GIẢM SÓC 400tr - còn 3,6 tỷ -HẺM RỘNG - nhà C4 tiện xây mới

Thông tin chi tiết

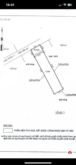
Vị trí ngay Tô Ký,sát cầu vượt QUANG TRUNG Gò Vấp + Hẻm an ninh, + Khu vực trung tâm chợ,trường học..., + Tiện ích : sát BV Q12, khu Hành chính Phường, Quân đội…. Kết cấu nhà cấp 4,sân để xe,2pn,1wc, 📐 4 x 20 kích thước quá đẹp để xây nhà đẹp , + Sổ hồng riêng,Hoàn công đầy đủ, pháp lý chuẩn Anh chị thiện chí mua liên hệ Ms Hoa hỗ trợ đều xem nhà Miễn phí - gặp trực tiếp chủ nhà Code(126.4G)

Giá: 3,6 tỷ Diện tích: 80
Địa chỉ tài sản:
Đường Tô Ký, Phường Trung Mỹ Tây, Hồ Chí Minh

Đường Tô Ký, Phường Tân Chánh Hiệp, Quận 12, Hồ Chí Minh

(địa chỉ cũ)

Các thông tin khác

Mã tin17117717Hướng_Phòng ăncheck
Loại tinCần bánĐường trước nhà3mNhà bếpcheck
Loại BDSNhà trong hẻmPháp lý---Sân thượng---
Chiều ngang4,10mSố lầu---Chổ để xe hơi---
Chiều dài---Số phòng ngủ2Chính chủ---
Hình ảnh

Hình ảnh

GIẢM SÓC 400tr - còn 3,6 tỷ -HẺM RỘNG - nhà C4 tiện xây mới
  • GIẢM SÓC 400tr - còn 3,6 tỷ -HẺM RỘNG - nhà C4 tiện xây mới - 0
  • GIẢM SÓC 400tr - còn 3,6 tỷ -HẺM RỘNG - nhà C4 tiện xây mới - 1
  • GIẢM SÓC 400tr - còn 3,6 tỷ -HẺM RỘNG - nhà C4 tiện xây mới - 2
  • GIẢM SÓC 400tr - còn 3,6 tỷ -HẺM RỘNG - nhà C4 tiện xây mới - 3
Lưu ý: Người giới thiệu muốn có phí hoa hồng khi giới thiệu tài sản này (mức phí do bạn và người giới thiệu thỏa thuận).
Có thể bạn muốn xem: Bán nhà Tân Chánh Hiệp

Phản ánh tin rao vi phạm

Thông tin phản ánh của Quý khách giúp chúng tôi sàn lọc thông tin tốt hơn và loại trừ các nhà môi giới không trung thực. Xin trân trọng cám ơn.


Tôi không muốn xem tin của người đăng này trong vòng: Tất cả các tin của thành viên này sẽ ẩn đi với bạn trong khoảng thời gian bạn đã chọn.
Mã an toàn:

Bất động sản nổi bật

Cần bán Nhà trong hẻm tại Quận 12

NHÀ 1 TRỆT 1 LẦU – HẺM XE HƠI HUỲNH THỊ HAI, QUẬN 12 – SỔ HỒNG RIÊNG .CHỈ 4 Ty TL

🏡 NHÀ 1 TRỆT 1 LẦU – HẺM XE HƠI HUỲNH THỊ HAI, QUẬN 12 – SỔ HỒNG RIÊNG 📍 Vị trí đắc địa Nhà nằm trong hẻm xe hơi đường Huỳnh Thị Hai, Quận 12, khu dân cư hiện hữu, an ninh, yên tĩnh. Giao thông thuận tiện di chuyển...... << Xem chi tiết >>

4m2 tầng2 phòng ngủChỗ để xe
Giá: 4 tỷ Diện tích: 56 KT: 4x14m

Đường Huỳnh Thị Hai, Phường Trung Mỹ Tây, Hồ Chí Minh

Đường Huỳnh Thị Hai, Phường Tân Chánh Hiệp, Quận 12, Hồ Chí Minh (cũ)

Bán Nhà Ngay Chợ Hiệp Thành.Q12. 48m2, 2 tầng BTCT, Hẻm xe hơi thông 5m . giá cực tốt.

