Bán đất Mặt Tiền Đường Số 8 giao đường Tăng Nhơn Phú, Q9 - Diện tích: 179m (8x22)

Thông tin chi tiết

Bán đất Mặt Tiền Đường Số 8 giao đường Tăng Nhơn Phú, Q9 - Diện tích: 179m (8x22) - Giá: 15,5 tỷ - Vị trí đẹp tiện kinh doanh Văn Phòng, Karaoke, Khách sạn, đường thông tứ phía. - Cách đường Tăng Nhơn Phú 50m. - Gần dệt Phong Phú, Cao đẳng Công Thương,xung quanh đầy đủ tiện tích. - LH : gặp Hàn Hiệp xem đất, xin cảm ơn

Giá: 15,5 tỷ Diện tích: 179
Địa chỉ tài sản:
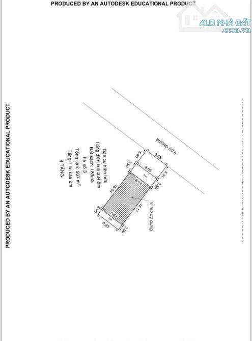
Đường số 9, Phường Tăng Nhơn Phú, Hồ Chí Minh

Đường số 9, Phường Tăng Nhơn Phú B, Thành phố Thủ Đức, Hồ Chí Minh

(địa chỉ cũ)

Các thông tin khác

Mã tin17201229Hướng_Phòng ăn---
Loại tinCần bánĐường trước nhà10mNhà bếp---
Loại BDSĐất thổ cư, đất ởPháp lýSổ hồng/ Sổ đỏSân thượng---
Chiều ngang8mSố lầu---Chổ để xe hơi---
Chiều dài---Số phòng ngủ---Chính chủ---
Hình ảnh

Hình ảnh

Bán đất Mặt Tiền Đường Số 8 giao đường Tăng Nhơn Phú, Q9 - Diện tích: 179m (8x22)
  • Bán đất Mặt Tiền Đường Số 8 giao đường Tăng Nhơn Phú, Q9 - Diện tích: 179m (8x22) - 0
  • Bán đất Mặt Tiền Đường Số 8 giao đường Tăng Nhơn Phú, Q9 - Diện tích: 179m (8x22) - 1
  • Bán đất Mặt Tiền Đường Số 8 giao đường Tăng Nhơn Phú, Q9 - Diện tích: 179m (8x22) - 2
Có thể bạn muốn xem:

Phản ánh tin rao vi phạm

Thông tin phản ánh của Quý khách giúp chúng tôi sàn lọc thông tin tốt hơn và loại trừ các nhà môi giới không trung thực. Xin trân trọng cám ơn.


Tôi không muốn xem tin của người đăng này trong vòng: Tất cả các tin của thành viên này sẽ ẩn đi với bạn trong khoảng thời gian bạn đã chọn.
Mã an toàn:

Bất động sản nổi bật

Cần bán Đất thổ cư, đất ở tại Thành phố Thủ Đức

Bán gấp đất đường Phạm Văn Đồng, Hiệp Bình Chánh, Thủ Đức, DT 307m2 giá 15,5 tỷ

BÁN ĐẤT PHẠM VĂN ĐỒNG - P.HIỆP BÌNH CHÁNH - TP.THỦ ĐỨC - DT: 307m2, thổ cư 100%, sổ hồng riêng - Đất dân cư ko quy hoạch-ko lộ giới, xây được 5 tầng + hoàn công. - Đường nhựa 8m, xe tải tận nơi, cách Phạm Văn Đồng 10...... << Xem chi tiết >>

8m
Giá: 15,5 tỷ Diện tích: 307

Đường Phạm Văn Đồng, Phường Hiệp Bình, Hồ Chí Minh

Đường Phạm Văn Đồng, Phường Hiệp Bình Chánh, Thành phố Thủ Đức, Hồ Chí Minh (cũ)

Đất đẹp 224m2 2 mặt tiền đường số 44 Tam Bình Hiệp Bình Chánh chỉ 17 tỷ

📍 VỊ TRÍ: 2 MẶT TIỀN ĐƯỜNG SỐ (44) TAM BÌNH HIỆP BÌNH CHÁNH, CHỈ 500M LÀ RA CHỢ HIỆP BÌNH, 5 PHÚT RA PHẠM VĂN ĐỒNG. 📍 NỀN BIỆT THỰ NÀY CÓ DT: 224M2 NGANG 14M DÀI 17M VUÔNG 2 MẶT. 📍 CÔNG NĂNG: XÂY BIỆT THỰ SÂN VƯỜN...... << Xem chi tiết >>

6m
Giá: 17 tỷ Diện tích: 224 KT: 14x17m

Đường số 44, Phường Hiệp Bình, Hồ Chí Minh

Đường số 44, Phường Hiệp Bình Chánh, Thành phố Thủ Đức, Hồ Chí Minh (cũ)

Bán gấp đất đường Nguyễn Văn Bá ngay Metro Bình Thái, DT 125m2 (7 x 18) giá 12,5 tỷ

BÁN GẤP ĐẤT ĐƯỜNG NGUYỄN VĂN BÁ NGAY NGÃ TƯ BÌNH THÁI, TP.THỦ ĐỨC - DT: 125m2 (7 x 18) thổ cư 100%, sổ hồng riêng, hướng Đông Bắc, KDC hiện hữu cấp phép xây dựng 4 tầng + hoàn công - Đi bộ 50m ra ga Metro Bình Thái, đư...... << Xem chi tiết >>

12m
Giá: 12,5 tỷ Diện tích: 125 KT: 7x18mHướng: Đông Bắc

Đường Nguyễn Văn Bá, Phường Thủ Đức, Hồ Chí Minh

Đường Nguyễn Văn Bá, Phường Trường Thọ, Thành phố Thủ Đức, Hồ Chí Minh (cũ)

Đất biệt thự 2 mặt tiền,hiệp bình Chánh,thủ Đức,200m2,gần gigamal phạm văn đồng

🌟 BÁN ĐẤT BIỆT THỰ MẶT TIỀN – HIỆP BÌNH CHÁNH, THỦ ĐỨC 🌟 📐 Diện tích: 10x20m (200m²), sổ hồng riêng, pháp lý chuẩn 🏗 Được xây cao tầng, phù hợp làm biệt thự, văn phòng, căn hộ dịch vụ 🚗 Vị trí mặt tiền đẹp, khu...... << Xem chi tiết >>

12m
Giá: 15,7 tỷ Diện tích: 200 KT: 10x20m

Đường B, Phường Hiệp Bình, Hồ Chí Minh

Đường B, Phường Hiệp Bình Chánh, Thành phố Thủ Đức, Hồ Chí Minh (cũ)

GẤP-Đất ngay MT Đường 9, Long Trường gần VĐ3, 538m2 Thổ Cư. Giá 13.5 tỷ (25tr/m)

*Địa chỉ: Đất 2 Mặt Tiền Đường. Đường trước đất 7M. Đường sau đất 5M ( Dự kiến 15M). 21/16 Đường 9 Tam Đa. -Cách Đường Vành Đai 3( đang làm) 100M. -Cách Chợ Long Trường và khu Đô Thi Đông Tăng Long 300M. -Cách Đại Đô ...... << Xem chi tiết >>

7m
Giá: 13,5 tỷ Diện tích: 538 KT: 20x38m

Đường số 9, Phường Long Trường, Hồ Chí Minh

Đường số 9, Phường Long Trường, Thành phố Thủ Đức, Hồ Chí Minh (cũ)