, Phường Quy Nhơn Đông, Gia Lai

Quốc Lộ 19, Phường Nhơn Bình, Thành phố Quy Nhơn, Bình Định (cũ)

Bán đất nền TĐC Đê Đông, Quy Nhơn cạnh Đầm Thị Nại

TĐC ĐÊ ĐÔNG NHƠN BÌNH, THÀNH PHỐ QUY NHƠN. Cạnh Đầm Thị Nại và dự án Đại Phú Gia, An Phú Thịnh Quy Nhơn - Với nhiều diện tích nhỏ. -DT: 60m2. Hướng: Đông Nam. Giá bán: 2,6 tỷ. -DT: 80m2. Hướng: Đông. Giá bán: 2,8 tỷ....... << Xem chi tiết >>

15m
Giá: 2,6 tỷ Diện tích: 60 KT: 4x15mHướng: Đông Nam

Quốc Lộ 19, Phường Quy Nhơn Đông, Gia Lai

Quốc Lộ 19, Phường Nhơn Bình, Thành phố Quy Nhơn, Bình Định (cũ)

Bán đất nền, nhà liền kề, đất dự án ở Khu Đô Thị Chợ Góc - Phú Gia Riverside Quy Nhơn

*** Bán Đất khu Đô thị Chợ Góc - Phú Gia Riverside Quy Nhơn - Diện tích: 63m2 - Giá: 2 tỷ 350 - Diện tích: 63m2 - nhà xây thô 3 mê - Giá bán: 3 tỷ 4. - Diện tích: 63m2 - nhà đã hoàn thiện xong nội thất - Giá bán:...... << Xem chi tiết >>

18m
Giá: 2,35 tỷ Diện tích: 63 KT: 4,5x14mHướng: Đông Nam

Quốc Lộ 19, Phường Quy Nhơn Đông, Gia Lai

Quốc Lộ 19, Phường Nhơn Bình, Thành phố Quy Nhơn, Bình Định (cũ)

Mua Bán Nhà Phố - Đất Nền Khu đô thị An Phú Thịnh Quy Nhơn

Cần Bán Các Nền Đất An Phú Thịnh Quy Nhơn, Bình Định, với lợi thế hạ tầng kết nối giao thông đồng bộ, đầy đủ tiện ích như TTTM, chợ, trường học và công viên cây xanh. Các diện tích đất đa dạng dưới đây: Liên hệ Thái...... << Xem chi tiết >>

18m
Giá: 28,5 triệu / m²   Diện tích: 100 KT: 5x20mHướng: Đông Nam

Đường Võ Nguyên Giáp, Phường Quy Nhơn Đông, Gia Lai

Đường Võ Nguyên Giáp, Phường Nhơn Bình, Thành phố Quy Nhơn, Bình Định (cũ)

Bán đất dt 76m2 khu dân cư phía đông chùa bình an ,nhơn bình,TP Quy Nhơn, Bình Định

💯Cần bán gấp đất khu phía đông chùa bình an,nhơn bình,quy nhơn, Bình Định. 👉Dt 76m2 ngan 3,8m ,dài 20m,hướng nam,lộ giới 14m.đất ở lâu dài ,xây dựng tự do. 👉Gần chợ dinh,chung cư Ecohom nhơn bình, cách biển quy...... << Xem chi tiết >>

14m
Giá: 2,2 tỷ Diện tích: 76 KT: 3,8x20mHướng: Nam

, Phường Quy Nhơn Đông, Gia Lai

, Phường Nhơn Bình, Thành phố Quy Nhơn, Bình Định (cũ)