Bán đất tặng nhà 1 tầng mặt đường Trương Văn Lực, Hùng Vương 100m2 giá 5,2x tỷ

Thông tin chi tiết

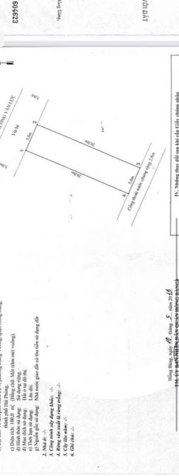
Bán đất tặng nhà 1 tầng mặt đường Trương Văn Lực, Hùng Vương 100m2 giá 5,2x tỷ 📌Lô đất vị trí mặt đường, có vỉa hẻ rộng kinh doanh buôn bán 📌Chỉ vài phút là ra chợ, trường học, uỷ ban phường Hùng Vương. 👉 Diện tích: 100m2. Mặt tiền: 5m( tặng thêm 14m lưu ko) 👉Đường trải nhựa 9m vỉa hè 2 bên 👉Trên đất có nhà 1 tầng đầy đủ công năng vẫn đang sử dụng 💸 Giá chào 5,2xtỷ ☎️☎️☎️Alo e Hồi chuyên bất động sản Hồng Bàng, An Dương - làm việc chính chủ --------------------------

Giá: 5,25 tỷ Diện tích: 100
Địa chỉ tài sản:
Đường Trương Văn Lực, Phường Hồng Bàng, Hải Phòng

Đường Trương Văn Lực, Phường Hùng Vương, Quận Hồng Bàng, Hải Phòng

(địa chỉ cũ)

Các thông tin khác

Mã tin17218120HướngĐông BắcPhòng ăn---
Loại tinCần bánĐường trước nhà19mNhà bếp---
Loại BDSĐất thổ cư, đất ởPháp lýSổ hồng/ Sổ đỏSân thượng---
Chiều ngang5mSố lầu---Chổ để xe hơi---
Chiều dài---Số phòng ngủ---Chính chủ---
Hình ảnh

Hình ảnh

Bán đất tặng nhà 1 tầng mặt đường Trương Văn Lực, Hùng Vương 100m2 giá 5,2x tỷ
  • Bán đất tặng nhà 1 tầng mặt đường Trương Văn Lực, Hùng Vương 100m2 giá 5,2x tỷ - 0
  • Bán đất tặng nhà 1 tầng mặt đường Trương Văn Lực, Hùng Vương 100m2 giá 5,2x tỷ - 1
  • Bán đất tặng nhà 1 tầng mặt đường Trương Văn Lực, Hùng Vương 100m2 giá 5,2x tỷ - 2
  • Bán đất tặng nhà 1 tầng mặt đường Trương Văn Lực, Hùng Vương 100m2 giá 5,2x tỷ - 3
Có thể bạn muốn xem:

Phản ánh tin rao vi phạm

Thông tin phản ánh của Quý khách giúp chúng tôi sàn lọc thông tin tốt hơn và loại trừ các nhà môi giới không trung thực. Xin trân trọng cám ơn.


Tôi không muốn xem tin của người đăng này trong vòng: Tất cả các tin của thành viên này sẽ ẩn đi với bạn trong khoảng thời gian bạn đã chọn.
Mã an toàn:

Bất động sản nổi bật

Cần bán Đất thổ cư, đất ở tại Quận Hồng Bàng

🌟 BÁN LÔ ĐẤT XÂY BIỆT THỰ CỰC ĐẸP – AN CHÂN, HỒNG BÀNG, HẢI PHÒNG 🌟

🌟 BÁN LÔ ĐẤT XÂY BIỆT THỰ CỰC ĐẸP – AN CHÂN, HỒNG BÀNG, HẢI PHÒNG 🌟 📐 Diện tích: 119m² 🏘 Mặt tiền: 6m, đất vuông vắn, không lỗi phong thủy 🚗 Đường trước nhà: hơn 4m, ô tô vào tận nơi, ngõ sạch sẽ 🏡 Khu dân cư a...... << Xem chi tiết >>

