Cần bán lô đất khu An Sơn p4 thành phố Đà Lạt

Thông tin chi tiết

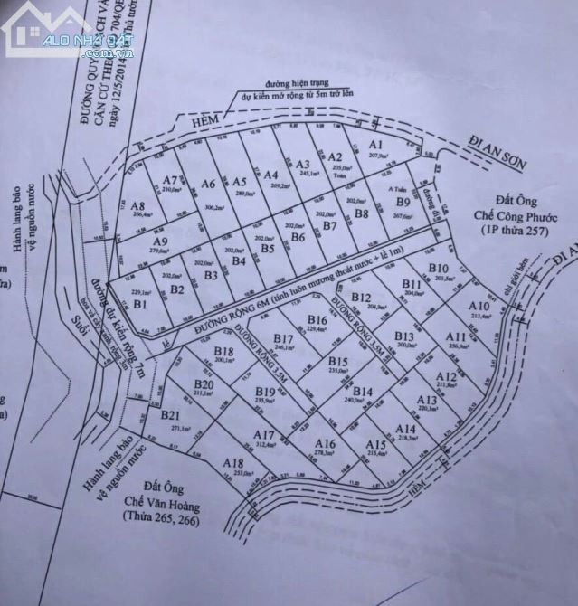
Cần bán lô đất khu bàn tay Phật An Sơn phường 4 thành phố Đà Lạt bao đẹp Diện tích 260m Ngan 10.5x25 Sổ riêng xây dựng Khu an Sơn bao quanh là rừng thông được quy hoạch bài bản đi sau nên kiến trúc xây dựng ở đây rất bài bản các biệt thự rất đẹp tạo nên khu dân cư sang trọng đáng sống quy khách cần liên hệ em xem đất ạ

Giá: 12 tỷ Diện tích: 260
Địa chỉ tài sản:
Đường An Sơn, Phường Xuân Hương - Đà Lạt, Lâm Đồng

Đường An Sơn, Phường 4, Thành phố Đà Lạt, Lâm Đồng

(địa chỉ cũ)

Các thông tin khác

Mã tin12409048Hướng_Phòng ăn---
Loại tinCần bánĐường trước nhà8mNhà bếp---
Loại BDSĐất nền, liền kề, đất dự ánPháp lýSổ hồng/ Sổ đỏSân thượng---
Chiều ngang10,5mSố lầu---Chổ để xe hơi---
Chiều dài25mSố phòng ngủ---Chính chủ---
Hình ảnh

Hình ảnh

Cần bán lô đất khu An Sơn p4  thành phố Đà Lạt
  • Cần bán lô đất khu An Sơn p4  thành phố Đà Lạt - 0
  • Cần bán lô đất khu An Sơn p4  thành phố Đà Lạt - 1
  • Cần bán lô đất khu An Sơn p4  thành phố Đà Lạt - 2
  • Cần bán lô đất khu An Sơn p4  thành phố Đà Lạt - 3
Có thể bạn muốn xem:

Phản ánh tin rao vi phạm

Thông tin phản ánh của Quý khách giúp chúng tôi sàn lọc thông tin tốt hơn và loại trừ các nhà môi giới không trung thực. Xin trân trọng cám ơn.


Tôi không muốn xem tin của người đăng này trong vòng: Tất cả các tin của thành viên này sẽ ẩn đi với bạn trong khoảng thời gian bạn đã chọn.
Mã an toàn:

Bất động sản nổi bật

Cần bán Đất nền, liền kề, đất dự án tại Thành phố Đà Lạt

🌿 BÁN ĐẤT GIÁ TỐT – KQH PHẠM HỒNG THÁI, P. XUÂN HƯƠNG (P10 cũ), ĐÀ LẠT 🌿

🌿 BÁN ĐẤT GIÁ TỐT – KQH PHẠM HỒNG THÁI, P. XUÂN HƯƠNG (P10 cũ), ĐÀ LẠT 🌿 ✨ Diện tích: 87,75 m² (ngang 4,5m × dài 19,5m) ✨ Hướng: Đông Nam ✨ Giá bán: 9,7 tỷ – thương lượng trực tiếp 📜 Pháp lý: Sổ đỏ đất xây dựng ch...... << Xem chi tiết >>

