BÁN NỀN MẶT TIỀN QUẢN TRỌNG HOÀNG, CẦN THƠ

Thông tin chi tiết

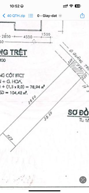
⸻ 🌟 BÁN NỀN MẶT TIỀN ĐẸP – ĐƯỜNG QUẢN TRỌNG HOÀNG, P. HƯNG LỢI, Q. NINH KIỀU, CẦN THƠ 🌟 📍 Vị trí đắc địa – mặt tiền đường lớn, khu dân cư đông đúc, giao thông thuận tiện, thích hợp xây nhà ở, mở văn phòng, kinh doanh đa ngành hoặc đầu tư sinh lời lâu dài. 📐 Diện tích: 7m x 40m = 280m² (full thổ cư – pháp lý rõ ràng) 🧭 Hướng: Đông Bắc – đón nắng sớm, mát mẻ cả ngày 💰 Giá bán: 1x tỷ (mười mấy tỷ – x nhỏ, thương lượng nhẹ cho khách thiện chí) 📞 Liên hệ: LÊ SƠN (Chính chủ gửi)

Giá: 13,5 tỷ Diện tích: 280
Địa chỉ tài sản:
Đường Quản Trọng Hoàng, Phường Tân An, Cần Thơ

Đường Quản Trọng Hoàng, Phường Hưng Lợi, Quận Ninh Kiều, Cần Thơ

(địa chỉ cũ)

Các thông tin khác

Mã tin16817668HướngĐông BắcPhòng ăn---
Loại tinCần bánĐường trước nhà20mNhà bếp---
Loại BDSĐất thổ cư, đất ởPháp lýSổ hồng/ Sổ đỏSân thượng---
Chiều ngang7mSố lầu---Chổ để xe hơi---
Chiều dài40mSố phòng ngủ---Chính chủ---
Hình ảnh

Hình ảnh

BÁN NỀN MẶT TIỀN QUẢN TRỌNG HOÀNG, CẦN THƠ
  • BÁN NỀN MẶT TIỀN QUẢN TRỌNG HOÀNG, CẦN THƠ - 0
  • BÁN NỀN MẶT TIỀN QUẢN TRỌNG HOÀNG, CẦN THƠ - 1
  • BÁN NỀN MẶT TIỀN QUẢN TRỌNG HOÀNG, CẦN THƠ - 2
Có thể bạn muốn xem:

Phản ánh tin rao vi phạm

Thông tin phản ánh của Quý khách giúp chúng tôi sàn lọc thông tin tốt hơn và loại trừ các nhà môi giới không trung thực. Xin trân trọng cám ơn.


Tôi không muốn xem tin của người đăng này trong vòng: Tất cả các tin của thành viên này sẽ ẩn đi với bạn trong khoảng thời gian bạn đã chọn.
Mã an toàn:

Bất động sản nổi bật

Cần bán Đất thổ cư, đất ở tại Quận Ninh Kiều

Cần Bán Nền Góc 2 Mặt Tiền Đẹp Đường Xuân Thuỷ - KDC Hồng Phát Cần Thơ

Bán Nền Góc 2 Mặt Tiền Đường Xuân Thuỷ - KDC Hồng Phát - An Bình - Cần Thơ - Vị trí : góc mặt tiền đường Xuân Thuỷ và đường số 5 KDC Hồng Phát thông Đường Trần Hoàng Na & Hoàng Quốc Việt cực tiềm năng - Diện tích : 9,5...... << Xem chi tiết >>

18m
Giá: 13 tỷ Diện tích: 207 KT: 9,5x23m

Đường Xuân Thủy, Phường An Bình, Cần Thơ

Đường Xuân Thủy, Phường An Bình, Quận Ninh Kiều, Cần Thơ (cũ)

Bán gốc 2 mặt tiền  Xuân Thuỷ khu Hồng Phát , Ninh Kiều , Cần Thơ

✅NẮM CHỦ(13TỶ) THƯƠNG LƯỢNG GIÁ CHỐT TỐT ⭐️ BÁN NỀN GÓC 2 MẶT TIỀN ĐƯỜNG XUÂN THUỶ KDC HỒNG PHÁT , NINH KIỀU , CẦN THƠ ⭐ Vị trí : góc mặt tiền đường Xuân Thuỷ và đường số 5 KDC Hồng Phát ⭐ Diện tích : 9,5m x 23m = 2...... << Xem chi tiết >>

18m
Giá: 13 tỷ Diện tích: 206

Đường Xuân Thủy, Phường An Bình, Cần Thơ

Đường Xuân Thủy, Phường An Bình, Quận Ninh Kiều, Cần Thơ (cũ)

BÁN NỀN MẶT TIỀN NGUYỄN VĂN CỪ ĐỐI DIỆN ĐẠI HỌC TẠI CHỨC

🌾🌾 BÁN NỀN MẶT TIỀN NGUYỄN VĂN CỪ ĐỐI DIỆN ĐẠI HỌC TẠI CHỨC. - DT: 4,1m x 31,5m Nở hậu 7,1m = 134.3m2 - Đất thổ cư 100% - Hướng Tây Bắc . - vị trí thuận lợi kinh doanh mua bán, nhà hàng, khách sạn, Quán ăn, sho...... << Xem chi tiết >>

12m
Giá: 13,8 tỷ Diện tích: 134 KT: 4,1x34mHướng: Tây Bắc

Đường Nguyễn Văn Cừ, Phường Cái Khế, Cần Thơ

Đường Nguyễn Văn Cừ, Phường An Hòa, Quận Ninh Kiều, Cần Thơ (cũ)

Bán Cặp Nền Đường Số 12 Cồn Khương, P.Cái Khế, Q.Ninh Kiều, Tp Cần Thơ

Bán Cặp Nền Đường Số 12 Cồn Khương, P.Cái Khế, Q.Ninh Kiều, Tp Cần Thơ - DT: 14x 22 (2 giấy) - Pháp lí: 100% ODT - Hướng: Tây Bắc - Lộ Giới: 19m - Giá bán : 12,2 tỷ / cặp - Liên hệ : gặp Mr Phúc...... << Xem chi tiết >>

12m
Giá: 12,2 tỷ Diện tích: 308 Hướng: Tây Bắc

Đường số 12, Phường Cái Khế, Cần Thơ

Đường số 12, Phường Cái Khế, Quận Ninh Kiều, Cần Thơ (cũ)

Bán đất hẻm 9 trần nam phú cần thơ, 400m2, full thổ cư, đang có 22 phòng trọ

BÁN ĐẤT HẺM 9 TRẦN NAM PHÚ, 400M2, FULL THỔ CƯ, ĐANG CÓ 22 PHÒNG TRỌ - Diện tích đất: 10,24m x 40m = 400m² - Hiện trạng: Đất thổ cư, trên đất có 22 phòng trọ đang khai thác, cho thuê kín phòng, thu nhập ổn định hàng th...... << Xem chi tiết >>

8m1 tầng22 phòng ngủ
Giá: 13 tỷ Diện tích: 400 KT: 10,24x40m

Đường Trần Nam Phú, Phường Tân An, Cần Thơ

Đường Trần Nam Phú, Phường An Khánh, Quận Ninh Kiều, Cần Thơ (cũ)