Ms Linh-Bán 100m2 đất mặt đường Trương Văn Lực, Hùng Vương, đối diện phân lô Đống Chuối

Thông tin chi tiết

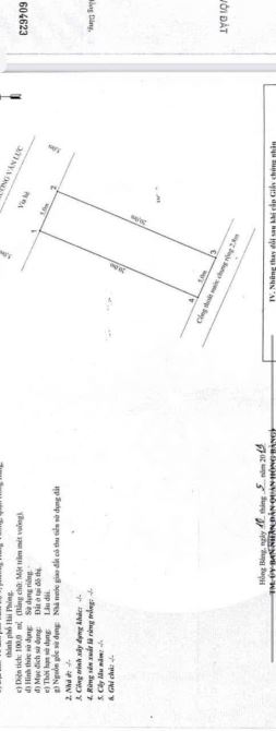
🏙️ Bán lô đất mặt đường Trương Văn Lực – Hùng Vương, Hồng Bàng, Hải Phòng 🏙️ • Diện tích: 100m² • Ngang: 5m vuông vắn • Đường trước đất: Trải nhựa rộng 19m, vỉa hè 5m thoáng mát • Hướng: Tây Bắc • Giá 5,15 tỷ ( rẻ nhất khu vực) • Vị trí: Mặt đường lớn, khu vực sầm uất, dân cư đông đúc, giao thông thuận tiện, đối diện là khu phân lô Đống Chuối 📌 Lô đất cực đẹp, phù hợp để kinh doanh – buôn bán – mở showroom – văn phòng – nhà hàng hoặc đầu tư lâu dài sinh lời. 👉 Cơ hội hiếm tại trục đường kinh doanh sôi động bậc nhất Hồng Bàng. Liên hệ ngay: em Linh để xem đất trực tiếp và thương lượng chính chủ.

Giá: 5,15 tỷ Diện tích: 100
Địa chỉ tài sản:
Đường Trương Văn Lực, Phường Hồng Bàng, Hải Phòng

Đường Trương Văn Lực, Phường Hùng Vương, Quận Hồng Bàng, Hải Phòng

(địa chỉ cũ)

Các thông tin khác

Mã tin17210204HướngĐông BắcPhòng ăn---
Loại tinCần bánĐường trước nhà19mNhà bếp---
Loại BDSMặt bằngPháp lýSổ hồng/ Sổ đỏSân thượng---
Chiều ngang5mSố lầu---Chổ để xe hơi---
Chiều dài---Số phòng ngủ---Chính chủ---
Hình ảnh

Hình ảnh

Ms Linh-Bán 100m2 đất mặt đường Trương Văn Lực, Hùng Vương, đối diện phân lô Đống Chuối
  • Ms Linh-Bán 100m2 đất mặt đường Trương Văn Lực, Hùng Vương, đối diện phân lô Đống Chuối - 0
  • Ms Linh-Bán 100m2 đất mặt đường Trương Văn Lực, Hùng Vương, đối diện phân lô Đống Chuối - 1
  • Ms Linh-Bán 100m2 đất mặt đường Trương Văn Lực, Hùng Vương, đối diện phân lô Đống Chuối - 2
Có thể bạn muốn xem:

Phản ánh tin rao vi phạm

Thông tin phản ánh của Quý khách giúp chúng tôi sàn lọc thông tin tốt hơn và loại trừ các nhà môi giới không trung thực. Xin trân trọng cám ơn.


Tôi không muốn xem tin của người đăng này trong vòng: Tất cả các tin của thành viên này sẽ ẩn đi với bạn trong khoảng thời gian bạn đã chọn.
Mã an toàn: