Nhà Nát 6x28m Đường Huỳnh Thị Hai, P.Tân Chánh Hiệp Quận 12 Giá 7.5 Tỷ TL

Thông tin chi tiết

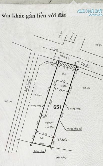
Bán Nhà Nát 6x28m Hẻm Xe Tải Giá 7.5 Tỷ TL - Ngay Đường Huỳnh Thị Hai, P.Tân Chánh Hiệp ( CŨ ) Quận 12 - Dt: 6x28m có Nhà Cấp 4, Củ... Thuận Lợi Xây Mới. Ngay Trung TÂM hành Chính Phường .. Khu An Ninh, Cao Ráo Sạch Đẹp.. Gần Chợ, Trường Học Đầy Đủ.. - Xây Nhà CHUẨN ạ - Giá: 7.5 Tỷ Gặp Chủ Thương Lượng Lh: THIỆN Xem Nhà Ngay Khi Còn ạ

Giá: 7,5 tỷ Diện tích: 160
Địa chỉ tài sản:
32, Đường Huỳnh Thị Hai, Phường Trung Mỹ Tây, Hồ Chí Minh

32, Đường Huỳnh Thị Hai, Phường Tân Chánh Hiệp, Quận 12, Hồ Chí Minh

(địa chỉ cũ)

Các thông tin khác

Mã tin17081828Hướng_Phòng ăncheck
Loại tinCần bánĐường trước nhà5mNhà bếpcheck
Loại BDSNhà trong hẻmPháp lýSổ hồng/ Sổ đỏSân thượng---
Chiều ngang6mSố lầu---Chổ để xe hơicheck
Chiều dài28mSố phòng ngủ1Chính chủ---
Hình ảnh

Hình ảnh

Nhà Nát 6x28m Đường Huỳnh Thị Hai, P.Tân Chánh Hiệp Quận 12 Giá 7.5 Tỷ TL
  • Nhà Nát 6x28m Đường Huỳnh Thị Hai, P.Tân Chánh Hiệp Quận 12 Giá 7.5 Tỷ TL - 0
  • Nhà Nát 6x28m Đường Huỳnh Thị Hai, P.Tân Chánh Hiệp Quận 12 Giá 7.5 Tỷ TL - 1
  • Nhà Nát 6x28m Đường Huỳnh Thị Hai, P.Tân Chánh Hiệp Quận 12 Giá 7.5 Tỷ TL - 2
Có thể bạn muốn xem: Bán nhà Tân Chánh Hiệp

Phản ánh tin rao vi phạm

Thông tin phản ánh của Quý khách giúp chúng tôi sàn lọc thông tin tốt hơn và loại trừ các nhà môi giới không trung thực. Xin trân trọng cám ơn.


Tôi không muốn xem tin của người đăng này trong vòng: Tất cả các tin của thành viên này sẽ ẩn đi với bạn trong khoảng thời gian bạn đã chọn.
Mã an toàn:

Bất động sản nổi bật

Cần bán Nhà trong hẻm tại Quận 12

Nhà 3 Tầng hẻm 5m VƯỜN LÀI, An Phú Đông, DT 127m2 (5 x 26), gần ĐH Nguyễn Tất Thành.

🆘 Nhà 3 Tầng hẻm 5m đường VƯỜN LÀI, An Phú Đông, Diện tích 127m2 (5 x 26), gần Đại học Nguyễn Tất Thành. Giá chỉ 8.5 tỷ. 🕹️ Vị trí đẹp, hẻm xe tải 5m gần mặt tiền Vườn Lài, Chợ An Phú Đông, Đại học Nguyễn Tất Thành,...... << Xem chi tiết >>

5m3 tầng5 phòng ngủChỗ để xe
Giá: 8,49 tỷ Diện tích: 127 KT: 5x26m

Đường Vườn Lài, Phường An Phú Đông, Hồ Chí Minh

Đường Vườn Lài, Phường An Phú Đông, Quận 12, Hồ Chí Minh (cũ)

