LÔ ĐẤT LỚN ĐẸP KIỆT Ô TÔ 6M TRẦN ĐẠI NGHĨA - XÂY CĂN HỘ SIÊU ĐẸP

Thông tin chi tiết

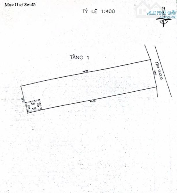
BÁN LÔ ĐẤT LỚN KIỆT Ô TÔ 6M TRẦN ĐẠI NGHĨA - XÂY CĂN HỘ SIÊU ĐẸP - DT đất: 478 m2 - ngang 10,2 mét vuông vức - Kiệt ô tô rộng 6 mét ô tô đậu đỗ, quay đầu thoải mái - Kiệt thông kiệt 19 Huỳnh Bá Chánh, đi lại thuận tiện - Cách mặt tiền Trần Đại Nghĩa chỉ vài chục mét, gần ngã tư đại lộ Trần Đại Nghĩa & Võ Chí Công, tòa nhà FPT,... tiện ích xung quanh đầy đủ - Thích hợp xây căn hộ dịch vụ cao tầng phục sinh viên làng Đại học, nhân viên trong và ngoài nước của FPT Complex,... - Giá bán có thương lượng thiện chí - Liên hệ Cường theo số điện thoại để xem đất và đàm phán chính chủ.

Giá: 13,6 tỷ Diện tích: 478
Địa chỉ tài sản:
Đường Trần Đại Nghĩa, Phường Ngũ Hành Sơn, Đà Nẵng

Đường Trần Đại Nghĩa, Phường Hòa Hải, Quận Ngũ Hành Sơn, Đà Nẵng

(địa chỉ cũ)

Các thông tin khác

Mã tin16924339HướngĐôngPhòng ăn---
Loại tinCần bánĐường trước nhà6mNhà bếp---
Loại BDSĐất thổ cư, đất ởPháp lýSổ hồng/ Sổ đỏSân thượng---
Chiều ngang10,2mSố lầu---Chổ để xe hơicheck
Chiều dài47mSố phòng ngủ---Chính chủ---
Hình ảnh

Hình ảnh

LÔ ĐẤT LỚN ĐẸP KIỆT Ô TÔ 6M TRẦN ĐẠI NGHĨA - XÂY CĂN HỘ SIÊU ĐẸP
Có thể bạn muốn xem:

Phản ánh tin rao vi phạm

Thông tin phản ánh của Quý khách giúp chúng tôi sàn lọc thông tin tốt hơn và loại trừ các nhà môi giới không trung thực. Xin trân trọng cám ơn.


Tôi không muốn xem tin của người đăng này trong vòng: Tất cả các tin của thành viên này sẽ ẩn đi với bạn trong khoảng thời gian bạn đã chọn.
Mã an toàn:

Bất động sản nổi bật

Cần bán Đất thổ cư, đất ở tại Quận Ngũ Hành Sơn

Bán Cặp đất Võ Chí Công - Đường 33m - Gần khu đô thị FPT - Kinh doanh tốt - Giá 15 tỉ

Bán cặp đất mặt tiền Võ Chí Công, phường Ngũ Hành Sơn, TP Đà Nẵng - DT: 200m2 ( 10 x 20 m) - Hướng Nam - Đường 33m, vỉa hè 4.5m - Vị trí ngay gần nút giao Trần Đại Nghĩa, gần khu đô thị FPT, cách cụm Trường đại học c...... << Xem chi tiết >>

33m
Giá: 15 tỷ Diện tích: 200 KT: 10x20mHướng: Nam

Đường Võ Chí Công, Phường Ngũ Hành Sơn, Đà Nẵng

Đường Võ Chí Công, Phường Ngũ Hành Sơn, Quận Ngũ Hành Sơn, Đà Nẵng (cũ)

