Lô đất siêu VIP (8.6x55) Mặt Tiền Lê Thị Riêng, Thới An, Quận 12 Chỉ 55 triệu/m²

Thông tin chi tiết

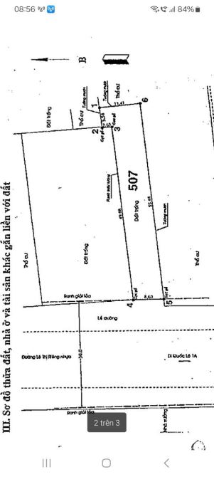
MẶT TIỀN LÊ THỊ RIÊNG = GIÁ HẺM⛔️ Lô đất siêu VIP (8.6x55) Mặt Tiền Lê Thị Riêng, Thới An, Quận 12 Chỉ 55 triệu/m² DT: (8.6m x 55m), nở hậu 12m, Công nhận 489m2. Full thổ cư, sổ hồng riêng chuẩn pháp lý Đường 30m vỉa hè 9m Thích hợp xây tòa nhà văn phòng, khách sạn, căn hộ dịch vụ, … Giá bán: 37 Tỷ (TL) Gọi ngay cho Ms Mỹ - Chuyên Nhà Phố và Đất Nền Chính Chủ‼️ ‼️ ACE quan tâm liên hệ:Ms Mỹ N.H.À T.Ố.T trực tiếp chủ!

Giá: 37 tỷ Diện tích: 489
Địa chỉ tài sản:
Đường Lê Thị Riêng, Phường Thới An, Hồ Chí Minh

Đường Lê Thị Riêng, Phường Thới An, Quận 12, Hồ Chí Minh

(địa chỉ cũ)

Các thông tin khác

Mã tin16600161Hướng_Phòng ăncheck
Loại tinCần bánĐường trước nhà15mNhà bếpcheck
Loại BDSĐất thổ cư, đất ởPháp lýSổ hồng/ Sổ đỏSân thượngcheck
Chiều ngang8,6mSố lầu---Chổ để xe hơicheck
Chiều dài55mSố phòng ngủ---Chính chủ---
Hình ảnh

Hình ảnh

Lô đất siêu VIP (8.6x55) Mặt Tiền Lê Thị Riêng, Thới An, Quận 12 Chỉ 55 triệu/m²
  • Lô đất siêu VIP (8.6x55) Mặt Tiền Lê Thị Riêng, Thới An, Quận 12 Chỉ 55 triệu/m² - 0
  • Lô đất siêu VIP (8.6x55) Mặt Tiền Lê Thị Riêng, Thới An, Quận 12 Chỉ 55 triệu/m² - 1
  • Lô đất siêu VIP (8.6x55) Mặt Tiền Lê Thị Riêng, Thới An, Quận 12 Chỉ 55 triệu/m² - 2
Có thể bạn muốn xem:

Phản ánh tin rao vi phạm

Thông tin phản ánh của Quý khách giúp chúng tôi sàn lọc thông tin tốt hơn và loại trừ các nhà môi giới không trung thực. Xin trân trọng cám ơn.


Tôi không muốn xem tin của người đăng này trong vòng: Tất cả các tin của thành viên này sẽ ẩn đi với bạn trong khoảng thời gian bạn đã chọn.
Mã an toàn:

Bất động sản nổi bật

Cần bán Đất thổ cư, đất ở tại Quận 12

Bán 550m2 đất thổ - MT Trương Thị Hoa, P. Tân Thới Hiệp, Quận 12 – Ngay siêu thị Mega Mart

📍 Vị trí: Mặt tiền Trương Thị Hoa, P. Tân Thới Hiệp, Quận 12 🚗 Chỉ cách Quốc lộ 1A chưa tới 200m, ngay MM Mega Martket ( BigC cũ ) rất sầm uất, thuận tiện giao thương, kết nối nhanh về trung tâm và các quận lân cận. ...... << Xem chi tiết >>

