Đất Đẹp 18x47m Full Thổ Cư Đường Phan Văn Đối X.Bà Điểm Hóc Môn Giá 22 Tỷ SHR

Thông tin chi tiết

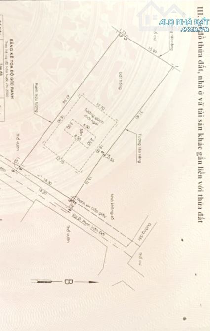
Đất RỘNG 842m2 Full Thổ Cư Bà Điểm Giá 22 Tỷ - Ngay Đường Phan Văn Đối X.Bà Điểm Hóc Môn ( Cách Chợ Bà Điểm 5 Phút, Mọi Tiện Ích ) - Dt: 18x47m Đất Vuông Vức Thổ Cư Full 100% Đường Trước Đất 5m Bê Tông. Gần Trục Nguyễn Ảnh Thủ, Phan Văn Đối... Gần Trường Học Các Cấp, Chợ, Ngân Hàng... Phù Hợp Mua Đầu Tư, Xây Kho Xưởng Là CHUẨN - Hướng Đông Nam - Giá: 22 Tỷ Còn Bớt ( Công chứng Trong Ngày ) Lh:Thiện Xem Đất NGAY Khi Còn ạ

Giá: 22 tỷ Diện tích: 842
Địa chỉ tài sản:
28, Đường Phan Văn Đối, Xã Bà Điểm, Hồ Chí Minh

28, Đường Phan Văn Đối, Xã Bà Điểm, Huyện Hóc Môn, Hồ Chí Minh

(địa chỉ cũ)

Các thông tin khác

Mã tin16726673HướngĐông NamPhòng ăn---
Loại tinCần bánĐường trước nhà5mNhà bếp---
Loại BDSĐất thổ cư, đất ởPháp lýSổ hồng/ Sổ đỏSân thượng---
Chiều ngang18mSố lầu---Chổ để xe hơicheck
Chiều dài47mSố phòng ngủ---Chính chủ---
Hình ảnh

Hình ảnh

Đất Đẹp 18x47m Full Thổ Cư Đường Phan Văn Đối X.Bà Điểm Hóc Môn Giá 22 Tỷ SHR
  • Đất Đẹp 18x47m Full Thổ Cư Đường Phan Văn Đối X.Bà Điểm Hóc Môn Giá 22 Tỷ SHR - 0
  • Đất Đẹp 18x47m Full Thổ Cư Đường Phan Văn Đối X.Bà Điểm Hóc Môn Giá 22 Tỷ SHR - 1
  • Đất Đẹp 18x47m Full Thổ Cư Đường Phan Văn Đối X.Bà Điểm Hóc Môn Giá 22 Tỷ SHR - 2
  • Đất Đẹp 18x47m Full Thổ Cư Đường Phan Văn Đối X.Bà Điểm Hóc Môn Giá 22 Tỷ SHR - 3
  • Đất Đẹp 18x47m Full Thổ Cư Đường Phan Văn Đối X.Bà Điểm Hóc Môn Giá 22 Tỷ SHR - 4
Có thể bạn muốn xem:

Phản ánh tin rao vi phạm

Thông tin phản ánh của Quý khách giúp chúng tôi sàn lọc thông tin tốt hơn và loại trừ các nhà môi giới không trung thực. Xin trân trọng cám ơn.


Tôi không muốn xem tin của người đăng này trong vòng: Tất cả các tin của thành viên này sẽ ẩn đi với bạn trong khoảng thời gian bạn đã chọn.
Mã an toàn:

Cần bán Đất thổ cư, đất ở tại Huyện Hóc Môn

Bán đất mặt tiền 20x60m giá 26 tỷ Đường Nguyễn Văn Bứa

🌟 BÁN ĐẤT MẶT TIỀN NGUYỄN VĂN BỨA – VỊ TRÍ ĐẸP 🌟 Diện tích: 20m x 60m (có 410m² thổ cư) Tiện ích: Mặt tiền đường lớn, cực kỳ phù hợp xây nhà xưởng, kho bãi, hoặc đầu tư lâu dài Pháp lý: Sổ hồng riêng, công c...... << Xem chi tiết >>