Bán gấp lô đất mặt tiền An Thượng 29 khu phố tây

💥💥 ĐẤT ĐẸP KHU PHỐ TÂY AN THƯỢNG – VỊ TRÍ VÀNG SÁT BIỂN MỸ KHÊ 🌊 💥💥 💸 Giá đầu tư – Kinh doanh đỉnh – Khu du lịch sầm uất bậc nhất Đà Nẵng! 📍 Vị trí: Trung tâm Phố Tây An Thượng, khu khách sạn – căn hộ dịch vụ ...... << Xem chi tiết >>

5,5m
Giá: 16 tỷ Diện tích: 90 KT: 5x18m

Đường An Thượng 29, Phường Ngũ Hành Sơn, Đà Nẵng

Đường An Thượng 29, Phường Mỹ An, Quận Ngũ Hành Sơn, Đà Nẵng (cũ)

HOT HOT HOT🆘🆘🆘🆘 BÁN NHÀ MẶT TIỀN LÊ VĂN HIẾN 126M2-NGŨ HÀNH SƠN-ĐÀ NẴNG-GIÁ 14,5 TỶ

🏡 BÁN NHÀ MẶT TIỀN LÊ VĂN HIẾN – CÁCH BIỂN CHỈ 1KM 📐 Diện tích: 126m² (ngang 5m) 🏗 Kết cấu: 4 tầng – 7 phòng ngủ, 5WC 🏡 Công năng: Phòng khách, bếp, nhà mới đẹp – phù hợp làm văn phòng, trung tâm tiếng Anh, hoặc c...... << Xem chi tiết >>

30m4 tầng7 phòng ngủChỗ để xe
Giá: 14,5 tỷ Diện tích: 126 KT: 5x25,2m

Đường Lê Văn Hiến, Phường Ngũ Hành Sơn, Đà Nẵng

Đường Lê Văn Hiến, Phường Mỹ An, Quận Ngũ Hành Sơn, Đà Nẵng (cũ)

⚡ BÁN ĐẤT MẶT TIỀN ĐƯỜNG AN THƯỢNG 16 – PHƯỜNG MỸ AN,QUẬN NGŨ HÀNH SƠN, ĐÀ NẴNG , DT: 60M2

⚡ BÁN ĐẤT MẶT TIỀN ĐƯỜNG AN THƯỢNG 16 – PHƯỜNG MỸ AN, QUẬN NGŨ HÀNH SƠN, ĐÀ NẴNG ✅ Diện tích: 59.8 m² ✅ Ngang: 4 m ✅ Hướng: Đông Nam ✅ Đường trước nhà: 5.5 m – Vỉa hè: 2.5 m 💥 Nằm ngay trung tâm khu du lịch bi...... << Xem chi tiết >>

5,5m
Giá: 11 tỷ Diện tích: 60 KT: 4x15,2mHướng: Đông Nam

Đường An Thượng 16, Phường Ngũ Hành Sơn, Đà Nẵng

Đường An Thượng 16, Phường Mỹ An, Quận Ngũ Hành Sơn, Đà Nẵng (cũ)

BÁN ĐẤT TRẦN VĂN DƯ, 96M2, NGANG 6M, 200M RA BIỂN MỸ KHÊ, 11.X TỶ

- Vị trí: Đường Trần Văn Dư, cách đường lớn Võ Nguyên Giáp 40m, cách biển Mỹ Khê 250m, hàng xóm khu phố Tây An Thượng. Tập trung đông khách Tây và Hàn du lịch. - Diện tích: 96m2, ngang 6m, đường kiệt ô tô 6m - Giá: 11....... << Xem chi tiết >>

6m
Giá: 11,3 tỷ Diện tích: 96

Đường Trần Văn Dư, Phường Ngũ Hành Sơn, Đà Nẵng

Đường Trần Văn Dư, Phường Mỹ An, Quận Ngũ Hành Sơn, Đà Nẵng (cũ)