Cần bán gấp đất thổ cư 85.5m2 Bình Chánh khu vực đông dân cư
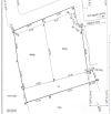
Cần bán gấp lô đất 85,5m2, SHR, dân cư đông đúc xã Quy Đức, Bình Chánh. Đường bê tông xe hơi, cách mặt tiền chỉ 20m. Khu vực đã có dân cư sinh sống. - Diện tích 5x17.11m. - Sổ hồng riêng sang tên ngay. - Dân cư đông đ...... << Xem chi tiết >>
Đường Đoàn Nguyễn Tuân, Xã Hưng Long, Hồ Chí Minh
Đường Đoàn Nguyễn Tuân, Xã Quy Đức, Huyện Bình Chánh, Hồ Chí Minh (cũ)
