Bán khách sạn tại Q.Cái Răng - Tp.Cần Thơ

Thông tin chi tiết

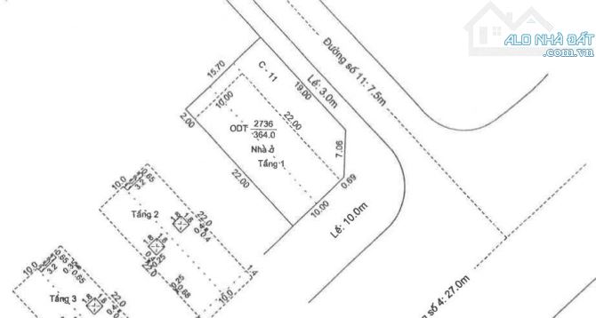
Bán khách sạn số 1 đường số 7, Khu Nông Thổ Sản, P. Phú Thứ, Q. Cái Răng, TP. Cần Thơ 364m² giá 35 tỷ (TL). Vị trí đắc địa: Số 1 Đường số 7, Khu Nông Thổ Sản, Phường Phú Thứ, Quận Cái Răng, TP. Cần Thơ. Diện tích đất: 364m². Diện tích xây dựng: 213,5m². Tổng diện tích sàn: 822,2m². Kết cấu: Xây kiên cố, pháp lý rõ ràng. Tiềm năng: Vận hành khách sạn, kinh doanh lưu trú, khai thác dòng tiền ngay. Giá bán: 35 tỷ (có thương lượng). Hoa hồng môi giới: 1%.

Giá: 35 tỷ Diện tích: 364
Địa chỉ tài sản:
1, Đường số 7, Phường Hưng Phú, Cần Thơ

1, Đường số 7, Phường Phú Thứ, Quận Cái Răng, Cần Thơ

(địa chỉ cũ)

Các thông tin khác

Mã tin17090758HướngĐôngPhòng ăn---
Loại tinCần bánĐường trước nhà30mNhà bếp---
Loại BDSNhà hàng, khách sạnPháp lýSổ hồng/ Sổ đỏSân thượngcheck
Chiều ngang17mSố lầu5Chổ để xe hơicheck
Chiều dài---Số phòng ngủ22Chính chủ---
Hình ảnh

Hình ảnh

Bán khách sạn tại Q.Cái Răng - Tp.Cần Thơ
  • Bán khách sạn tại Q.Cái Răng - Tp.Cần Thơ - 0
  • Bán khách sạn tại Q.Cái Răng - Tp.Cần Thơ - 1
  • Bán khách sạn tại Q.Cái Răng - Tp.Cần Thơ - 2
  • Bán khách sạn tại Q.Cái Răng - Tp.Cần Thơ - 3
Có thể bạn muốn xem:

Phản ánh tin rao vi phạm

Thông tin phản ánh của Quý khách giúp chúng tôi sàn lọc thông tin tốt hơn và loại trừ các nhà môi giới không trung thực. Xin trân trọng cám ơn.


Tôi không muốn xem tin của người đăng này trong vòng: Tất cả các tin của thành viên này sẽ ẩn đi với bạn trong khoảng thời gian bạn đã chọn.
Mã an toàn: