Bán đất sổ riêng mặt tiền đường container tránh cách ga Metro 850m . Thành phố Thủ Đức.

Thông tin chi tiết

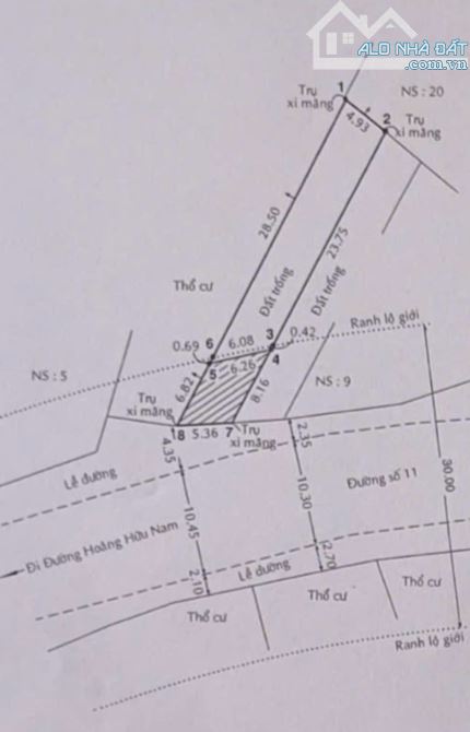
Nằm ở vị trí đắc địa, đất thổ cư tại Đường 11, Phường Long Bình, Quận 9, TP.HCM mang đến cơ hội tuyệt vời cho những ai đang tìm kiếm một nơi an cư lý tưởng. + Diện tích: 127m2, phù hợp cho xây dựng nhà ở hoặc đầu tư. + Giá: 15 tỷ VND, cạnh tranh trên thị trường. + Pháp lý đầy đủ, sổ riêng, full thổ cư đảm bảo an toàn cho giao dịch. Điểm đặc biệt: + Hướng cửa chính: Tây Nam, phong thủy tốt cho gia chủ. + Khu vực yên tĩnh, trong lành, thuận tiện cho cuộc sống gia đình. + Tiện ích xung quanh đầy đủ , thuận tiện di chuyển. +Bất động sản TOD tiềm năng tăng giá lớn. Địa điểm xung quanh: + Cách ga Metro 850m. + Cách bến xe miền Đông mới 1km. + Bệnh viện ung bướu 2.8km. + Trường quốc tế Pháp 1.3km. +Đại học Fulbright 7.7km. +Làng đại học quốc gia 7.1km. +Khu công nghệ cao 5.2km. +Sân golf Thủ Đức 2.4km. +Khu dân cư của chủ đầu tư Sơn Kim 300m.

Giá: 15 tỷ Diện tích: 127
Địa chỉ tài sản:
Đường số 11, Phường Long Bình, Hồ Chí Minh

Đường số 11, Phường Long Bình, Thành phố Thủ Đức, Hồ Chí Minh

(địa chỉ cũ)

Các thông tin khác

Mã tin17259397HướngTây NamPhòng ăn---
Loại tinCần bánĐường trước nhà8mmNhà bếp---
Loại BDSĐất thổ cư, đất ởPháp lýSổ hồng/ Sổ đỏSân thượng---
Chiều ngang---Số lầu---Chổ để xe hơi---
Chiều dài---Số phòng ngủ---Chính chủ---
Hình ảnh

Hình ảnh

Bán đất sổ riêng mặt tiền đường container tránh cách ga Metro 850m . Thành phố Thủ Đức.
  • Bán đất sổ riêng mặt tiền đường container tránh cách ga Metro 850m . Thành phố Thủ Đức. - 0
  • Bán đất sổ riêng mặt tiền đường container tránh cách ga Metro 850m . Thành phố Thủ Đức. - 1
  • Bán đất sổ riêng mặt tiền đường container tránh cách ga Metro 850m . Thành phố Thủ Đức. - 2
  • Bán đất sổ riêng mặt tiền đường container tránh cách ga Metro 850m . Thành phố Thủ Đức. - 3
  • Bán đất sổ riêng mặt tiền đường container tránh cách ga Metro 850m . Thành phố Thủ Đức. - 4
  • Bán đất sổ riêng mặt tiền đường container tránh cách ga Metro 850m . Thành phố Thủ Đức. - 5
  • Bán đất sổ riêng mặt tiền đường container tránh cách ga Metro 850m . Thành phố Thủ Đức. - 6
Có thể bạn muốn xem:

Phản ánh tin rao vi phạm

Thông tin phản ánh của Quý khách giúp chúng tôi sàn lọc thông tin tốt hơn và loại trừ các nhà môi giới không trung thực. Xin trân trọng cám ơn.


Tôi không muốn xem tin của người đăng này trong vòng: Tất cả các tin của thành viên này sẽ ẩn đi với bạn trong khoảng thời gian bạn đã chọn.
Mã an toàn:

Bất động sản nổi bật

Cần bán Đất thổ cư, đất ở tại Thành phố Thủ Đức

Bán gấp đất đường Phạm Văn Đồng, Hiệp Bình Chánh, Thủ Đức, DT 307m2 giá 15,5 tỷ

BÁN ĐẤT PHẠM VĂN ĐỒNG - P.HIỆP BÌNH CHÁNH - TP.THỦ ĐỨC - DT: 307m2, thổ cư 100%, sổ hồng riêng - Đất dân cư ko quy hoạch-ko lộ giới, xây được 5 tầng + hoàn công. - Đường nhựa 8m, xe tải tận nơi, cách Phạm Văn Đồng 10...... << Xem chi tiết >>

8m
Giá: 15,5 tỷ Diện tích: 307

Đường Phạm Văn Đồng, Phường Hiệp Bình, Hồ Chí Minh

Đường Phạm Văn Đồng, Phường Hiệp Bình Chánh, Thành phố Thủ Đức, Hồ Chí Minh (cũ)

[ PHÚ HỮU, Q9 CŨ] - ĐẤT NỀN BIỆT THƯ GIÁ RẺ CHỈ 40TR/M2 -  303M2(17,5*17,5) - KHU PHÂN LÔ

PHÚ HỮU Q9 CŨ - ĐẤT NỀN TRONG KHU PHÂN LÔ ĐƯỜNG GÒ CÁT - VỊ TRÍ CỰC KỲ TIỀM NĂNG - ĐƯỜNG NGUYỄN DUY TRINH CHUẨN BỊ MỞ RỘNG - HẠ TẦNG TUYẾN METRO TƯƠNG LAI ĐẤT NỀN BIỆT THƯ KHU DÂN CƯ GÒ CÁT - LÔ GÓC 2 MẶT TIỀN - DÂN Ở...... << Xem chi tiết >>

8m
Giá: 12 tỷ Diện tích: 305 KT: 17,5x17,5m

Đường Gò Cát, Phường Long Trường, Hồ Chí Minh

Đường Gò Cát, Phường Phú Hữu, Thành phố Thủ Đức, Hồ Chí Minh (cũ)

Đất đẹp 224m2 2 mặt tiền đường số 44 Tam Bình Hiệp Bình Chánh chỉ 17 tỷ

📍 VỊ TRÍ: 2 MẶT TIỀN ĐƯỜNG SỐ (44) TAM BÌNH HIỆP BÌNH CHÁNH, CHỈ 500M LÀ RA CHỢ HIỆP BÌNH, 5 PHÚT RA PHẠM VĂN ĐỒNG. 📍 NỀN BIỆT THỰ NÀY CÓ DT: 224M2 NGANG 14M DÀI 17M VUÔNG 2 MẶT. 📍 CÔNG NĂNG: XÂY BIỆT THỰ SÂN VƯỜN...... << Xem chi tiết >>

6m
Giá: 17 tỷ Diện tích: 224 KT: 14x17m

Đường số 44, Phường Hiệp Bình, Hồ Chí Minh

Đường số 44, Phường Hiệp Bình Chánh, Thành phố Thủ Đức, Hồ Chí Minh (cũ)

Bán gấp đất đường Nguyễn Văn Bá ngay Metro Bình Thái, DT 125m2 (7 x 18) giá 12,5 tỷ

BÁN GẤP ĐẤT ĐƯỜNG NGUYỄN VĂN BÁ NGAY NGÃ TƯ BÌNH THÁI, TP.THỦ ĐỨC - DT: 125m2 (7 x 18) thổ cư 100%, sổ hồng riêng, hướng Đông Bắc, KDC hiện hữu cấp phép xây dựng 4 tầng + hoàn công - Đi bộ 50m ra ga Metro Bình Thái, đư...... << Xem chi tiết >>

12m
Giá: 12,5 tỷ Diện tích: 125 KT: 7x18mHướng: Đông Bắc

Đường Nguyễn Văn Bá, Phường Thủ Đức, Hồ Chí Minh

Đường Nguyễn Văn Bá, Phường Trường Thọ, Thành phố Thủ Đức, Hồ Chí Minh (cũ)

Đất biệt thự 2 mặt tiền,hiệp bình Chánh,thủ Đức,200m2,gần gigamal phạm văn đồng

🌟 BÁN ĐẤT BIỆT THỰ MẶT TIỀN – HIỆP BÌNH CHÁNH, THỦ ĐỨC 🌟 📐 Diện tích: 10x20m (200m²), sổ hồng riêng, pháp lý chuẩn 🏗 Được xây cao tầng, phù hợp làm biệt thự, văn phòng, căn hộ dịch vụ 🚗 Vị trí mặt tiền đẹp, khu...... << Xem chi tiết >>

12m
Giá: 15,7 tỷ Diện tích: 200 KT: 10x20m

Đường B, Phường Hiệp Bình, Hồ Chí Minh

Đường B, Phường Hiệp Bình Chánh, Thành phố Thủ Đức, Hồ Chí Minh (cũ)