Cần bán nền đất Xuất Nhập Khẩu sổ đỏ, KDC dân trí cao, giá cực tốt.
Thông tin chi tiết
Trường hợp anh chị chưa hài lòng về sản phẩm anh chị để lại lại thông tin hoặc nhắn tin Zalo giúp em, em sẽ hỗ trợ anh chị thêm về các sản phẩm khác, hoặc các dự án lân cận như HAMT, Nam Long, Kiến Á, Bách Khoa, phú Nhuận, Thời Báo Kinh Tế, Đông Dương...




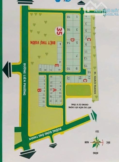
Đường Bưng Ông Thoàn, Phường Phú Hữu, Thành phố Thủ Đức, Hồ Chí Minh
(địa chỉ cũ)Các thông tin khác
Mã tin | 17404834 | Hướng | _ | Phòng ăn | --- |
Loại tin | Cần bán | Đường trước nhà | 12m | Nhà bếp | --- |
Loại BDS | Đất nền, liền kề, đất dự án | Pháp lý | Sổ hồng/ Sổ đỏ | Sân thượng | --- |
Chiều ngang | 10m | Số lầu | --- | Chổ để xe hơi | --- |
Chiều dài | 21m | Số phòng ngủ | --- | Chính chủ | --- |
Thuộc dự án | Khu dân cư Xuất nhập khẩu tổng hợp II (xem chi tiết dự án) |
Phản ánh tin rao vi phạm
Thông tin phản ánh của Quý khách giúp chúng tôi sàn lọc thông tin tốt hơn và loại trừ các nhà môi giới không trung thực. Xin trân trọng cám ơn.