4m
Giá: 5 tỷ Diện tích: 119

Đường An Chân, Phường Hồng Bàng, Hải Phòng

Đường An Chân, Phường Sở Dầu, Quận Hồng Bàng, Hải Phòng (cũ)

Bán 100m đất mặt đường chỉ hơn 4 tỉ một tí

🔥 BÁN ĐẤT MẶT ĐƯỜNG CAM LỘ – HÙNG VƯƠNG, HỒNG BÀNG – GIÁ SIÊU RẺ 🔥 📐 Diện tích: 95,8m² 🏠 Mặt tiền: 5,31m vuông vắn 🚗 Đường trước nhà: Mặt đường Cam Lộ, kinh doanh sầm uất 💰 Giá chỉ: 4,22 tỷ 👉 Tính ra chỉ hơn ...... << Xem chi tiết >>

7m
Giá: 4,22 tỷ Diện tích: 96 KT: 5,4x19mHướng: Tây Bắc

Đường Cam Lộ, Phường Hồng Bàng, Hải Phòng

Đường Cam Lộ, Phường Hùng Vương, Quận Hồng Bàng, Hải Phòng (cũ)

Bán đất mặt đường trục chính Cam Lộ, trung tâm Hùng Vương, Hồng Bàng giá 4,x tỷ

Bán đất mặt đường trục chính Cam Lộ, trung tâm Hùng Vương, Hồng Bàng giá 4,22 tỷ - 96m2 Vị trí mặt đường kinh doanh buôn bán, trung tâm Hùng Vương với đầy đủ tiện ích. Trục nối thông 2 tuyến đường 5, giao thông sinh hoạ...... << Xem chi tiết >>

10m
Giá: 4,22 tỷ Diện tích: 96 Hướng: Tây Bắc

Đường Cam Lộ, Phường Hồng Bàng, Hải Phòng

Đường Cam Lộ, Phường Hùng Vương, Quận Hồng Bàng, Hải Phòng (cũ)

📢 BÁN ĐẤT TẶNG NHÀ 1 TẦNG – NHÀ PHỐ TRUNG TÂM PHƯỜNG HỒNG BÀNG

📍 Vị trí: Đường Hùng Duệ Vương (Thượng Lý cũ) – trung tâm Hồng Bàng, khu dân cư sầm uất, giao thông thuận tiện 📏 Diện tích: 76,3m² – ngang 6,9m cực thoáng 🏡 Nhà 1 tầng sẵn có, hướng Nam mát mẻ 🚗 Đường trước nhà: 4...... << Xem chi tiết >>

5m
Giá: 4,5 tỷ Diện tích: 76

Đường Hùng Duệ Vương, Phường Hồng Bàng, Hải Phòng

Đường Hùng Duệ Vương, Phường Thượng Lý, Quận Hồng Bàng, Hải Phòng (cũ)

Bán lô đất hai mặt ngõ Trại Chuối Hồng Bàng Hp

🏡 BÁN LÔ ĐẤT 2 MẶT NGÕ – TRẠI CHUỐI, HỒNG BÀNG 📍 Địa chỉ: Đội Văn, Trại Chuối, Hồng Bàng, Hải Phòng 📐 Diện tích: 87,1m² trong bìa + ~30m² lưu không (có thể lên bìa) 💰 Giá: 5,2 tỷ 🧭 Hướng: Đông Bắc 🚗 Đường tr...... << Xem chi tiết >>

7m
Giá: 5,2 tỷ Diện tích: 87 KT: 4,15x12mHướng: Đông Bắc

Đường Đội Văn, Phường Hồng Bàng, Hải Phòng

Đường Đội Văn, Phường Thượng Lý, Quận Hồng Bàng, Hải Phòng (cũ)