Bán nhà cũ hẻm 350 Lê Đức Thọ, P6, Gò Vấp. 4.4x12m, CN 50m

Thông tin chi tiết

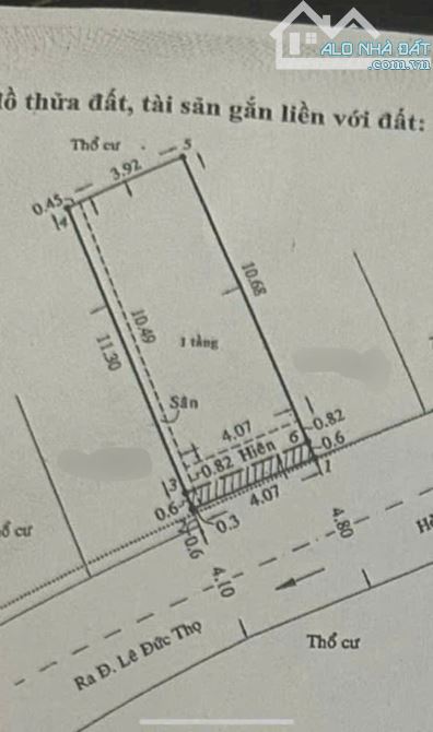
Bán nhà cũ hẻm 350 Lê Đức Thọ - P6- Gò Vấp. Xe hơi đậu cửa 👉 Hiện trạng cấp 4 cũ, TIỆN XÂY MỚI, đang cho thuê 5tr /tháng 👉Tặng gpxd: Trệt- lửng- 2 lầu- sân thượng sẵn xây luôn 👉 DT: 4.4m ❌ 12m, CN 50m. 💰💰Giá chính chủ chỉ 6tỷ 200 còn thương lượng khách thiện chí 📕Pháp lý : Sổ hồng riêng công chứng ngay ☎️Chi tiết liên hệ em Anh Thư xem nhà

Giá: 6,2 tỷ Diện tích: 53
Địa chỉ tài sản:
Đường Lê Đức Thọ, Phường An Nhơn, Hồ Chí Minh

Đường Lê Đức Thọ, Phường 6, Quận Gò Vấp, Hồ Chí Minh

(địa chỉ cũ)

Các thông tin khác

Mã tin17435026Hướng_Phòng ăncheck
Loại tinCần bánĐường trước nhà5mNhà bếpcheck
Loại BDSNhà trong hẻmPháp lýSổ hồng/ Sổ đỏSân thượngcheck
Chiều ngang4,4mSố lầu2Chổ để xe hơicheck
Chiều dài12mSố phòng ngủ3Chính chủ---
Hình ảnh

Hình ảnh

Bán nhà cũ hẻm 350 Lê Đức Thọ, P6, Gò Vấp. 4.4x12m, CN 50m
  • Bán nhà cũ hẻm 350 Lê Đức Thọ, P6, Gò Vấp. 4.4x12m, CN 50m - 0
  • Bán nhà cũ hẻm 350 Lê Đức Thọ, P6, Gò Vấp. 4.4x12m, CN 50m - 1
  • Bán nhà cũ hẻm 350 Lê Đức Thọ, P6, Gò Vấp. 4.4x12m, CN 50m - 2
Có thể bạn muốn xem: Bán nhà Phường 6

Phản ánh tin rao vi phạm

Thông tin phản ánh của Quý khách giúp chúng tôi sàn lọc thông tin tốt hơn và loại trừ các nhà môi giới không trung thực. Xin trân trọng cám ơn.


Tôi không muốn xem tin của người đăng này trong vòng: Tất cả các tin của thành viên này sẽ ẩn đi với bạn trong khoảng thời gian bạn đã chọn.
Mã an toàn:

Bất động sản nổi bật

Cần bán Nhà trong hẻm tại Quận Gò Vấp

NGAY TRỤC THỐNG NHẤT -  3 TẦNG - NGANG 5.1M - DÀI 12,5 -  HẺM XE HƠI NGỦ TRONG NHÀ - 6 PHÒ

Vị trí rất đẹp, hẻm nhựa rộng rãi, xe hơi có thể ngủ trong nhà. Khu dân trí cao, an ninh, yên tĩnh, gần trường học các cấp và đầy đủ tiện ích xung quanh. ✅ Kết cấu: Nhà được xây dựng kiên cố 3 tầng (1 trệt, 2 lầu), đúc ...... << Xem chi tiết >>

