Bán Nhà Hẻm Xe Hơi 372/52 + 372/52A Điện Biên Phủ P. 17, Q. Bình Thạnh

Thông tin chi tiết

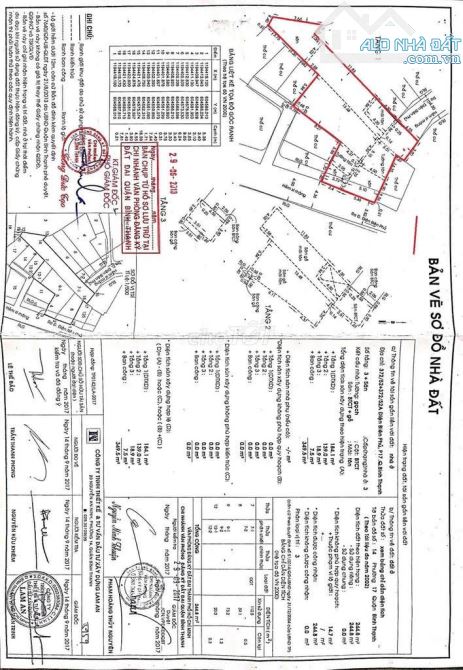
Bán Nhà Hẻm Xe Hơi 372/52 + 372/52A Điện Biên Phủ P. 17, Q. Bình Thạnh Diện tích: 214,3m (9m × 11m) Kết cấu: C4 Pháp lý: Sổ hồng chính chủ, hoàn công đầy đủ. Giá: 19 Tỷ Liên hệ:Gia Bảo

Giá: 19 tỷ Diện tích: 219
Địa chỉ tài sản:
Đường Điện Biên Phủ, Phường Gia Định, Hồ Chí Minh

Đường Điện Biên Phủ, Phường 17, Quận Bình Thạnh, Hồ Chí Minh

(địa chỉ cũ)

Các thông tin khác

Mã tin17109185Hướng_Phòng ăncheck
Loại tinCần bánĐường trước nhà12mNhà bếpcheck
Loại BDSNhà trong hẻmPháp lýSổ hồng/ Sổ đỏSân thượngcheck
Chiều ngang9mSố lầu1Chổ để xe hơicheck
Chiều dài11mSố phòng ngủ1Chính chủ---
Hình ảnh

Hình ảnh

Bán Nhà Hẻm Xe Hơi 372/52 + 372/52A Điện Biên Phủ P. 17, Q. Bình Thạnh
  • Bán Nhà Hẻm Xe Hơi 372/52 + 372/52A Điện Biên Phủ P. 17, Q. Bình Thạnh - 0
  • Bán Nhà Hẻm Xe Hơi 372/52 + 372/52A Điện Biên Phủ P. 17, Q. Bình Thạnh - 1
  • Bán Nhà Hẻm Xe Hơi 372/52 + 372/52A Điện Biên Phủ P. 17, Q. Bình Thạnh - 2
Có thể bạn muốn xem: Bán nhà Phường 17

Phản ánh tin rao vi phạm

Thông tin phản ánh của Quý khách giúp chúng tôi sàn lọc thông tin tốt hơn và loại trừ các nhà môi giới không trung thực. Xin trân trọng cám ơn.


Tôi không muốn xem tin của người đăng này trong vòng: Tất cả các tin của thành viên này sẽ ẩn đi với bạn trong khoảng thời gian bạn đã chọn.
Mã an toàn:

Bất động sản nổi bật

Cần bán Nhà trong hẻm tại Quận Bình Thạnh

Bán nhà HXH Hoàng Hoa Thám P6 Q.BT 110m2 Ngang 6m Giá chỉ 17.5 Tỷ

Bán nhà HXH Hoàng Hoa Thám P6 Q.BT 110m2 Ngang 6m Giá chỉ 17.5 Tỷ - Diện tích: 6x16 - Hiện trạng: 1 Trệt 2 Lầu ST - Vị trí: Trung tâm Q.BT vị trí đắc địa tuyến đường thương hiệu thuận tiện di chuyển liên quận chỉ vài...... << Xem chi tiết >>

