NHÀ MẶT TIỀN 40 TỶ ĐƯỜNG MẬU THÂN, P. AN PHÚ, Q. NINH KIỀU, TP. CẦN THƠ 287 M2 ODT

Thông tin chi tiết

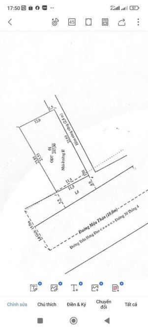
✅(NẮM CHỦ ) 40 TỶ ✅NHÀ MẶT TIỀN 40 TỶ ĐƯỜNG MẬU THÂN, P. AN PHÚ, Q. NINH KIỀU, TP. CẦN THƠ 287 M2 ODT + ĐC: Nhà Mặt Tiền Đường Mậu Thân, P. An Phú, Q. Ninh Kiều, Tp. Cần Thơ. + Diện tích: 11,5m x 23.95m = 287m2 . + Pháp Lý: Đất ở đô thị + Hướng: Tây Nam + Pháp lý: sổ hồng hoàn công + Lộ giới: 20m + Vị trí: thuận tiện kinh doanh 💵💵Giá Bán: 40 Tỷ ( thương lượng )

Giá: 40 tỷ Diện tích: 287
Địa chỉ tài sản:
Đường Mậu Thân, Phường Ninh Kiều, Cần Thơ

Đường Mậu Thân, Phường An Phú, Quận Ninh Kiều, Cần Thơ

(địa chỉ cũ)

Các thông tin khác

Mã tin16671552HướngTây NamPhòng ăncheck
Loại tinCần bánĐường trước nhà46mNhà bếpcheck
Loại BDSNhà mặt tiềnPháp lýSổ hồng/ Sổ đỏSân thượngcheck
Chiều ngang11,5mSố lầu1Chổ để xe hơicheck
Chiều dài24mSố phòng ngủ4Chính chủ---
Hình ảnh

Hình ảnh

NHÀ MẶT TIỀN 40 TỶ ĐƯỜNG MẬU THÂN, P. AN PHÚ, Q. NINH KIỀU, TP. CẦN THƠ 287 M2 ODT
  • NHÀ MẶT TIỀN 40 TỶ ĐƯỜNG MẬU THÂN, P. AN PHÚ, Q. NINH KIỀU, TP. CẦN THƠ 287 M2 ODT - 0
  • NHÀ MẶT TIỀN 40 TỶ ĐƯỜNG MẬU THÂN, P. AN PHÚ, Q. NINH KIỀU, TP. CẦN THƠ 287 M2 ODT - 1
  • NHÀ MẶT TIỀN 40 TỶ ĐƯỜNG MẬU THÂN, P. AN PHÚ, Q. NINH KIỀU, TP. CẦN THƠ 287 M2 ODT - 2
Có thể bạn muốn xem: Bán nhà An Phú

Phản ánh tin rao vi phạm

Thông tin phản ánh của Quý khách giúp chúng tôi sàn lọc thông tin tốt hơn và loại trừ các nhà môi giới không trung thực. Xin trân trọng cám ơn.


Tôi không muốn xem tin của người đăng này trong vòng: Tất cả các tin của thành viên này sẽ ẩn đi với bạn trong khoảng thời gian bạn đã chọn.
Mã an toàn:

Bất động sản nổi bật

Cần bán Nhà mặt tiền tại Quận Ninh Kiều

NỀN DIỆN TÍCH LỚN 516m MẶT TIỀN TRẦN NAM PHÚ GIÁ 78TRIỆU/M

BÁN 04 NỀN TIỀN TRẦN NAM PHÚ - CÁCH MẶT TIỀN NGUYỄN VĂN CỪ 30M - Diện tích: ngang 20m dài 26m = 516,2m2 - Pháp lý: full ODT cấp phép 1 trệt 6 lầu ❌❌Giá: 78tr/m2 - Vị trí: đoạn đầu đường Trần Nam Phú, Cách Nguyễn Văn...... << Xem chi tiết >>