5m3 tầng6 phòng ngủChỗ để xe
Giá: 6,6 tỷ Diện tích: 77 KT: 5,1x15m

Đường Số 2, Phường An Hội Đông, Hồ Chí Minh

Đường Số 2, Phường 16, Quận Gò Vấp, Hồ Chí Minh (cũ)

Cần bán nhà đẹp 3 tầng, hẻm xe hơi Phạm Văn Chiêu, Gò Vấp, tặng toàn bộ nội thất, giá chỉ

NHÀ ĐẸP - HẺM XE HƠI PHẠM VĂN CHIÊU - GÒ VẤP- 3 TẦNG BTCT - TẶNG TOÀN BỘ NỘI THẤT - GIÁ CHỈ 5.4 TỶ Mô tả: + Diện tích: 4 × 7.6m + Kết cấu 1 trệt 2 lầu, 4 phòng 3wc, có ban công + Hẻm xe hơi thông + Nhà mới đẹp ở nga...... << Xem chi tiết >>

5m3 tầng4 phòng ngủChỗ để xe
Giá: 5,4 tỷ Diện tích: 34 KT: 4x8m

Đường Phạm Văn Chiêu, Phường An Hội Tây, Hồ Chí Minh

Đường Phạm Văn Chiêu, Phường 13, Quận Gò Vấp, Hồ Chí Minh (cũ)

Bán nhà xây mới 100% hẻm xe hơi 4,5m đường số 44, P.14, 4 x 13, 4 tầng giá 6.85 tỷ tl

Bán nhà xây mới 100% hẻm xe hơi 4,5m đường số 44 (Phan Huy Ích), P.14, Q.Gò Vấp. + Diện tích: 4 x 13 (sổ hồng riêng hoàn công đầy đủ, hỗ trợ vay ngân hàng) + Kết cấu: Nhà 1 trệt, 3 lầu, sân thượng trước sau, xây mớ...... << Xem chi tiết >>

4,5m4 tầng4 phòng ngủChỗ để xe
Giá: 6,85 tỷ Diện tích: 52 KT: 4x13m

Đường Số 44, Phường An Hội Tây, Hồ Chí Minh

Đường Số 44, Phường 14, Quận Gò Vấp, Hồ Chí Minh (cũ)

ĐƯỜNG SỐ 3, GV - 3.7X18M (NỞ HẬU 72M2) - 2 LẦU 5 PN - CHỈ 5.8 TỶ

✅ Vị trí đẹp, cách mặt tiền đường số 3 chỉ 100m, hẻm hơn 3m thông thoáng, an ninh. ✅ Tiện ích bao quanh, chỉ vài bước chân ra chợ, siêu thị BHX. ✅ Gần trường học các cấp, khu ẩm thực Cây Trâm sầm uất. ✅ Thuận tiện di ...... << Xem chi tiết >>

3m2 tầng5 phòng ngủ
Giá: 5,8 tỷ Diện tích: 72 KT: 3,7x18m

Đường Số 3, Phường Thông Tây Hội, Hồ Chí Minh

Đường Số 3, Phường 9, Quận Gò Vấp, Hồ Chí Minh (cũ)

gò vấp: nhà ngõ lê đức thọ 60m2, 1 trệt, sổ hồng, giá hời chỉ 6 tỷ

Cần bán gấp nhà hẽm đường Lê Đức Thọ, Phường 6, Quận Gò Vấp, TP Hồ Chí Minh. Đây là vị trí ĐẮC ĐỊA ngay trung tâm Gò Vấp, đi đâu cũng tiện. - Ngôi nhà có diện tích RỘNG RÃI, ngang 4 mét dài 15 mét, tổng 60 mét vuông. ...... << Xem chi tiết >>

6m1 tầng1 phòng ngủChỗ để xe
Giá: 6 tỷ Diện tích: 60 KT: 4x15m

Đường Lê Đức Thọ, Phường An Nhơn, Hồ Chí Minh

Đường Lê Đức Thọ, Phường 6, Quận Gò Vấp, Hồ Chí Minh (cũ)