Bờ Sông ,Tân Tạo A, Bình Tân, DT 8 × 11, Cấp 4 2PN. Giá 3,95 tỷ TL.

Thông tin chi tiết

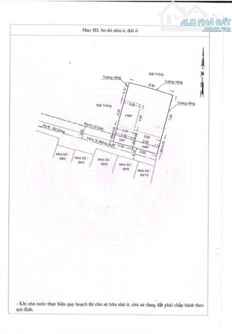
Bờ Sông ,Tân Tạo A, Bình Tân, DT 8 × 11, Cấp 4 2PN. Giá 3,95 tỷ TL. + Kết cấu: C4, Nhà gồm 2PN, pk, bếp, Sân để xe.fj.g + Đang cho thuê 7tr/tháng, + Vị trí gần mặt tiền đường, tiện ích gần Chợ, Trường học, khu dân cư an ninh, yên tĩnh. + Hẻm thông đường Bờ Tuyến qua Trần Thanh Mại, Tỉnh Lộ 10, khu Tên Lửa, Aeon mall Bình Tân.+ Sổ hồng riêng, pháp lý chuẩn, hoàn công đủ. #NHUNG9329DC*

Giá: 3,95 tỷ Diện tích: 94
Địa chỉ tài sản:
Đường Bờ Tuyến, Phường Tân Tạo, Hồ Chí Minh

Đường Bờ Tuyến, Phường Tân Tạo A, Quận Bình Tân, Hồ Chí Minh

(địa chỉ cũ)

Các thông tin khác

Mã tin16958689Hướng_Phòng ăncheck
Loại tinCần bánĐường trước nhà3mNhà bếpcheck
Loại BDSNhà trong hẻmPháp lýSổ hồng/ Sổ đỏSân thượng---
Chiều ngang8mSố lầu1Chổ để xe hơi---
Chiều dài11mSố phòng ngủ2Chính chủ---
Hình ảnh

Hình ảnh

Bờ Sông ,Tân Tạo A, Bình Tân,  DT 8 × 11, Cấp 4 2PN. Giá 3,95 tỷ TL.
  • Bờ Sông ,Tân Tạo A, Bình Tân,  DT 8 × 11, Cấp 4 2PN. Giá 3,95 tỷ TL. - 0
  • Bờ Sông ,Tân Tạo A, Bình Tân,  DT 8 × 11, Cấp 4 2PN. Giá 3,95 tỷ TL. - 1
  • Bờ Sông ,Tân Tạo A, Bình Tân,  DT 8 × 11, Cấp 4 2PN. Giá 3,95 tỷ TL. - 2
  • Bờ Sông ,Tân Tạo A, Bình Tân,  DT 8 × 11, Cấp 4 2PN. Giá 3,95 tỷ TL. - 3
  • Bờ Sông ,Tân Tạo A, Bình Tân,  DT 8 × 11, Cấp 4 2PN. Giá 3,95 tỷ TL. - 4
  • Bờ Sông ,Tân Tạo A, Bình Tân,  DT 8 × 11, Cấp 4 2PN. Giá 3,95 tỷ TL. - 5
  • Bờ Sông ,Tân Tạo A, Bình Tân,  DT 8 × 11, Cấp 4 2PN. Giá 3,95 tỷ TL. - 6
  • Bờ Sông ,Tân Tạo A, Bình Tân,  DT 8 × 11, Cấp 4 2PN. Giá 3,95 tỷ TL. - 7
  • Bờ Sông ,Tân Tạo A, Bình Tân,  DT 8 × 11, Cấp 4 2PN. Giá 3,95 tỷ TL. - 8
Có thể bạn muốn xem: Bán nhà Tân Tạo A

Phản ánh tin rao vi phạm

Thông tin phản ánh của Quý khách giúp chúng tôi sàn lọc thông tin tốt hơn và loại trừ các nhà môi giới không trung thực. Xin trân trọng cám ơn.


Tôi không muốn xem tin của người đăng này trong vòng: Tất cả các tin của thành viên này sẽ ẩn đi với bạn trong khoảng thời gian bạn đã chọn.
Mã an toàn:

Bất động sản nổi bật

Cần bán Nhà trong hẻm tại Quận Bình Tân

NHÀ GIÁ RẺ GIÁP TÂN PHÚ – CÁCH AEON MALL CHỈ 3 PHÚT – 3.4 TỶ CÓ NHÀ Ở NGAY!

