Dãy Trọ 668m 2 mặt tiền hẻm xe tải tránh nhau đường số 11 linh xuân, sổ hồng 25,3 triệu/m

Thông tin chi tiết

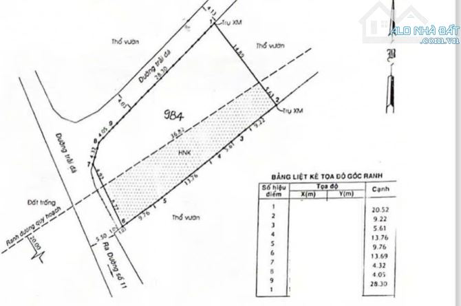
- Cần bán dãy nhà trọ 2 mặt tiền hẻm xe tải tránh nhau đường số 11 phường Linh Xuân thành phố Thủ Đức 668m2 sổ hồng riêng 17 tỷ. Đất tương lai tách 7 lô ( đã có dự thảo cho qh dân cư mới tách thửa) mua để dành có sẵn thu nhập, xây biệt thự vườn bao đẹp...trên đất có sẵn 16 căn phòng trọ cho thuê thu nhập 25 triệu. Sổ hồng riêng, khu dân cư hiện hữu. + Giá bán nhanh 16,9 tỷ ( 25,3 triệu/m ) còn thương lượng. - Anh/Chị khách hàng quan tâm đến xem vị trí thực tế và gặp chủ thương lượng mua bán gọi Duy:

Giá: 16,9 tỷ Diện tích: 668
Địa chỉ tài sản:
Đường số 11, Phường Linh Xuân, Hồ Chí Minh

Đường số 11, Phường Linh Xuân, Thành phố Thủ Đức, Hồ Chí Minh

(địa chỉ cũ)

Các thông tin khác

Mã tin16347389Hướng_Phòng ăncheck
Loại tinCần bánĐường trước nhà8mNhà bếpcheck
Loại BDSPhòng trọ, nhà trọPháp lýSổ hồng/ Sổ đỏSân thượngcheck
Chiều ngang14mSố lầu1Chổ để xe hơicheck
Chiều dài38,3mSố phòng ngủ16Chính chủ---
Hình ảnh

Hình ảnh

Dãy Trọ 668m 2 mặt tiền hẻm xe tải tránh nhau đường số 11 linh xuân, sổ hồng 25,3 triệu/m
  • Dãy Trọ 668m 2 mặt tiền hẻm xe tải tránh nhau đường số 11 linh xuân, sổ hồng 25,3 triệu/m - 0
  • Dãy Trọ 668m 2 mặt tiền hẻm xe tải tránh nhau đường số 11 linh xuân, sổ hồng 25,3 triệu/m - 1
  • Dãy Trọ 668m 2 mặt tiền hẻm xe tải tránh nhau đường số 11 linh xuân, sổ hồng 25,3 triệu/m - 2
  • Dãy Trọ 668m 2 mặt tiền hẻm xe tải tránh nhau đường số 11 linh xuân, sổ hồng 25,3 triệu/m - 3
Có thể bạn muốn xem:

Phản ánh tin rao vi phạm

Thông tin phản ánh của Quý khách giúp chúng tôi sàn lọc thông tin tốt hơn và loại trừ các nhà môi giới không trung thực. Xin trân trọng cám ơn.


Tôi không muốn xem tin của người đăng này trong vòng: Tất cả các tin của thành viên này sẽ ẩn đi với bạn trong khoảng thời gian bạn đã chọn.
Mã an toàn:

Bất động sản nổi bật

Cần bán Phòng trọ, nhà trọ tại Thành phố Thủ Đức

Bán CHDV 1T3L thu nhập 65tr/th, hẻm xe hơi đường Linh Trung, Thủ Đức. 124m2/16.5 tỷ

BÁN DÃY NHÀ TRỌ 1 TRỆT 3 LẦU ĐƯỜNG LINH TRUNG, P.LINH TRUNG, TP.THỦ ĐỨC Cần bán nhà trọ đang kinh doanh rất tốt gần khu vực trung tâm P.Linh Trung, TP.Thủ Đức. Địa chỉ: Hẻm Xe Hơi Đường Linh Trung, phường Linh Trung,...... << Xem chi tiết >>

