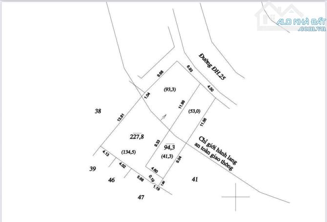
Sát vành đai 4 – Lô đất 94,3m² mặt đường Hoàng Trạch – Mễ Sở, đường 3 ô tô tránh

Thông tin chi tiết

📍 Vị trí siêu đẹp nằm ngay mặt đường trục chính Hoàng Trạch – Mễ Sở (đường Chu Mạnh Chính) – tuyến huyết mạch đang phát triển mạnh mẽ! 🚗 Chỉ vài bước chân tới lối lên đường gom Vành đai 4, mặt đường rộng 3 ô tô tránh – kinh doanh cực tốt, giao thông thuận tiện. 🛍️ Chỉ vài phút tới chợ Mễ Sở – trung tâm buôn bán sầm uất, đầu mối hàng hóa khu vực – lợi thế lớn cho kinh doanh và đầu tư. 📐 Diện tích chuẩn đẹp 94,3m² – phù hợp xây nhà ở, làm cửa hàng hoặc đầu tư sinh lời. 🌆 Khu dân cư phát triển mạnh, nhà cửa khang trang – tiềm năng tăng giá cực cao khi cầu Mễ Sở hoàn thiện. 🎄🎄🎄 Giá chỉ 57triệu/m² – Giá tốt cho vị trí vàng mặt đường kinh doanh! 📞📞 Liên hệ ngay em – VP tại Marina Ecopark, Văn Giang, Hưng Yên.

Giá: 57 triệu / m²   Diện tích: 94
Địa chỉ tài sản:
, Xã Mễ Sở, Hưng Yên

, Xã Mễ Sở, Huyện Văn Giang, Hưng Yên

(địa chỉ cũ)

Các thông tin khác

Mã tin17434394HướngĐông NamPhòng ăn---
Loại tinCần bánĐường trước nhà7mNhà bếp---
Loại BDSĐất thổ cư, đất ởPháp lý---Sân thượng---
Chiều ngang5mSố lầu---Chổ để xe hơi---
Chiều dài21mSố phòng ngủ---Chính chủ---
Hình ảnh

Hình ảnh

Sát vành đai 4 – Lô đất 94,3m² mặt đường Hoàng Trạch – Mễ Sở, đường 3 ô tô tránh
  • Sát vành đai 4 – Lô đất 94,3m² mặt đường Hoàng Trạch – Mễ Sở, đường 3 ô tô tránh - 0
  • Sát vành đai 4 – Lô đất 94,3m² mặt đường Hoàng Trạch – Mễ Sở, đường 3 ô tô tránh - 1
  • Sát vành đai 4 – Lô đất 94,3m² mặt đường Hoàng Trạch – Mễ Sở, đường 3 ô tô tránh - 2
Có thể bạn muốn xem:

Phản ánh tin rao vi phạm

Thông tin phản ánh của Quý khách giúp chúng tôi sàn lọc thông tin tốt hơn và loại trừ các nhà môi giới không trung thực. Xin trân trọng cám ơn.


Tôi không muốn xem tin của người đăng này trong vòng: Tất cả các tin của thành viên này sẽ ẩn đi với bạn trong khoảng thời gian bạn đã chọn.
Mã an toàn:

Bất động sản nổi bật

Cần bán Đất thổ cư, đất ở tại Huyện Văn Giang

🌿 Chính Chủ Bán 141 mét Đất ĐAN NHIỄM- VĂN GIANG - HƯNG YÊN. ECOPARK Gần Hà Nội

🌿 Chính Chủ Bán 141 mét Đất ĐAN NHIỄM- VĂN GIANG - HƯNG YÊN. ECOPARK Gần Hà Nội – Chỉ 30 Phút Đến Hồ Hoàn Kiếm! Bạn đang tìm kiếm một nơi an yên, không khí trong lành để an cư hoặc đầu tư sinh lời gần Hà Nội? 🔥 Thông...... << Xem chi tiết >>

8m
Giá: 5,7 tỷ Diện tích: 141

Tỉnh lộ 179, Xã Văn Giang, Hưng Yên

Tỉnh lộ 179, Xã Văn Giang, Huyện Văn Giang, Hưng Yên (cũ)

BÁN ĐẤT CÔNG LUẬN THỊ TRẤN VĂN GIANG-NGÕ THÔNG-VỊ TRÍ VÀNG-125M2-MT 6,4M-5,5 TỶ

🇻🇳🇻🇳🇻🇳 CÔNG LUẬN THỊ TRẤN VĂN GIANG CÁC BÁC Ạ. 44tr/m2, ngõ thông các hướng. - Diện tích: 125m2 - Mặt tiền: 6m 🧧vị trí: đất Thị Trấn Văn Giang- gần trục chính liên huyện- ✅Tiện ích: - 20-25p di chuyển t...... << Xem chi tiết >>

4m
Giá: 5,5 tỷ Diện tích: 125

Tỉnh lộ 179, Xã Văn Giang, Hưng Yên

Tỉnh lộ 179, Xã Văn Giang, Huyện Văn Giang, Hưng Yên (cũ)

🎉🎉🎉Chính chủ gửi bán mảnh đất làng hoa cây cảnh Phụng Công Văn Giang Hưng Yên  👉👉Diện

🎉🎉🎉Chính chủ gửi bán mảnh đất làng hoa cây cảnh Phụng Công Văn Giang Hưng Yên 👉👉Diện tích 85,4m - đất ở tất 👉👉Mặt tiền 5 m nở hậu 🚘🚘Đường ngõ thông thoáng rộng 3,5m 👉Ngay cạnh là KĐT Ecopark 👉👉...... << Xem chi tiết >>

4m
Giá: 58 triệu / m²   Diện tích: 85 KT: 5x15m

Tỉnh lộ 379, Xã Phụng Công, Hưng Yên

Tỉnh lộ 379, Xã Phụng Công, Huyện Văn Giang, Hưng Yên (cũ)

Chính thức ra mắt siêu phẩm 94m tại Vĩnh Tuy , Văn Giang, đường to thông tứ phía

Chính thức ra mắt siêu phẩm 94m tại Vĩnh Tuy , Văn Giang, đường to thông tứ phía Diện tích: 94m2 đất Mặt tiền = hậu = 5,5m, dài: 17m Đường 4m thông thoáng, ôtô chạy vòng quanh. Cách KĐT Ecopark khoảng 3km, cách đ...... << Xem chi tiết >>

5m
Giá: 55 triệu / m²   Diện tích: 94

, Xã Văn Giang, Hưng Yên

, Xã Liên Nghĩa, Huyện Văn Giang, Hưng Yên (cũ)

Tài chính chỉ hơn 4tỷ sở hữu ngay lô góc 85m2 Phụng Công sát ECopark và đường tỉnh 379

🎉🎉🎉Chính chủ gửi bán mảnh đất làng hoa cây cảnh Phụng Công Văn Giang Hưng Yên 👉👉Diện tích 85,4m - đất ở tất 👉👉Mặt tiền 5 m nở hậu 🚘🚘Đường ngõ thông thoáng rộng 3,5m 👉Ngay cạnh là KĐT Ecopark 👉👉...... << Xem chi tiết >>

4m
Giá: 58 triệu / m²   Diện tích: 85 KT: 5,04x15m

Tỉnh lộ 179, Xã Văn Giang, Hưng Yên

Tỉnh lộ 179, Xã Văn Giang, Huyện Văn Giang, Hưng Yên (cũ)