Thông tin chi tiết
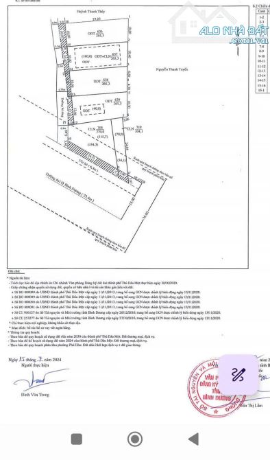
CHUYỂN NHƯỢNG ĐẤT MẶT TIỀN ĐẠI LỘ BÌNH DƯƠNG – TRUNG TÂM THỦ DẦU MỘT - Diện tích: 1.435m² (trong đó 730,6m² thổ cư) - Ngân hàng hỗ trợ vay: lên đến 80 tỷ - Vị trí: Trung tâm đắc địa bậc nhất TP. Thủ Dầu Một, mặt tiền Đại lộ Bình Dương (30m x 50m) - Quy hoạch: Đất TMDV – thương mại dịch vụ, cho phép xây dựng cao tầng - Phù hợp: Phát triển tòa nhà văn phòng, trụ sở tập đoàn, khách sạn cao cấp... - Hiện trạng: Đang cho thuê làm xưởng, dòng tiền ổn định trên 100 triệu đồng/tháng. - Giá bán: 95 triệu/m² (Tổng giá trị: 136 tỷ đồng)