5m4 tầng26 phòng ngủChỗ để xe
Giá: 16,5 tỷ Diện tích: 124 KT: 10x12,4m

Đường Linh Trung, Phường Linh Xuân, Hồ Chí Minh

Đường Linh Trung, Phường Linh Trung, Thành phố Thủ Đức, Hồ Chí Minh (cũ)

Bán CHDV Đường Linh Trung, TP Thủ Đức thu nhập 63tr/tháng

Bán CHDV Đường Linh Trung, TP Thủ Đức. Gía 16,5 tỷ - Hẻm rộng 5m. Cách mặt đường lớn Linh Trung chỉ tầm 60m. - - Nhà 1 trệt 3 lầu kiên cố gồm 26 phòng đang cho thuê kín phòng với thu nhập 63 triệu/tháng. diện tích...... << Xem chi tiết >>

5m3 tầng11 phòng ngủ
Giá: 16,5 tỷ Diện tích: 124 KT: 10x13m

Đường Linh Trung, Phường Linh Xuân, Hồ Chí Minh

Đường Linh Trung, Phường Linh Trung, Thành phố Thủ Đức, Hồ Chí Minh (cũ)

🚦CHDV MT ĐƯỜNG SỐ 9- TNPB- THỦ ĐỨC. 💈24P- DT 80TR/TH- 166M2-💰CHỈ 14.2TỶ.

📍KẾT CẤU GỒM 1 trệt 1 lửng 3 lầu. + 24phòng cho thuê full- thu nhập gần 80tr/tháng + Vừa đầu tư vừa giữ tiền lãi còn cao hơn gửi Bank. 📍VỊ TRÍ NHÀ trên mặt tiền đường số 9- Phường Tăng Nhơn Phú B- Thủ Đức. + Kh...... << Xem chi tiết >>

7m5 tầng24 phòng ngủChỗ để xe
Giá: 14,2 tỷ Diện tích: 166 KT: 6,6x25m

Đường Số 9, Phường Tăng Nhơn Phú, Hồ Chí Minh

Đường Số 9, Phường Tăng Nhơn Phú B, Thành phố Thủ Đức, Hồ Chí Minh (cũ)

BÁN CĂN HỘ DỊCH VỤ 5 TẦNG, TNPB,166M² NGANG 7M ,THU NHẬP KHỦNG 80TR/THÁNG – GIÁ CHỈ 14,2 T

🌟 BÁN CĂN HỘ DỊCH VỤ 5 TẦNG, TNPB,166M² NGANG 7M ,THU NHẬP KHỦNG 80TR/THÁNG – GIÁ CHỈ 14,2 TỶ 🌟🌟 Tài sản hiếm – mặt tiền trung tâm Thủ Đức – thu nhập ổn định, sinh lời vượt trội! 🏠 THÔNG TIN CĂN NHÀ: Vị trí: Đườn...... << Xem chi tiết >>

8m5 tầng24 phòng ngủChỗ để xe
Giá: 14,2 tỷ Diện tích: 166 KT: 7x24m

Đường số 9, Phường Tăng Nhơn Phú, Hồ Chí Minh

Đường số 9, Phường Tăng Nhơn Phú B, Thành phố Thủ Đức, Hồ Chí Minh (cũ)

BÁN CHDV MẶT TIỀN ĐƯỜNG NGAY CAO ĐẲNG CÔNG THƯƠNG Q.9

💥 CHDV DÒNG TIỀN GẦN 100TR/THÁNG 💥 MẶT TIỀN ĐẸP 6M6💥 NGAY TRƯỜNG CĐ CÔNG THƯƠNG - TĂNG NHƠN PHÚ - QUẬN 9 - HƠN 14 TỶ 👉 Nhà 1 trệt 3 lầu, Gồm 24 phòng thuê kín. WC từng phòng. 👉 Diện Tích: Ngang 6m6 dài 25m. Tổng ...... << Xem chi tiết >>

8m4 tầng25 phòng ngủ
Giá: 14,2 tỷ Diện tích: 166 KT: 6,6x25mHướng: Tây Nam

Đường số 8, Phường Tăng Nhơn Phú, Hồ Chí Minh

Đường số 8, Phường Tăng Nhơn Phú B, Thành phố Thủ Đức, Hồ Chí Minh (cũ)