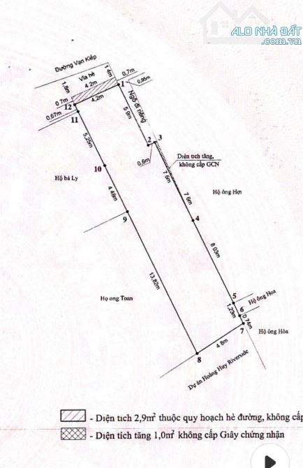
Bán lô đất đẹp mặt đường Vạn Kiếp sát Hoàng huy riverside.110m2 ngang 5m giá chỉ 62tr/m2

Thông tin chi tiết

Bán Đất Mặt Đường Vạn Kiếp (sát dự án Hoàng Huy reverside) - Diện tích 110m2 thực tế SD 115m2 - Ngang 4.2m thực tế SD hơn 5m - Giá bán 62 tr/m2 (ra lộc) Mọi thông tin chi tiết xin liên hệ em Kim Anh Vu Bên em còn nhiều sản phẩm mặt phố giá tốt nhất Diễm châu land 207 Hàng Kênh Lê Chân

Giá: 62 triệu / m²   Diện tích: 110
Địa chỉ tài sản:
Đường Vạn Kiếp, Phường Hồng Bàng, Hải Phòng

Đường Vạn Kiếp, Phường Thượng Lý, Quận Hồng Bàng, Hải Phòng

(địa chỉ cũ)

Các thông tin khác

Mã tin16620534Hướng_Phòng ăn---
Loại tinCần bánĐường trước nhà10mNhà bếp---
Loại BDSĐất thổ cư, đất ởPháp lýSổ hồng/ Sổ đỏSân thượng---
Chiều ngang5mSố lầu---Chổ để xe hơi---
Chiều dài22mSố phòng ngủ---Chính chủ---
Hình ảnh

Hình ảnh

Bán lô đất đẹp mặt đường Vạn Kiếp sát Hoàng huy riverside.110m2 ngang 5m giá chỉ 62tr/m2
Có thể bạn muốn xem:

Phản ánh tin rao vi phạm

Thông tin phản ánh của Quý khách giúp chúng tôi sàn lọc thông tin tốt hơn và loại trừ các nhà môi giới không trung thực. Xin trân trọng cám ơn.


Tôi không muốn xem tin của người đăng này trong vòng: Tất cả các tin của thành viên này sẽ ẩn đi với bạn trong khoảng thời gian bạn đã chọn.
Mã an toàn:

Cần bán Đất thổ cư, đất ở tại Quận Hồng Bàng

🔥 HÀNG KHỦNG TĐC VINHOMES – SỞ DẦU, HỒNG BÀNG- HẢI PHÒNG – VỊ TRÍ ĐẮC ĐỊA KINH DOANH 💥

🔥 HÀNG KHỦNG TĐC VINHOMES – SỞ DẦU, HỒNG BÀNG – VỊ TRÍ ĐẮC ĐỊA KINH DOANH 💥 📍 Vị trí: khu TĐC Vinhomes – Hồng Bàng, Hải Phòng 📐 Diện tích: 70m² (5m × 14m) | Hướng: Đông Nam 🛣️ Mặt đường: 31m siêu rộng + vỉa hè ...... << Xem chi tiết >>

20m
Giá: 7,35 tỷ Diện tích: 70 Hướng: Đông Nam

Đường Bến Bính, Phường Hồng Bàng, Hải Phòng

Đường Bến Bính, Phường Sở Dầu, Quận Hồng Bàng, Hải Phòng (cũ)

Hàng hiếm 70m2 tuyến đường đôi 31m ở TĐC Hoa Quả, Hồng Bàng.

💯 1 lô duy nhất 70m2 tuyến đường đôi rộng 31m ở TĐC Hoa Quả, Hồng Bàng. Hạ tầng đồng bộ, không quy hoạch, tuyến 1 kinh doanh buôn bán. Chỉ 2,3 phút đi xe là sang trung tâm hành chính mới của thành phố. Thông số vàng:...... << Xem chi tiết >>

31mChỗ để xe
Giá: 7,35 tỷ Diện tích: 70 Hướng: Đông Nam

Đường Cầu Bính, Phường Hồng Bàng, Hải Phòng

Đường Cầu Bính, Phường Thượng Lý, Quận Hồng Bàng, Hải Phòng (cũ)

Bán đất mặt đường Bặch Đằng siêu hiếm đối diện vin

🏡 BÁN LÔ ĐẤT SIÊU HIẾM – MẶT ĐƯỜNG BẶCH ĐẰNG duy nhất còn sót lại 📍 Địa chỉ: Vin, Hồng Bàng, Hải Phòng 📐 Diện tích: 59,4m² (ngang 4,4m) 💰 Giá: 8,02 tỷ 🧭 Hướng: Bắc 🚗 Đường trước nhà: 12m – ô tô tránh nhau thoả...... << Xem chi tiết >>

20m
Giá: 8,02 tỷ Diện tích: 60 KT: 4,5x14mHướng: Bắc

Đường Bạch Đằng, Phường Hồng Bàng, Hải Phòng

Đường Bạch Đằng, Phường Thượng Lý, Quận Hồng Bàng, Hải Phòng (cũ)

Ms Linh-Siêu đẹp lô đất 54m2 khu TDC Thế Lữ, Hồng Bàng, Hải Phòng

Bán đất tái định cư Thế Lữ – Hồng Bàng, Hải Phòng • Diện tích: 54 m² (ngang 4 m) • Hướng: Tây Nam • Đường: Rộng 9 m, ô tô tránh nhau, thông thoáng • Vị trí: Nằm trong khu phố đi bộ sầm uất, dân cư đông đúc, kinh ...... << Xem chi tiết >>

9m
Giá: 6,75 tỷ Diện tích: 54 Hướng: Tây Nam

Đường Thế Lữ, Phường Hồng Bàng, Hải Phòng

Đường Thế Lữ, Phường Thượng Lý, Quận Hồng Bàng, Hải Phòng (cũ)

CHÍNH CHỦ BÁN LÔ ĐẤT ĐẸP – KHU TĐC THẾ LỮ, HỒNG BÀNG, TUYẾN 2, ĐƯỜNG RỘNG 9M

CHÍNH CHỦ BÁN LÔ ĐẤT ĐẸP – KHU TĐC THẾ LỮ, HỒNG BÀNG, TUYẾN 2, ĐƯỜNG RỘNG 9M! • Vị trí tuyến 2 đường thông, song song với phố đi bộ Thế Lữ, thuận tiện di chuyển, dân cư văn minh, an ninh đảm bảo. • Đường trước nhà rộ...... << Xem chi tiết >>

9m
Giá: 5,6 tỷ Diện tích: 40

Đường Thế Lữ, Phường Hồng Bàng, Hải Phòng

Đường Thế Lữ, Phường Thượng Lý, Quận Hồng Bàng, Hải Phòng (cũ)