10m
Giá: 9,7 tỷ Diện tích: 88 KT: 4,5x19,5mHướng: Đông Nam

Đường Phạm Hồng Thái, Phường Xuân Hương - Đà Lạt, Lâm Đồng

Đường Phạm Hồng Thái, Phường 10, Thành phố Đà Lạt, Lâm Đồng (cũ)

Bán gấp đất KQH Nguyên Tử Lực P8 Đà Lạt giá 13,6 tỷ

BÁN ĐẤT KQH Trần Anh Tông – Nguyên Tử Lực p8 Đà Lạt - Diện tích đất: 200m.Ngang 10m - Hướng: Tây Bắc - Pháp lý: Sổ riêng đất xây dựng - Lộ giới: đường nhựa 8m Khu dân cư đông, đầy đủ tiện ích xung quanh Thích hợp ...... << Xem chi tiết >>

8mChỗ để xe
Giá: 13,6 tỷ Diện tích: 200

Đường Nguyên Tử Lực, Phường Lâm Viên - Đà Lạt, Lâm Đồng

Đường Nguyên Tử Lực, Phường 8, Thành phố Đà Lạt, Lâm Đồng (cũ)

BÁN LÔ ĐẤT HIẾM- MẶT TIỀN KQH HƠN 90M² - VỊ TRÍ ĐẮC ĐỊA- CÁCH HXH 1KM

🏡 ĐẤT MẶT TIỀN KQH – PHẠM HỒNG THÁI – SỔ RIÊNG – VỊ TRÍ ĐẮC ĐỊA 🏡 📐 Diện tích: 90,5m², ngang 4,5m 📜 Pháp lý: Sổ riêng, công chứng sang tên ngay 📍 Quy hoạch: Liên kế sân vườn 🔥 Ưu điểm nổi bật: ✔️ Mặt tiền KQ...... << Xem chi tiết >>

10m
Giá: 12,5 tỷ Diện tích: 91 KT: 4,5x20,1m

Đường Phạm Hồng Thái, Phường Xuân Hương - Đà Lạt, Lâm Đồng

Đường Phạm Hồng Thái, Phường 10, Thành phố Đà Lạt, Lâm Đồng (cũ)

Bán lô mặt tiền An Sơn Đà Lạt  – 99.4m² – 10 tỷ - 5PN

🏡 Lô mặt tiền An Sơn – 99.4m² – 10 tỷ ✨   👉 Diện tích: 99.4m² (ngang 5m, dài 20m)   👉 Quy hoạch: Nhà phố – pháp lý sổ hồng riêng   👉 Hướng: Đông Bắc – Tây tứ trạch   ✔️ Vị trí mặt tiền đường An Sơn – tuyến đườn...... << Xem chi tiết >>

10mChỗ để xe
Giá: 10 tỷ Diện tích: 99 KT: 5x20m

Đường An Sơn, Phường Xuân Hương - Đà Lạt, Lâm Đồng

Đường An Sơn, Phường 4, Thành phố Đà Lạt, Lâm Đồng (cũ)

Đà Lạt - Đất liên kế - Phù Đổng Thiên Vương - 228m2 - 14 tỷ

- Bán đất tặng nhà trọ vừa ở vừa cho thuê, - Đường hẻm nhựa 4m - quy hoạch 8m thông hành - cách đường chính 150m - Diện tích: 228.72m², ngang 10.58, dài 22.6 mét, ngang hậu 10.7 - Kết cấu: Có sẵn nhà 1 trệt,1 lầu - Q...... << Xem chi tiết >>

8m3 tầng12 phòng ngủ
Giá: 14 tỷ Diện tích: 228 KT: 10,58x22,6mHướng: Đông

Đường Phù Đổng Thiên Vương, Phường Lâm Viên - Đà Lạt, Lâm Đồng

Đường Phù Đổng Thiên Vương, Phường 8, Thành phố Đà Lạt, Lâm Đồng (cũ)