20m
Giá: 37 tỷ Diện tích: 550 KT: 6,2x65m

Đường Trương Thị Hoa, Phường Tân Thới Hiệp, Hồ Chí Minh

Đường Trương Thị Hoa, Phường Tân Thới Hiệp, Quận 12, Hồ Chí Minh (cũ)

ĐẤT MẶT TIỀN THẠNH XUÂN 33 – QUẬN 12 – 4.819M² – NGANG 37M – 2 MẶT TIỀN – VIEW BỜ KÈ – 30

🌟 ĐẤT MẶT TIỀN THẠNH XUÂN 33 – QUẬN 12 – 4.819M² – NGANG 37M – 2 MẶT TIỀN – VIEW BỜ KÈ – 30 TỶ 🌟 📐 Diện tích: 4.819m² (37m x 189m), công nhận đủ 🚛 Mặt tiền đường lớn, xe tải ra vào thoải mái, giáp 2 mặt tiền 🌊 ...... << Xem chi tiết >>

20m
Giá: 30 tỷ Diện tích: 4819

Đường Thạnh Xuân 33, Phường Thới An, Hồ Chí Minh

Đường Thạnh Xuân 33, Phường Thạnh Xuân, Quận 12, Hồ Chí Minh (cũ)

Bán đất Mặt tiền trương thị hoa Q12, giá chưa tới 70tr/m2

Đất bán mặt tiền quận 12, đường Trương Thị Hoa, diện tích 535 m2 , giá 37 tỷ. → Giá : 37 tỷ ( Ba mươi bảy tỷ đồng ) → Diện tích : 535 m2 . Thổ cư : 473 m2 . → Hướng : Tây Nam → Pháp lý : Sổ Hồng Riêng → Kh...... << Xem chi tiết >>

30m
Giá: 37 tỷ Diện tích: 540

Đường Trương Thị Hoa, Phường Tân Thới Hiệp, Hồ Chí Minh

Đường Trương Thị Hoa, Phường Tân Thới Hiệp, Quận 12, Hồ Chí Minh (cũ)

🔥 Đất Thổ Cư đường TL22 phường THẠNH LỘC Q12,đường 12m,dt:1.047m2  (15,5m x 75m)💵32,5tỷ.

🔥 Đất Thổ Cư đường TL22 phường THẠNH LỘC Q12,đường 12m,dt:1.047m2 (15,5m x 75m)💵32,5tỷ. ✅Đất trống,có sổ hồng riêng. ✅Vị trí :đường 12m THẠNH LỘC 22 TL22 , gần CẦU VƯỢT NGÃ TƯ GA, bến xe NGÃ TƯ GA,chung cư THẠNH LỘ...... << Xem chi tiết >>

12m
Giá: 32,5 tỷ Diện tích: 1047 KT: 15,5x75m

Đường Thạnh Lộc 22, Phường An Phú Đông, Hồ Chí Minh

Đường Thạnh Lộc 22, Phường Thạnh Lộc, Quận 12, Hồ Chí Minh (cũ)

ĐẤT KHỦNG FULL THỔ CƯ – THẠNH XUÂN 33, Q12 – DT GẦN 1.200M² – XE TẢI VÀO TẬN NƠI

CHỦ GẤP BÁN LÔ ĐẤT KHỦNG FULL THỔ CƯ – THẠNH XUÂN 33, Q12 – DT GẦN 1.200M² – XE TẢI VÀO TẬN NƠI Vị trí đẹp: Cách nhà số 45/5 TX33 chỉ 1 lô, ngay khu dân cư hiện hữu DT: 24.3 x 46.35m – NỞ HẬU 25.84m – phong thủy ...... << Xem chi tiết >>

6m
Giá: 41 tỷ Diện tích: 180 KT: 24,3x46,35,m

Đường Lê Thị Riêng, Phường Thới An, Hồ Chí Minh

Đường Lê Thị Riêng, Phường Thới An, Quận 12, Hồ Chí Minh (cũ)