5m3 tầng5 phòng ngủ
Giá: 17,5 tỷ Diện tích: 110 KT: 6x18m

Đường Hoàng Hoa Thám, Phường Bình Lợi Trung, Hồ Chí Minh

Đường Hoàng Hoa Thám, Phường 6, Quận Bình Thạnh, Hồ Chí Minh (cũ)

Bán nhà Bình Thạnh - 92m2 - 5 tầng - thiết kế hiện đại - đường 10m - 19.9 tỷ

💎 Nhà thiết kế 5 tầng kiên cố có 4PN Master 5WC sân thượng trước sau. 💎 Nhà 2 mặt tiền nên chủ ngăn cho thuê 1 Kiosk 10tr/tháng tiền chợ. 💎 Vị trí miễn bàn, xung quanh đối diện là quán cà phê kinh doanh sầm uất 💎...... << Xem chi tiết >>

10m5 tầng4 phòng ngủChỗ để xe
Giá: 19,9 tỷ Diện tích: 92 KT: 4,3x21,5m

Đường Xô Viết Nghệ Tĩnh, Phường Thạnh Mỹ Tây, Hồ Chí Minh

Đường Xô Viết Nghệ Tĩnh, Phường 25, Quận Bình Thạnh, Hồ Chí Minh (cũ)

Bán nhà Bình Thạnh - 4 tầng kinh doanh - 78m2 - Khu phân lô trải nhựa xe tải tránh

🦅 Nhà kết cấu 4 tầng BTCT + mái BTCT, 4PN , 5WC, 1 Phòng Khách, Bếp, Phòng Thờ, Phòng giặt, sân thượng sân phơi trước sau + sân thượng trên mái. Nhà có giếng trời giữa và sau nhà, phòng nào cũng có ban công/ cửa sổ cực ...... << Xem chi tiết >>

7m4 tầng4 phòng ngủChỗ để xe
Giá: 17,8 tỷ Diện tích: 78 KT: 4,3x18m

Đường Xô Viết Nghệ Tĩnh, Phường Thạnh Mỹ Tây, Hồ Chí Minh

Đường Xô Viết Nghệ Tĩnh, Phường 25, Quận Bình Thạnh, Hồ Chí Minh (cũ)

HẺM XE TẢI 10M – NGUYỄN VĂN THƯƠNG, D1, P.25, BÌNH THẠNH  • Dt: 5,8m x 20m .Gần ĐH HUTECH

🍀HẺM XE TẢI 10M – NGUYỄN VĂN THƯƠNG, D1, P.25, BÌNH THẠNH • Diện tích: 5,8m x 20m (116m² công nhận) • Kết cấu: 1 trệt, 1 lửng, 3 lầu, mái che (nhà mới, thiết kế hiện đại) • Công năng: Thích hợp cải tạo, xây mới là...... << Xem chi tiết >>

8m6 tầng12 phòng ngủChỗ để xe
Giá: 18,2 tỷ Diện tích: 116 KT: 5,6x20m

Đường Nguyễn Văn Thương, Phường Thạnh Mỹ Tây, Hồ Chí Minh

Đường Nguyễn Văn Thương, Phường 25, Quận Bình Thạnh, Hồ Chí Minh (cũ)

Bán nhà Bình Thạnh - 110m² nở hậu - 5 tầng - Hẻm 5m ô tô -19.5 tỷ

+ Diện tích: công nhận đủ 110m2 (4.5x22 nở hậu đẹp 7.5m). + Kết cấu: Trệt, lửng, 2 lầu, sân thượng - 5 tầng hoàn công đầy đủ. + Kết kế: 8PN, 8 vệ sinh, mặt bằng kinh doanh. + Hiện đang cho thuê làm phòng khám, hđ thuê...... << Xem chi tiết >>

5m5 tầng8 phòng ngủChỗ để xe
Giá: 19,5 tỷ Diện tích: 110 KT: 7,5x22m

Đường Nơ Trang Long, Phường Gia Định, Hồ Chí Minh

Đường Nơ Trang Long, Phường 7, Quận Bình Thạnh, Hồ Chí Minh (cũ)