NHÀ GIÁ RẺ GIÁP TÂN PHÚ – CÁCH AEON MALL CHỈ 3 PHÚT – 3.4 TỶ CÓ NHÀ Ở NGAY! Diện tích 4x13m, 3 phòng ngủ, đường trước nhà 3m, xe máy tránh thoải mái. Chỉ 50m ra đường xe tải lớn, giao thông thuận tiện, hạ tầng hoàn...... << Xem chi tiết >>

3m2 tầng3 phòng ngủ
Giá: 3,4 tỷ Diện tích: 53 KT: 4x13m

Đường Số 9, Phường Bình Hưng Hòa, Hồ Chí Minh

Đường Số 9, Phường Bình Hưng Hòa, Quận Bình Tân, Hồ Chí Minh (cũ)

BÁN NHÀ MỚI ĐẸP BÌNH TÂN  - TẶNG FULL NỘI THẤT - NGAY TỈNH LỘ 10 - 36M2 - 2 TẦNG - 4,2 TỶ

- Nhà mới đẹp 100% tặng full nội thất đẹp. - Diện tích : 36m (3x12m), 2 tầng BTCT,2PN - Nhà có cửa sau thoáng mát.. - Hẻm kinh doanh xe tải vi vu thông tư tung, cạnh chợ Phú Lâm, sát bên Quận 6, tiện ích xung quanh đ...... << Xem chi tiết >>

8m2 tầng2 phòng ngủ
Giá: 4,2 tỷ Diện tích: 36 KT: 3x12m

Tỉnh lộ 10, Phường An Lạc, Hồ Chí Minh

Tỉnh lộ 10, Phường An Lạc, Quận Bình Tân, Hồ Chí Minh (cũ)

Chính chủ chào bán nhà 65m2 2 tầng 3 tỷ 990

💫 Bán nhà mới xây Hồ Học Lãm đoạn gần nút giao Võ Văn Kiệt Bình Tân . Giá 3đ990 ✓ Diện tích : 5*13m . 2 mặt hẽm trước sau 4m . Kết cấu 2 tầng gồm 3 phòng ngủ ✓ Vị trí đẹp giá tốt nhất khu vực . Sổ hồng riêng , hoàn c...... << Xem chi tiết >>

4m2 tầng2 phòng ngủ
Giá: 3,99 tỷ Diện tích: 65 KT: 5x13mHướng: Bắc

Đường Hồ Học Lãm, Phường An Lạc, Hồ Chí Minh

Đường Hồ Học Lãm, Phường An Lạc, Quận Bình Tân, Hồ Chí Minh (cũ)

NHÀ MỚI 2 TẦNG – ĐÌNH NGHI XUÂN – GẦN NGÃ TƯ BỐN XÃ  - CHỈ 4,35 TỶ

NHÀ MỚI 2 TẦNG – ĐÌNH NGHI XUÂN – GẦN NGÃ TƯ BỐN XÃ 💥 🏠 Diện tích: 4 x 9.5m (38m²) 🔹 Kết cấu: 1 trệt, 1 lầu, 2PN, 2WC, ban công rộng. ✨ Nhà mới đẹp, thiết kế hiện đại – xách vali vào ở ngay. 🚗 Hẻm 5m xe hơi, khu ...... << Xem chi tiết >>

5m2 tầng2 phòng ngủ
Giá: 4,35 tỷ Diện tích: 38

Đường Đình Nghi Xuân, Phường Bình Trị Đông, Hồ Chí Minh

Đường Đình Nghi Xuân, Phường Bình Trị Đông, Quận Bình Tân, Hồ Chí Minh (cũ)

Bán nhà hẻm xe tải Tỉnh Lộ 10, nhà mới đẹp tặng full nội thất , chỉ nhỉnh 4 tỷ

Bán nhà hẻm xe tải 8m thông Tỉnh Lộ 10, phường An LẠc, quận Bình Tân. DT: 36m² (3m x 12m, vuông vức). Kết cấu: 1 trệt, 1 lầu BTCT kiên cố – gồm 2 phòng ngủ, 2WC. Giá chỉ: 4,2 tỷ thương lượng trực tiếp chủ. Nhà mới ...... << Xem chi tiết >>

8m2 tầng2 phòng ngủ
Giá: 4,2 tỷ Diện tích: 36 KT: 3x12m

Tỉnh lộ 10, Phường An Lạc, Hồ Chí Minh

Tỉnh lộ 10, Phường An Lạc, Quận Bình Tân, Hồ Chí Minh (cũ)