Cần bán miếng đất ngay mặt tiền đt 753 giá 5xx Đất ở Tân Lợi, Đồng Phú, đường tỉnh 753 mặt

Thông tin chi tiết

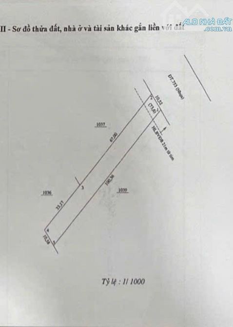
Cần bán miếng đất ngay mặt tiền đt 753 giá 5xx Đất ở Tân Lợi, Đồng Phú, đường tỉnh 753 mặt tiền đường nhựa mở rộng 42m DT 10x100 giá 500tr Phù hợp làm kinh doanh và buôn bán, xây trọ sát bên kcn Vsip Pháp lý sổ tươi chính chủ có hỗ trợ vay ngân hàng 50%

Giá: 500 triệu Diện tích: 1.000
Địa chỉ tài sản:
Đường ĐT753, Xã Tân Lợi, Đồng Nai

Đường ĐT753, Xã Tân Lợi, Huyện Đồng Phú, Bình Phước

(địa chỉ cũ)

Các thông tin khác

Mã tin16256887Hướng_Phòng ăn---
Loại tinCần bánĐường trước nhà42mNhà bếp---
Loại BDSĐất thổ cư, đất ởPháp lýSổ hồng/ Sổ đỏSân thượng---
Chiều ngang10mSố lầu---Chổ để xe hơi---
Chiều dài100mSố phòng ngủ---Chính chủ---
Hình ảnh

Hình ảnh

Cần bán miếng đất ngay mặt tiền đt 753 giá 5xx Đất ở Tân Lợi, Đồng Phú, đường tỉnh 753 mặt
  • Cần bán miếng đất ngay mặt tiền đt 753 giá 5xx Đất ở Tân Lợi, Đồng Phú, đường tỉnh 753 mặt - 0
  • Cần bán miếng đất ngay mặt tiền đt 753 giá 5xx Đất ở Tân Lợi, Đồng Phú, đường tỉnh 753 mặt - 1
Có thể bạn muốn xem:

Phản ánh tin rao vi phạm

Thông tin phản ánh của Quý khách giúp chúng tôi sàn lọc thông tin tốt hơn và loại trừ các nhà môi giới không trung thực. Xin trân trọng cám ơn.


Tôi không muốn xem tin của người đăng này trong vòng: Tất cả các tin của thành viên này sẽ ẩn đi với bạn trong khoảng thời gian bạn đã chọn.
Mã an toàn:

Cần bán Đất thổ cư, đất ở tại Huyện Đồng Phú

Đất xuyên tâm 600m2 - 100 thổ cư, mặt tiền đường 32m không trừ lộ giới bao sổ 420 tr

Đất xuyên tâm 600m2 - 100 thổ cư, mặt tiền đường 32m không trừ lộ giới bao sổ 420 tr Đất cách Cụm Công nghiệp lớn chỉ 900 mét thích hợp kinh doanh xây trọ. xung quanh đông đúc đường lớn Liên hệ chính chủ ngay nhé giá...... << Xem chi tiết >>

32m
Giá: 420 triệu Diện tích: 600 KT: 8x75m

, Xã Đồng Phú, Đồng Nai

, Xã Tân Tiến, Huyện Đồng Phú, Bình Phước (cũ)

Bán lô đất đường nhựa 8x50m Gần QL.14

Chủ cần tiền bán lô đất mặt tiền Đường nhựa 32m Đồng Tiến, ngay ql14 đi vào chút xíu Diện tích: 8x50m có sẵn 100m2 thổ cư Mặt tiền đường nhựa trục chính 32m, khu dân cư đông đúc Vị trí từ đất về tới T.P Đồng Xoài ch...... << Xem chi tiết >>

32m
Giá: 580 triệu Diện tích: 400 KT: 8x50m

, Xã Đồng Tâm, Đồng Nai

, Xã Đồng Tiến, Huyện Đồng Phú, Bình Phước (cũ)

Bán gấp lô đất 6x45m có 100m2 thổ cư tại Tân Hưng

Chủ cần tiền bán gấp lô đất ngay Tân Hưng, Đồng Phú Diện tích: 6x45m có sẵn 100m2 thổ cư Mặt tiền đường nhựa 29m khu dân cư đông đúc Tiện ích đầy đủ xung quanh như: ủy ban, trạm y tế, trường học... Quý khách hà...... << Xem chi tiết >>

29m
Giá: 480 triệu Diện tích: 270 KT: 6x45m

, Xã Tân Lợi, Đồng Nai

, Xã Tân Hưng, Huyện Đồng Phú, Bình Phước (cũ)

Cần bán gấp đất thổ cư mặt tiền đường Xuyên Tâm 32m chỉ 250 triệu công chứng ngay

CƠ HỘI ĐẦU TƯ SINH LỜI CAO – ĐẤT MẶT TIỀN XUYÊN TÂM 32M 🚀 📍 Vị trí: mặt tiền đường Xuyên Tâm 32m – tuyến đường huyết mạch đang hoàn thiện, kết nối trực tiếp các trục tuyến 1,2,3,4,quốc lô 14 , quốc lô 13C 📏Diện tích...... << Xem chi tiết >>

32m
Giá: 500 triệu Diện tích: 200 KT: 5x40m

, Xã Đồng Phú, Đồng Nai

, Xã Tân Tiến, Huyện Đồng Phú, Bình Phước (cũ)