25mChỗ để xe
Giá: 26 tỷ Diện tích: 1200 KT: 20x60m

Đường Nguyễn Văn Bứa, Xã Xuân Thới Sơn, Hồ Chí Minh

Đường Nguyễn Văn Bứa, Xã Xuân Thới Sơn, Huyện Hóc Môn, Hồ Chí Minh (cũ)

Bán đất mặt tiền 15x65m giá 19,5 tỷ Đường Tân Hiệp 44

🌟 BÁN ĐẤT MẶT TIỀN ĐƯỜNG TÂN HIỆP 4 – HÓC MÔN 🌟 📍 Vị trí đẹp – đường nhựa 12m, xe tải ra vào thoải mái.✅ Diện tích: 15 x 65m (tổng 850m²).✅ 100% thổ cư, sổ hồng riêng – pháp lý minh bạch.👉 Thích hợp xây biệt thự, kh...... << Xem chi tiết >>

16mChỗ để xe
Giá: 19,5 tỷ Diện tích: 975 KT: 15x65m

Đường Tân Hiệp 4, Xã Hóc Môn, Hồ Chí Minh

Đường Tân Hiệp 4, Xã Hóc Môn, Huyện Hóc Môn, Hồ Chí Minh (cũ)

8.000M² ĐẤT VƯỜN VIEW SÔNG GÓC 2MT ĐẸP NHẤT ĐÔNG THẠNH, HÓC MÔN

SIÊU PHẨM 8.000M² ĐẤT VƯỜN VIEW SÔNG – GÓC 2MT ĐẸP NHẤT ĐÔNG THẠNH, HÓC MÔN Bán lô đất vườn hiếm có, vị trí cực đẹp ngay sông cầu Rạch Tra (nhánh sông Sài Gòn). DT KHỦNG: 8.000m² – ngang mặt tiền 100m. View sông...... << Xem chi tiết >>

15mChỗ để xe
Giá: 24 tỷ Diện tích: 8000 KT: 100x800m

Đường Nhị Bình, Xã Đông Thạnh, Hồ Chí Minh

Đường Nhị Bình, Xã Nhị Bình, Huyện Hóc Môn, Hồ Chí Minh (cũ)

CẦN BÁN GẤP LÔ ĐẤT MẶT TIỀN ĐẶNG THÚC VỊNH – HÓC MÔN GÍA CỰC TỐT

CẦN BÁN GẤP LÔ ĐẤT MẶT TIỀN ĐẶNG THÚC VỊNH – HÓC MÔN Diện tích khủng: 12m x 40m – Tổng 423m² ĐÃ CÓ 300m² THỔ CƯ – Sổ hồng riêng, pháp lý sạch Mặt tiền đường lớn – Khu vực phát triển mạnh, dân cư đông ...... << Xem chi tiết >>

12mChỗ để xe
Giá: 25 tỷ Diện tích: 423 KT: 12x40m

Đường Đặng Thúc Vịnh, Xã Đông Thạnh, Hồ Chí Minh

Đường Đặng Thúc Vịnh, Xã Đông Thạnh, Huyện Hóc Môn, Hồ Chí Minh (cũ)

HIẾM ĐẤT FULL THỔ CƯ 1.000M² – 2SHR– MT NHỰA THÔNG TÂN HIỆP HÓC MÔN

CỰC HIẾM – ĐẤT FULL THỔ CƯ 1.000M² – 2 SỔ RIÊNG – MẶT TIỀN ĐƯỜNG NHỰA THÔNG – TÂN HIỆP HÓC MÔN Diện tích: 20m x 50m = 1.000m² full thổ cư Đã tách 2 sổ riêng (10m x 50m) – pháp lý chuẩn, công chứng sang tên ngay ...... << Xem chi tiết >>

12mChỗ để xe
Giá: 25 tỷ Diện tích: 10000 KT: 20x50m

Đường Tân Hiệp, Xã Hóc Môn, Hồ Chí Minh

Đường Tân Hiệp, Xã Hóc Môn, Huyện Hóc Môn, Hồ Chí Minh (cũ)