BÁN LÔ ĐẤT VỊ TRÍ ĐẸP – PHƯỜNG 8, ĐÀ LẠT 📍 Địa chỉ: Khu quy hoạch cư xá Đại học, phường

Thông tin chi tiết

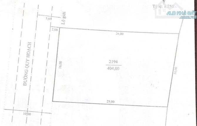
🏡 BÁN LÔ ĐẤT VỊ TRÍ ĐẸP – PHƯỜNG 8, ĐÀ LẠT 📍 Địa chỉ: Khu quy hoạch cư xá Đại học, phường 8, TP. Đà Lạt 📐 Diện tích: 404 m² (vuông vức, đẹp) 📑 Pháp lý: Sổ đỏ, xây dựng tự do 🏙 Mục đích sử dụng: Đất ở tại đô thị – lâu dài 🚗 Đường quy hoạch rộng rãi, khu dân cư yên tĩnh, gần trung tâm 💰 Giá bán: 30 tỷ 📞 Liên hệ: Hải ÂU XEM ĐẤT

Giá: 30 tỷ Diện tích: 404
Địa chỉ tài sản:
Đường Đông Tĩnh, Phường Lâm Viên - Đà Lạt, Lâm Đồng

Đường Đông Tĩnh, Phường 8, Thành phố Đà Lạt, Lâm Đồng

(địa chỉ cũ)

Các thông tin khác

Mã tin17095457Hướng_Phòng ăn---
Loại tinCần bánĐường trước nhà10mNhà bếp---
Loại BDSĐất thổ cư, đất ởPháp lýSổ hồng/ Sổ đỏSân thượng---
Chiều ngang16mSố lầu---Chổ để xe hơi---
Chiều dài26mSố phòng ngủ---Chính chủ---
Hình ảnh

Hình ảnh

BÁN LÔ ĐẤT VỊ TRÍ ĐẸP – PHƯỜNG 8, ĐÀ LẠT  📍 Địa chỉ: Khu quy hoạch cư xá Đại học, phường
  • BÁN LÔ ĐẤT VỊ TRÍ ĐẸP – PHƯỜNG 8, ĐÀ LẠT  📍 Địa chỉ: Khu quy hoạch cư xá Đại học, phường - 0
  • BÁN LÔ ĐẤT VỊ TRÍ ĐẸP – PHƯỜNG 8, ĐÀ LẠT  📍 Địa chỉ: Khu quy hoạch cư xá Đại học, phường - 1
Có thể bạn muốn xem:

Phản ánh tin rao vi phạm

Thông tin phản ánh của Quý khách giúp chúng tôi sàn lọc thông tin tốt hơn và loại trừ các nhà môi giới không trung thực. Xin trân trọng cám ơn.


Tôi không muốn xem tin của người đăng này trong vòng: Tất cả các tin của thành viên này sẽ ẩn đi với bạn trong khoảng thời gian bạn đã chọn.
Mã an toàn:

Bất động sản nổi bật

Cần bán Đất thổ cư, đất ở tại Thành phố Đà Lạt

VỊ TRÍ ĐẸP ĐẮC ĐỊA MẶT TIỀN ĐƯỜNG NHỰA NGÔ HUY DIỄN

VỊ TRÍ ĐẸP ĐẮC ĐỊA MẶT TIỀN ĐƯỜNG NHỰA NGÔ HUY DIỄN • Diện tích: 320,8m2 • Ngang 11,39m2 • Hướng: đông nam • Đất thoáng đẹp, vuông vắn, thế dương. • Vị trí đẹp gần cây xăng, bệnh viện Tỉnh, Công An Tỉnh… • Thíc...... << Xem chi tiết >>

10m
Giá: 32 tỷ Diện tích: 320 Hướng: Đông Nam

Đường Ngô Huy Diễn, Phường Cam Ly - Đà Lạt, Lâm Đồng

Đường Ngô Huy Diễn, Phường Cam Ly - Đà Lạt, Thành phố Đà Lạt, Lâm Đồng (cũ)