⚜️PH2400. 📣🥰HÀNG HIẾM 💰CHỈ 4.1 TỶ - NHÀ 2 TẦNG BTCT (4x12) - HẺM XE HƠI THÔNG - GẦN CHỢ HIỆP THÀNH HIỆP - Q12 - SHR - HOÀN CÔNG ĐỦ - KHÔNG KHÔNG MỒ MÃ . 🕌 Hiệp Thành 13 . 48m2. 2Tầng BTCT. Ngang 4 X 12 Chỉ 4.1 ...... << Xem chi tiết >>

5m1 tầng2 phòng ngủChỗ để xe
Giá: 4,1 tỷ Diện tích: 48 KT: 4x12m

Đường Hiệp Thành 13, Phường Tân Thới Hiệp, Hồ Chí Minh

Đường Hiệp Thành 13, Phường Hiệp Thành, Quận 12, Hồ Chí Minh (cũ)

Bán nhà hẻm, Thới An 13, Quận 12, 55.6 m² (4.3m x 14m), 4 phòng ngủ - Giá 3.75 tỷ TL

Bán nhà hẻm, Thới An 13, Phường Thới An, Quận 12. _ Diện tích 55.6 m² (4.3m x 14m), nhà 2 tầng BTCT, xây dựng kiên cố. _ Đường trước nhà hẻm rộng 3m, sạch sẽ, lưu thông dễ dàng. - Đặc điểm: nhà 1 trệt, 1 lầu,...... << Xem chi tiết >>

3m2 tầng4 phòng ngủ
Giá: 3,75 tỷ Diện tích: 55 KT: 4,3x14mHướng: Nam

Đường Thới An 13, Phường Thới An, Hồ Chí Minh

Đường Thới An 13, Phường Thới An, Quận 12, Hồ Chí Minh (cũ)

HXH ĐỔ CỬA - SÁT BÊN CHỢ HIỆP THÀNH Q12 - DIỆN TÍCH 48M2 - TRỆT LẦU MỚI Ở NGAY - GIÁ CHỈ 4

Mô tả: ✅ Diện tích và kết cấu : Ngang 4 dài 12, Nhà 2 tầng BTCT ở ngay, 2PN, 2WC, bếp, sân phơi,... ✅ Vị trí: Hẻm trước nhà 5m thông, gần trường học các cấp, chợ, siêu thị,... ✅ Khu dân trí cao, yên tĩnh thoáng mát, ...... << Xem chi tiết >>

4m2 tầng2 phòng ngủ
Giá: 4,05 tỷ Diện tích: 48 KT: 4x12m

Đường Hiệp Thành 13, Phường Tân Thới Hiệp, Hồ Chí Minh

Đường Hiệp Thành 13, Phường Hiệp Thành, Quận 12, Hồ Chí Minh (cũ)

Nhà xây dựng kiên cố cứng cáp 1 lầu sổ hồng riêng ngay siêu thị metro quận 12

Nhà xây dựng kiên cố cứng cáp 1 lầu sổ hồng riêng ngay siêu thị metro quận 12 🍰Nhà bán: 3 tỷ 280 triệu 🍰 Vị trí: đường 3m, ô tô đỗ cách nhà 15m. / nguyễn thị kiểu, tân thới hiệp, q12. Ngay siêu thị metro. 🍰 Diện t...... << Xem chi tiết >>

3m1 tầng2 phòng ngủ
Giá: 3,28 tỷ Diện tích: 39 KT: 3,05x13m

Đường Nguyễn Thị Kiểu, Phường Tân Thới Hiệp, Hồ Chí Minh

Đường Nguyễn Thị Kiểu, Phường Tân Thới Hiệp, Quận 12, Hồ Chí Minh (cũ)