Bán lô đất mặt tiền đối diện chợ Gò Bồi Tuy Phước 1ty7/96m2

Thông tin chi tiết

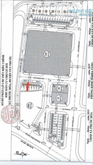
😂😂BÁN ĐẤT TUY PHƯỚC ❤️❤️ Bán lô đất ngay mặt tiền chợ Gò Bồi -Tuy Phước 👉 Diện tích 96m2 nở hậu, ngang 5m (2 lô là ngang 10m tổng 192m2) 👉Đối diện chợ Gò Bồi mới 🔹 Phù hợp cho thuê, xây nhà cao tầng kinh doanh buôn bán 🔹 Nằm ngay trung tâm xã,chợ, trường học, khu mua bán sầm uất 💰 Giá bán 1ty7/lô 💰2 lô giá bán 3ty4

Giá: 1,7 tỷ Diện tích: 96
Địa chỉ tài sản:
, Xã Tuy Phước Đông, Gia Lai

, Xã Phước Hòa, Huyện Tuy Phước, Bình Định

(địa chỉ cũ)

Các thông tin khác

Mã tin17065978HướngĐôngPhòng ăncheck
Loại tinCần bánĐường trước nhà20mNhà bếpcheck
Loại BDSĐất thổ cư, đất ởPháp lýSổ hồng/ Sổ đỏSân thượngcheck
Chiều ngang5mSố lầu---Chổ để xe hơicheck
Chiều dài19mSố phòng ngủ---Chính chủ---
Hình ảnh

Hình ảnh

Bán lô đất mặt tiền đối diện chợ Gò Bồi Tuy Phước 1ty7/96m2
  • Bán lô đất mặt tiền đối diện chợ Gò Bồi Tuy Phước 1ty7/96m2 - 0
  • Bán lô đất mặt tiền đối diện chợ Gò Bồi Tuy Phước 1ty7/96m2 - 1
  • Bán lô đất mặt tiền đối diện chợ Gò Bồi Tuy Phước 1ty7/96m2 - 2
  • Bán lô đất mặt tiền đối diện chợ Gò Bồi Tuy Phước 1ty7/96m2 - 3
  • Bán lô đất mặt tiền đối diện chợ Gò Bồi Tuy Phước 1ty7/96m2 - 4
  • Bán lô đất mặt tiền đối diện chợ Gò Bồi Tuy Phước 1ty7/96m2 - 5
  • Bán lô đất mặt tiền đối diện chợ Gò Bồi Tuy Phước 1ty7/96m2 - 6
  • Bán lô đất mặt tiền đối diện chợ Gò Bồi Tuy Phước 1ty7/96m2 - 7
Có thể bạn muốn xem:

Phản ánh tin rao vi phạm

Thông tin phản ánh của Quý khách giúp chúng tôi sàn lọc thông tin tốt hơn và loại trừ các nhà môi giới không trung thực. Xin trân trọng cám ơn.


Tôi không muốn xem tin của người đăng này trong vòng: Tất cả các tin của thành viên này sẽ ẩn đi với bạn trong khoảng thời gian bạn đã chọn.
Mã an toàn:

Cần bán Đất thổ cư, đất ở tại Huyện Tuy Phước

Cần bán lô đất 98m2 tại Thôn Vân Hội 2, Thị trấn Diêu Trì, Tuy Phước, Bình Định

+ Cần bán lô đất tại Thôn Vân Hội 2 ,Thị trấn Diêu trì,Tuy phước,Bình Định. + Diện tích 98 m2 có chiều ngang rộng 5,5 m không cột điện, gần Ga Diêu Trì, gần Chợ Diêu Trì, View Công viên thoáng mát. + Giá bán 1,95 tỷ - ...... << Xem chi tiết >>

16m
Giá: 1,95 tỷ Diện tích: 98 Hướng: Tây Nam

, Xã Tuy Phước, Gia Lai

, Thị trấn Diêu Trì, Huyện Tuy Phước, Bình Định (cũ)

Bán đất hẻm Phước Thuận thuộc khu TĐC Diêm Vân DT gần 225m2 gia 1ty690 triẹu

Bán đất hẻm sau 1 căn mặt tiền Phước Thuận thuộc khu tái định cư Diêm Vân . Sát nhà thờ làng sông.....Có chỗ đậu ô tô vô tư. Diện tích gần 225m2 đất thổ cư hoàn toàn Ngang hơn 6m Sau nở hậu. Hướng đông nam Sổ đỏ chí...... << Xem chi tiết >>

2m
Giá: 1,69 tỷ Diện tích: 225 KT: 6x38mHướng: Đông Nam

, Xã Tuy Phước, Gia Lai

, Xã Phước Thuận, Huyện Tuy Phước, Bình Định (cũ)

KP Trung Tín 1 - TT Tuy Phước.

🌺 Chính chủ Cần bán lô đất TRUNG TÍN 1 - TT Tuy Phước. Gần ngã tư tuy phước. D: 73m2 - ngang 7.5m- Lộ Giới 16m Hướng đông bắc. Giá bán 1.xxx Thích hợp cho ai đang có nhu cầu mua 1 lô đất để an cư lập nghiệp....... << Xem chi tiết >>

16m
Giá: 1,4 tỷ Diện tích: 73 KT: 7,5x10mHướng: Đông Bắc

, Xã Tuy Phước, Gia Lai

, Xã Tuy Phước, Huyện Tuy Phước, Bình Định (cũ)

Bán đất Trần Bá, Diêu Trì, Tuy Phước DT 102m2 Lô Góc Hai Mặt Tiền Giá

💐Cần bán lô góc hai mặt tiền Trần bá tt Diêu trì ,Tuy phước ,Bình Định. (Nay là xã Tuy Phước,Tỉnh Gia Lai.) 👉Dt 102m2 Ngang 7m ,dài 16m,hướng Tây Nam,lộ giới 13m. Sổ hồng riêng. 👉Khu dân cư đông,Gần QL1A, c...... << Xem chi tiết >>

13m
Giá: 1,79 tỷ Diện tích: 102 KT: 7x16mHướng: Tây Nam

, Xã Tuy Phước, Gia Lai

, Thị trấn Diêu Trì, Huyện Tuy Phước, Bình Định (cũ)

Bán đất  Vân Hội 2, Diêu Trì, Tuy Phước DT 80m² ngang 5m Giá 1 tỉ 450 triệu

✅✅Vẫn là 1 lô rất ưng ý nha, mát mẻ trung tâm giữa An Nhơn _ Qui Nhơn đi đâu cũng tiện bao bọc các tiện ích xung quanh. ️Bán đất đẹp trung tâm Diêu Trì _ Vân Hội 2 _ Diêu Trì _ Tuy Phước gần cf chill, đường lên ga, khu d...... << Xem chi tiết >>

12m
Giá: 1,45 tỷ Diện tích: 80 KT: 5x16mHướng: Bắc

, Xã Tuy Phước, Gia Lai

, Thị trấn Diêu Trì, Huyện Tuy Phước, Bình Định (cũ)