ĐẤT MẶT TIỀN AN SƠN. VIEW THÔNG THOÁNG ĐẸP. 1075M2. 250M2 XD. GIÁ 30 TỶ TL

✨🏡✨ Bán Đất Mặt tiền đường An Sơn, Phường 4, Đà Lạt 👉 Diện tích: 1075 m2 (thổ cư 250 m2, đất nông nghiệp 825 m2), ngang 12m 👉 Quy hoạch: Biệt lập, mật độ xây dựng 60%. chiều cao 19m 👉 Pháp lý: Sổ riêng 👉 Hướng: ...... << Xem chi tiết >>

8m
Giá: 30 tỷ Diện tích: 1075 Hướng: Đông Nam

Đường An Sơn, Phường Xuân Hương - Đà Lạt, Lâm Đồng

Đường An Sơn, Phường Xuân Hương - Đà Lạt, Thành phố Đà Lạt, Lâm Đồng (cũ)

💎 Chào Bán |204m2| Đất 2 Mặt Tiền 💎26.5ty💎  KQH Viện Nghiên Cứu Hạt Nhân  – Đà Lạt .

💎 Chào Bán |204m2| Đất 2 Mặt Tiền |26.5ty| Xe Hơi Tận Nơi – Mai Xuân Thưởng – Đà Lạt . - | 204m2 | 14.5 x 17.5| Thực Tế 250m2 𝐇𝐢𝐞̣̂𝐧 𝐝𝐚𝐧𝐠 đ𝐮̛𝐨̛̣𝐜 𝐜𝐡𝐚̀𝐨 𝐛𝐚́𝐧 𝐯𝐨̛́𝐢 𝐠𝐢𝐚́: 💰 26.5 tỷ VNĐ ~ 💰...... << Xem chi tiết >>

10m3 tầng5 phòng ngủ
Giá: 26,5 tỷ Diện tích: 204 KT: 14x17,5m

Đường Hùng Vương, Phường Xuân Trường - Đà Lạt, Lâm Đồng

Đường Hùng Vương, Phường Xuân Trường - Đà Lạt, Thành phố Đà Lạt, Lâm Đồng (cũ)

BÁN ĐẤT MẶT TIỀN ĐẤT LỚN KINH DOANH DU LỊCH CỰC TỐT LÝ NAM ĐẾ ĐÀ LẠT

Bán Đất Hai mặt tiền Sổ riêng Lý Nam Đế, P. 8, Đà Lạt -Đường trước nhà 10m -Diện tích:570 m2 (19m x 27m)(hậu 23m) -100% thổ cư, -Hướng Đông Nam, Đông Tứ Trạch, Tây Bắc, Tây Tứ Trạch. 👉 có view, đường nhựa, nở hậu Q...... << Xem chi tiết >>

12m
Giá: 24,5 tỷ Diện tích: 570 Hướng: Đông Nam

Đường Lý Nam Đế, Phường Lâm Viên - Đà Lạt, Lâm Đồng

Đường Lý Nam Đế, Phường 8, Thành phố Đà Lạt, Lâm Đồng (cũ)

BÁN ĐẤT ĐẸP VIEW THÀNH PHỐ VỀ ĐÊM ĐẸP MẶT TIỀN LÝ NAM ĐẾ ĐÀ LẠT

Bán Đất Hai mặt tiền Sổ riêng Lý Nam Đế, P. 8, Đà Lạt -Đường trước nhà 10m -Diện tích:570 m2 (19m x 27m)(hậu 23m) -100% thổ cư, -Hướng Đông Nam, Đông Tứ Trạch, Tây Bắc, Tây Tứ Trạch. 👉 có view, đường nhựa, nở hậu Q...... << Xem chi tiết >>

12m
Giá: 24,5 tỷ Diện tích: 570 Hướng: Đông Nam

Đường Lý Nam Đế, Phường Lâm Viên - Đà Lạt, Lâm Đồng

Đường Lý Nam Đế, Phường 8, Thành phố Đà Lạt, Lâm Đồng (cũ)