20m
Giá: 78 triệu / m²   Diện tích: 516 KT: 20x26mHướng: Tây Nam

Đường Trần Nam Phú, Phường Tân An, Cần Thơ

Đường Trần Nam Phú, Phường Tân An, Quận Ninh Kiều, Cần Thơ (cũ)

Bán Mặt tiền đầu đường Trần Nam Phú đối diện Đại Học Y Dược

Bán Mặt tiền víp hiếm đầu đường Trần Nam Phú ( Lộ Ngân Hàng) kế bách hóa xanh Vị trí siêu víp Đối diện trường Đại Học Y Dược - Dt:20 x26=514,2m2 Thổ 100%. 4 nền liền kề - Hướng: Tây Nam. Lộ nhựa: 15m. 💴39ty9☎...... << Xem chi tiết >>

15mChỗ để xe
Giá: 39,9 tỷ Diện tích: 514 KT: 20x26mHướng: Tây Nam

Đường Trần Nam Phú, Phường Tân An, Cần Thơ

Đường Trần Nam Phú, Phường Tân An, Quận Ninh Kiều, Cần Thơ (cũ)

BÁN NHÀ MẶT TIỀN NGUYỄN VĂN CỪ, AN KHÁNH, NINH KIỀU

✅NẮM CHỦ (32TỶ) BÁN NHÀ MẶT TIỀN NGUYỄN VĂN CỪ ĐOẠN AN KHÁNH GẦN ĐH Y DƯỢC, PHƯỜNG AN KHÁNH, NINH KIỀU, TPCT + Diện tích: 5m x 28m = 139m2 + Pháp lý: thổ cư, sổ hồng + Hướng: Đông Nam + Giá bán : 32 tỷ + LH: Đấu...... << Xem chi tiết >>

40m1 tầng1 phòng ngủ
Giá: 32 tỷ Diện tích: 139 KT: 5x28m

Đường Nguyễn Văn Cừ, Phường Tân An, Cần Thơ

Đường Nguyễn Văn Cừ, Phường An Khánh, Quận Ninh Kiều, Cần Thơ (cũ)

- Bán Nhà Mặt Tiền Đường 3/2, P.Hưng Lợi, Q.Ninh Kiều, Tp Cần Thơ.

bán nhà trệt 1 lầu, mặt tiền đường 3 tháng cần thơ, giá 32 - Bán Nhà Mặt Tiền Đường 3/2, P.Hưng Lợi, Q.Ninh Kiều, Tp Cần Thơ. - Kết cầu: 1 trệt 1 lầu - Diện tích : 8 x 51 = 408m - Pháp lý: 150 ODT còn lại CLN - H...... << Xem chi tiết >>

1m1 tầng1 phòng ngủ
Giá: 32 tỷ Diện tích: 408

Đường 3 tháng 2, Phường Tân An, Cần Thơ

Đường 3 tháng 2, Phường Hưng Lợi, Quận Ninh Kiều, Cần Thơ (cũ)

Bán nhà mặt tiền 3/2 p.Hưng lợi dt 8x51 sổ hồng hướng tây bắc lộ 40m vị trí kd sầm uất

- Bán Nhà Mặt Tiền Đường 3/2, P.Hưng Lợi, Q.Ninh Kiều, Tp Cần Thơ. - Kết cầu: 1 trệt 1 lầu - Diện tích : 8 x 51 = 408m - Pháp lý: 150 ODT còn lại CLN - Hướng: Tây Bắc - Lộ giới: 40m - đoạn kinh doanh mua bán sầm u...... << Xem chi tiết >>

40m1 tầng3 phòng ngủ
Giá: 32 tỷ Diện tích: 408 KT: 8x51mHướng: Tây Bắc

Đường 3 tháng 2, Phường Tân An, Cần Thơ

Đường 3 tháng 2, Phường Hưng Lợi, Quận Ninh Kiều, Cần Thơ (cũ)