BÁN NHÀ 4 TẦNG  NGAY KHU DU LỊCH BẾN XƯA- ĐƯỜNG TL08- Q12 -54M²- DÒNG TIỀN 13TR/TH

BÁN NHÀ 4 TẦNG SÁT VÁCH GV- NGAY KHU DU LỊCH BẾN XƯA- ĐƯỜNG TL08- Q12 -54M²- DÒNG TIỀN 13TR/TH-💸7,3TỶ ✅ Kết cấu Ngang 5 Dài 11m gồm 1 trệt ,lửng, 3 lầu.Vị trí đắc địa ngay nhà hàng Bến Xưa, Nhà đang cho thuê 1 tháng 1...... << Xem chi tiết >>

6m4 tầng4 phòng ngủ
Giá: 7,3 tỷ Diện tích: 54 KT: 5x11m

Đường Thạnh Lộc 8, Phường An Phú Đông, Hồ Chí Minh

Đường Thạnh Lộc 8, Phường An Phú Đông, Quận 12, Hồ Chí Minh (cũ)

Nhà mới tinh, ngay cầu vượt Ngã tư Ga,giáp Gò Vấp

‼️‼️Siêu Phẩm Sát Cầu Vượt Ngã Tư Ga Q12 Khu Vip Triệu Đô Toàn Nhà Giàu Còn Căn Duy Nhất Lên Sóng 👉Diện tích: 4 x 13 _ Kết cấu: 1 trệt lững 3 lầu _ Công năng: 6 phòng , 6 WC phòng xông hơi đá nóng bồn tắm nằm ...... << Xem chi tiết >>

8m4 tầng6 phòng ngủChỗ để xe
Giá: 7,5 tỷ Diện tích: 50 KT: 4x13mHướng: Đông Bắc

Đường Thạnh Lộc 13, Phường An Phú Đông, Hồ Chí Minh

Đường Thạnh Lộc 13, Phường Thạnh Lộc, Quận 12, Hồ Chí Minh (cũ)

💖 Nhà 2 tầng 1/ đường TRƯỜNG CHINH, phường TTN, Q12, dt 88m2 (4,2mx22m), Hẻm Ôtô thông

💖 Nhà 2 tầng 1/ đường TRƯỜNG CHINH, phường TÂN THỚI NHẤT, Q12, dt 88m2 (4,2mx22m), Hẻm Ôtô thông💰 7,6Tỷ ✅ Nhà 1 trệt 1 lầu có 4PN, 2WC. Có sổ hồng riêng, không bị quy hoạch. ✅ Vị trí Hẻm Ôtô đường Trường Chinh thông ...... << Xem chi tiết >>

8m1 tầng4 phòng ngủ
Giá: 7,6 tỷ Diện tích: 88 KT: 4,2x22m

Đường Trường Chinh, Phường Đông Hưng Thuận, Hồ Chí Minh

Đường Trường Chinh, Phường Tân Thới Nhất, Quận 12, Hồ Chí Minh (cũ)

Cg♦️NHÀ 3 TẦNG , SHR , HẺM THÔNG 5M, 1/ ĐƯỜNG LÊ THỊ RIÊNG. P, Thới An,q12. Giá 6ty250

Cg♦️NHÀ 3 TẦNG , SHR , HẺM THÔNG 5M XE HƠI NGỦ TRONG NHÀ,CHỈ 1 SẸC NGẮN 30M RA ĐƯỜNG LÊ THỊ RIÊNG_P.THỚI AN _TP.HCM. 📍Vị trí đẹp thuận tiện lưu thông 💯DTSD :4M ❌ 22M:Hoàn công = 259 m2 📍Tầng 1trệt : sân để xe hơi,...... << Xem chi tiết >>

5m3 tầng3 phòng ngủ
Giá: 6,25 tỷ Diện tích: 88 KT: 4x22m

Đường Lê Thị Riêng, Phường Thới An, Hồ Chí Minh

Đường Lê Thị Riêng, Phường Thới An, Quận 12, Hồ Chí Minh (cũ)